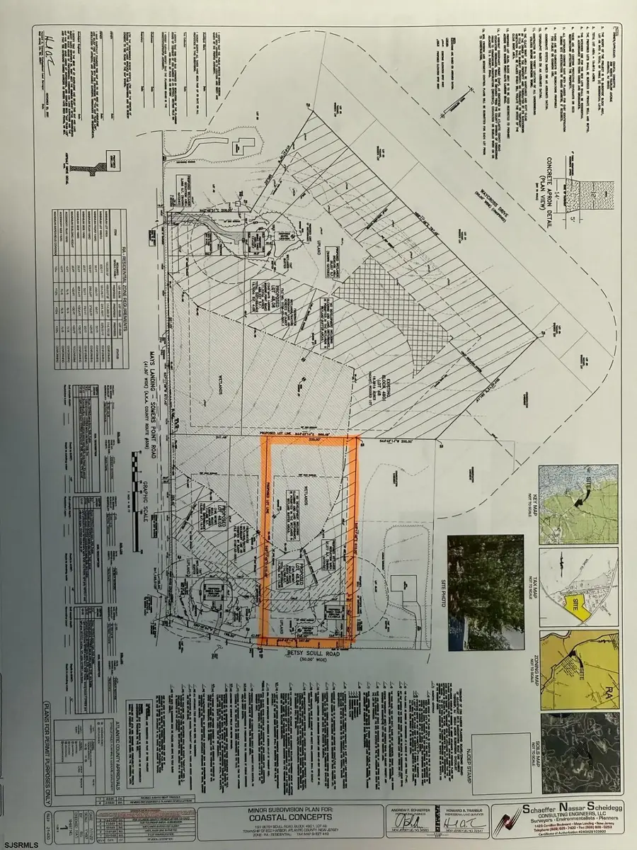
197 Betsey Scull Rd, Egg Harbor Township, NJ 08234
Local realty services provided by:
197 Betsey Scull Rd,Egg Harbor Township, NJ 08234
$149,900
- 0 Acres
- Lots / Land
- Active
Listed by:rachel bachman
Office:new era real estate-b
MLS#:601190
Source:NJ_SJSRMLS
Price summary
- Price:$149,900
About this home
FULLY APPROVED AND PERMIT READY LOT IN EGG HARBOR TOWNSHIP! This lot is 2.83 Acres with partial wetlands within the lot. Part of a 3 lot Subdivision totaling 16.49 acres. This lot has been through all of the wetlands permitting processes and is now ready to proceed with BUILDING PERMITS ASAP. Full Survey on file as well a septic /well site plan.
Contact an agent
Home facts
- Listing ID #:601190
- Added:1 day(s) ago
- Updated:October 08, 2025 at 03:30 PM
Finances and disclosures
- Price:$149,900
New listings near 197 Betsey Scull Rd
- New$124,900Active0 Acres
199 Betsey Scull Rd, Egg Harbor Township, NJ 08234
MLS# 601189Listed by: NEW ERA REAL ESTATE-B - New$224,900Active0 Acres
1242 Somers Point Rd, Egg Harbor Township, NJ 08234
MLS# 601191Listed by: NEW ERA REAL ESTATE-B - New$180,000Active2 beds 1 baths
281 Heather Croft #281, Egg Harbor City, NJ 08234
MLS# 601221Listed by: CENTURY 21 ATLANTIC PROFESSIONAL REALTY - Coming SoonOpen Sat, 1 to 3pm$489,900Coming Soon4 beds 3 baths
23 Sturbridge Ct, EGG HARBOR TOWNSHIP, NJ 08234
MLS# NJAC2021162Listed by: EXP REALTY, LLC - New$493,985Active3 beds 3 baths
137 Hilton Head Ct Ct, Egg Harbor Township, NJ 08234
MLS# 601131Listed by: D.R. HORTON REALTY OF ATLANTIC COUNTY, LLC - New$490,485Active3 beds 3 baths
139 Hilton Head Ct, Egg Harbor Township, NJ 08234
MLS# 601132Listed by: D.R. HORTON REALTY OF ATLANTIC COUNTY, LLC - New$419,990Active4 beds 2 baths
138 Hilton Head Ct, Egg Harbor Township, NJ 08234
MLS# 601135Listed by: D.R. HORTON REALTY OF ATLANTIC COUNTY, LLC - New$67,900Active0 Acres
5069 English Creek Ave, Egg Harbor Township, NJ 08234-0000
MLS# 601090Listed by: COLDWELL BANKER ARGUS REAL ESTATE-NORTHFIELD - New$58,000Active1 beds 1 baths
124 Amherst Dr Dr, Egg Harbor Township, NJ 08234
MLS# 600921Listed by: BALSLEY/LOSCO