1877 Route 9 North, Clermont, NJ 08210

Local realty services provided by:
1877 Route 9 North,Clermont, NJ 08210
$200,000
  • 0 Acres
  • Lots / Land
  • Active
Listed by:kimberly schiela, gri, srs
Office:coldwell banker james c otton real estate
MLS#:243569
Source:NJ_CMCAR

Price summary

  • Price:$200,000

About this home

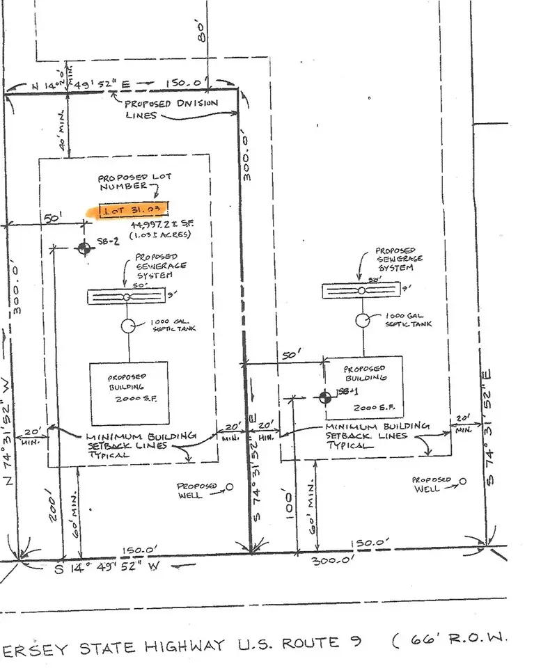
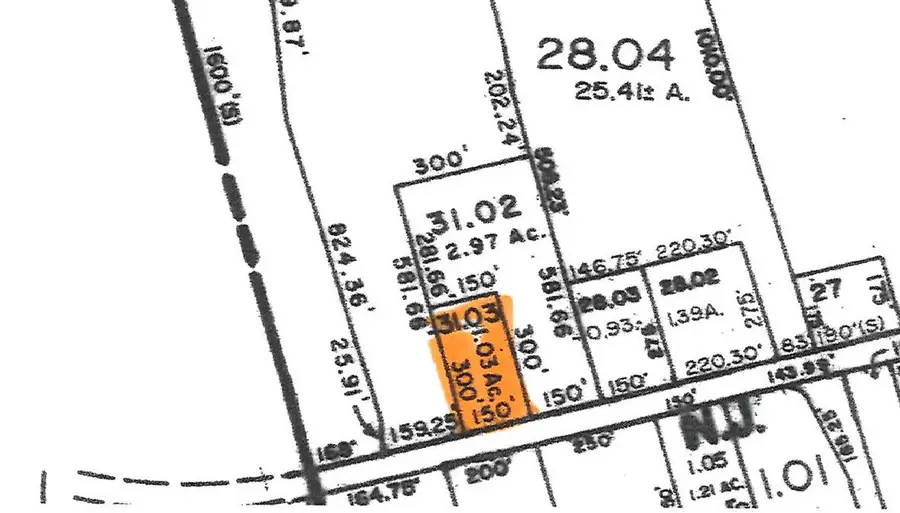
Vacant land, Not Heavily Wooded 1 acre lot on Route 9 for sale. Just south of Route 83 and Route 9. Located among other commercial properties in Dennis Township, complementing one another in this sweet spot of Clermont.

Contact an agent

contact an agent

Yes, I would like more information from ERA®. Please use and/or share my information with an ERA affiliated agent to contact me about my real estate needs. By clicking Send message, I agree an ERA affiliated agent may contact me by phone or text message including by automated means about real estate services, and that I can access real estate services without providing my phone number. I acknowledge that I have read and agree to theTerms of useandPrivacy notice

Home facts

  • Listing ID #:243569
  • Added:983 day(s) ago
  • Updated:October 07, 2025 at 06:57 PM

Finances and disclosures

  • Price:$200,000
  • Tax amount:$2,772
The data relating to real estate for sale on this web site comes in part from the BR Program of the Mount Rushmore Area Association of REALTORS® MLS Real estate listings held by brokerage firms other than <PARTICIPATING_BROKER_NAME> are marked with the BR™ Logo or the BR thumbnail logo (a little black ho use) and detailed information about them includes the name of the listing brokers. The information being provided by Mount Rushmore Area Association of Realtors is for the consumer's personal, non-commercial use and may not be used for any purpose other than to identify prospective properties consumer may be interested in purchasing. Any information relating to real estate for sale referenced on this web site comes from the Internet Data Exchange (IDX) program of the Mount Rushmore Area Association of Realtors. <PARTICIPATING_BROKER_NAME> is not a Multiple Listing Service (MLS), nor does it offer MLS access. The accuracy of all information, regardless of source, including but not limited to open house information, square footages and lot sizes, is deemed reliable but not guaranteed and should be personally verified through personal inspection by and/or with the appropriate professionals. The data contained herein is copyrighted by Mount Rushmore Area Association of Realtors and is protected by all applicable copyright laws. Any unauthorized dissemination of this information is in violation of copyright laws and is strictly prohibited. Listing broker(s) has attempted to offer accurate data, but buyers are advised to confirm all items. Copyright "2025", Mount Rushmore Area Association of Realtors. Inc. MLS. All rights reserved.