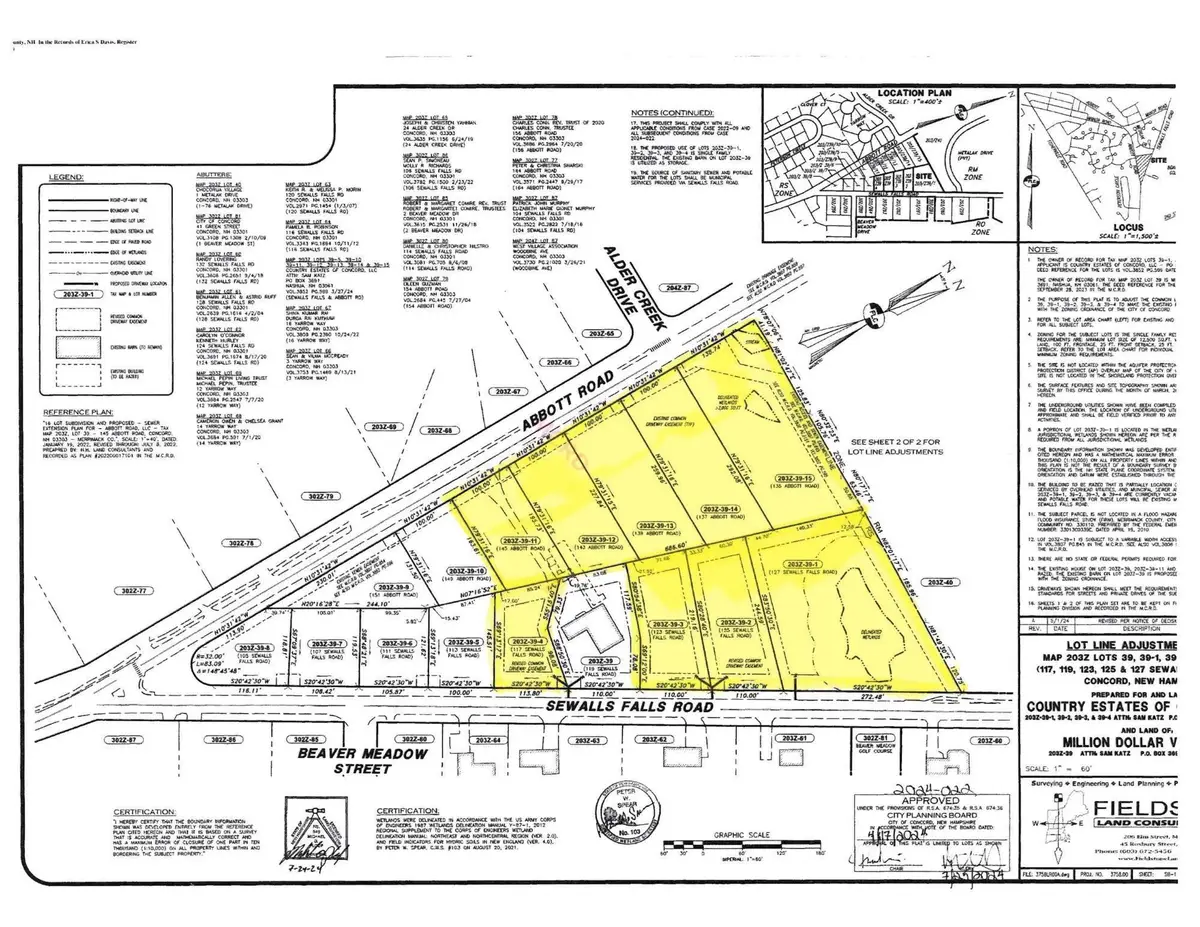
0 Sewalls Falls & Abbott Road, Concord, NH 03303
Local realty services provided by:ERA Key Realty Services
0 Sewalls Falls & Abbott Road,Concord, NH 03303
$1,644,200
- 5.23 Acres
- Lots / Land
- Active
Listed by: the josh naughton teamjnaughton@innovativesells.com
Office: re/max innovative properties
MLS#:5066255
Source:PrimeMLS
Price summary
- Price:$1,644,200
About this home
Builders take note! Here is your next project – 8 lots with with town water & sewer. Cleared, level & ready to go! Lots range in size from a third to almost an acre and half. These can also be sold in smaller bundles or individually if you are looking for a smaller undertaking. A great place to live - close to Concord’s vibrant and historic downtown, Capital Center for the Arts, Beaver Meadow Golf Course, Concord- Lake Sunapee Rail Trails and the Oak Hill and Knowlton Forest conservation and hiking trails.
Contact an agent
Home facts
- Listing ID #:5066255
- Added:96 day(s) ago
- Updated:January 22, 2026 at 11:37 AM
Structure and exterior
- Lot area:5.23 Acres
Schools
- High school:Concord High School
- Middle school:Rundlett Middle School
- Elementary school:Beaver Meadow Elementary Sch
Utilities
- Sewer:Public Sewer On-Site
Finances and disclosures
- Price:$1,644,200
- Tax amount:$11,514 (2025)
New listings near 0 Sewalls Falls & Abbott Road
- Open Sat, 11am to 1pmNew
$224,999Active2 beds 2 baths1,164 sq. ft.14 Cheryl Drive, Concord, NH 03303
MLS# 5074533Listed by: COLDWELL BANKER CLASSIC REALTY - Open Sat, 11am to 1pmNew
$525,000Active3 beds 2 baths2,205 sq. ft.35 Peterson Circle, Concord, NH 03303
MLS# 5074432Listed by: KELLER WILLIAMS REALTY-METROPOLITAN - New
$224,900Active0.22 Acres29 Carter Street, Concord, NH 03301
MLS# 5074383Listed by: COLDWELL BANKER REALTY NASHUA - New
$195,000Active2 beds 1 baths880 sq. ft.128 Loudon Road #12F, Concord, NH 03301
MLS# 5074377Listed by: KW COASTAL AND LAKES & MOUNTAINS REALTY/WOLFEBORO - New
$699,900Active3 beds 3 baths1,985 sq. ft.29 Carter Street, Concord, NH 03301
MLS# 5074378Listed by: COLDWELL BANKER REALTY NASHUA - New
$535,000Active3 beds 3 baths2,470 sq. ft.4 Bellflower Circle, Concord, NH 03303
MLS# 5074123Listed by: KW COASTAL AND LAKES & MOUNTAINS REALTY - New
$339,000Active3 beds 2 baths2,004 sq. ft.55 Tremont Street, Concord, NH 03301
MLS# 5074034Listed by: KELLER WILLIAMS REALTY-METROPOLITAN - New
$299,000Active2 beds 1 baths860 sq. ft.128 Liberty Street, Concord, NH 03301
MLS# 5074010Listed by: REAL BROKER NH, LLC - New
$290,000Active2 beds 2 baths1,008 sq. ft.14 Amoskeag Road, Concord, NH 03301
MLS# 5073788Listed by: BHG MASIELLO CONCORD - New
$425,000Active3 beds 3 baths2,021 sq. ft.4 N Spring Street, Concord, NH 03301
MLS# 5073830Listed by: KELLER WILLIAMS REALTY-METROPOLITAN