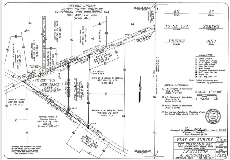
3 Acres Somers Gratis Road, Camden, OH 45311
Local realty services provided by:ERA Petkus Weiss
3 Acres Somers Gratis Road,Camden, OH 45311
$49,950
- 3.01 Acres
- Lots / Land
- Active
Listed by: christopher s parker(513) 874-8373
Office: re/max preferred group
MLS#:950443
Source:OH_DABR
Price summary
- Price:$49,950
About this home
Tired of the City & Ready to Build a New Home in the Country? This 3 Acre recently Surveyed Parcel is Ready for your New Build in Preble Shawnee School District featuring 257' Road Frontage on Camden West Elkton & 227' on Somers Gratis Road. Electrical Service Established. Preble County Approved Soil Evaluation(Still have to submit for your Build) New Well will need to be Drilled for Water.
Contact an agent
Home facts
- Listing ID #:950443
- Added:6 day(s) ago
- Updated:January 17, 2026 at 05:45 PM
Structure and exterior
- Lot area:3.01 Acres
Finances and disclosures
- Price:$49,950
New listings near 3 Acres Somers Gratis Road
- New
$949,900Active3 beds 2 baths3,240 sq. ft.9871 Us Route 127, Camden, OH 45311
MLS# 950722Listed by: RE/MAX INCOMPASS - New
$450,000Active5 beds 2 baths1,848 sq. ft.8774 Sr 503 S, Camden, OH 45311
MLS# 950691Listed by: KELLER WILLIAMS COMMUNITY PART - New
$29,999Active0.78 Acres7163 Creek Road, Camden, OH 45311
MLS# 5181485Listed by: PLATLABS, LLC - New
$140,000Active2 beds 1 baths962 sq. ft.47 N 2nd Street, Camden, OH 45311
MLS# 950447Listed by: GLASSHOUSE REALTY GROUP
Listed by ERA$219,900Active3 beds 1 baths960 sq. ft.400 W Hendricks Street, Camden, OH 45311
MLS# 1863832Listed by: ERA REAL SOLUTIONS REALTY. LLC
$164,900Active3 beds 2 baths2,027 sq. ft.204 Mckinley Drive, Camden, OH 45311
MLS# 1863069Listed by: REALTY FIRST- Open Sat, 11am to 12:30pm
$322,000Active3 beds 2 baths1,379 sq. ft.8793 Greenbush Road, Camden, OH 45311
MLS# 947550Listed by: PLUM TREE REALTY
$269,900Active3 beds 2 baths1,381 sq. ft.6171 Somers Gratis Road, Camden, OH 45311
MLS# 947452Listed by: REAL OF OHIO
$1,500,000Active3 beds 3 baths2,884 sq. ft.1290 725 Sr, Camden, OH 45311
MLS# 946666Listed by: MUNCY & ASSOCIATES