00002 Ray Hill Road #2, Mills River, NC 28759
Local realty services provided by:ERA Live Moore
Listed by: cole ordiway
Office: bluaxis realty
MLS#:4354179
Source:CH
Price summary
- Price:$90,000
About this home
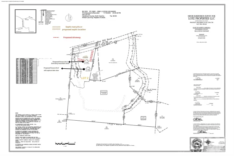
Build your dream home on this beautiful parcel offering nearly 200 feet of road frontage on Ray Hill Road and a head start on the building process. Much of the groundwork has already been completed, including a recent survey, a soil scientist–prepared septic permit for a 3-bedroom home, and useable site plans, allowing you to move forward with confidence.
The property features a road already cut in and multiple buildable areas with flat and gently sloping terrain— actually buildable and actually a gentle slop — the kind of lot that’s actually usable without the extreme site work many mountain properties require. Depending on your home design, you may enjoy views of the neighboring pond and surrounding mountains, creating a peaceful and scenic setting.
Conveniently located just 15 minutes to Hendersonville, 20 minutes to Brevard, and 30 minutes to Asheville, this property offers the perfect balance of privacy and accessibility. Placed in the desirable West,Rugby,Mills River school district!
Restrictions are light and flexible (1,000 sq. ft. minimum home size, chickens allowed—no roosters), giving you freedom to create the property you want without the tight constraints of an HOA.
For a closer look at the homesite, septic layout, and lot lines, be sure to view the video tour. Use 227 Ray Hill Road for general GPS guidance, and we recommend using LandGlide or similar alongside the new survey when visiting the property.
Please contact agent before walking the property. There's another 1-acre parcel nearby available: MLS: 4354246...
Contact an agent
Home facts
- Listing ID #:4354179
- Updated:May 16, 2026 at 10:19 AM
Structure and exterior
- Lot area:1 Acres
- Lot Features:Level, Private, Rolling Slope, Views, Wooded
Schools
- High school:West Henderson
- Elementary school:Mills River
Utilities
- Water:Well Needed
- Sewer:Septic Needed
Finances and disclosures
- Price:$90,000
New listings near 00002 Ray Hill Road #2
- New
$1,345,000Active3 beds 3 baths3,585 sq. ft.400 Samuel Drive, Mills River, NC 28759
MLS# 4370587Listed by: WALNUT COVE REALTY/ALLEN TATE/BEVERLY-HANKS - New
$470,000Active3 beds 2 baths1,478 sq. ft.127 Cairens Ridge Drive, Mills River, NC 28759
MLS# 4380614Listed by: LOOKING GLASS REALTY, HENDERSONVILLE - New
$25,000Active3.8 Acres99999 Laurel Drive #27, 28, 29, Mills River, NC 28759
MLS# 4381320Listed by: HOWARD HANNA BEVERLY-HANKS - Open Sun, 1 to 3pmNew
$659,000Active3 beds 2 baths1,644 sq. ft.34 Old Souther Road, Mills River, NC 28759
MLS# 4380756Listed by: MOSAIC COMMUNITY LIFESTYLE REALTY - New
$885,000Active3 beds 3 baths2,736 sq. ft.58 Poplar Drive, Mills River, NC 28759
MLS# 4380371Listed by: KELLER WILLIAMS MTN PARTNERS, LLC - Open Sat, 2 to 4pmNew
$720,000Active3 beds 3 baths3,056 sq. ft.26 Walnut Drive, Mills River, NC 28759
MLS# 4369713Listed by: WALNUT COVE REALTY/ALLEN TATE/BEVERLY-HANKS - Open Sun, 2 to 4pmNew
$220,000Active2 beds 2 baths911 sq. ft.27 Presbyterian Church Road, Mills River, NC 28759
MLS# 4379738Listed by: HOWARD HANNA BEVERLY-HANKS ASHEVILLE-BILTMORE PARK - New
$865,000Active3 beds 2 baths2,328 sq. ft.141 Round Top Circle, Mills River, NC 28759
MLS# 4379751Listed by: HOWARD HANNA BEVERLY-HANKS - Open Sun, 2 to 4pmNew
$590,000Active3 beds 2 baths2,085 sq. ft.45 Presbyterian Church Road, Mills River, NC 28759
MLS# 4379732Listed by: HOWARD HANNA BEVERLY-HANKS ASHEVILLE-BILTMORE PARK - Open Sat, 1 to 3pmNew
$520,000Active3 beds 3 baths2,963 sq. ft.92 Greenwood Acres Drive, Mills River, NC 28759
MLS# 4379255Listed by: EXP REALTY LLC