2414 River Road #LOWER, Cincinnati, OH 45204

Local realty services provided by:ERA Real Solutions Realty
2414 River Road #LOWER,Cincinnati, OH 45204
$450,000
  • 1.07 Acres
  • Lots / Land
  • Active
Listed by: joan elflein
Office: ohio broker direct614-989-7215
MLS#:1863008
Source:OH_CINCY

Price summary

  • Price:$450,000

About this home

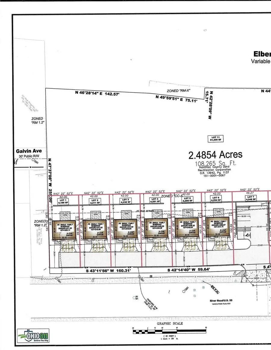
Get in one step above the ground floor of The Gateway of River Bend development. This project is approved and ready for someone to purchase this land and the accompanying engineering and hit the ground running with the development followed by construction of 9 single family lots with great River and City views. Concept house plans are included in this price or let your imagination take over and come up with the perfect house design. Should that first development go as we think it will there is another parcel just above this one with the concept being to have 9 more single family lots. This project is just waiting for the right company to buy in and get it going. In our experience in getting the project to this point the City has been very supportive of the plans but other uses are certainly a possibility. Stop out and take a look, we know you can make this parcel the showplace that it deserves to be.

Contact an agent

contact an agent

Yes, I would like more information. Please use and/or share my information with an ERA®  affiliated agent to contact me about my real estate needs. By clicking Send message, I request to be contacted by phone or text message and consent to being contacted by automated means. I understand that my consent to receive calls or texts is not a condition of purchasing any property, goods, or services. Alternatively, I understand that I can access real estate services by email or I can contact the agent myself.

If an ERA®  affiliated agent is not available in the area where I need assistance, I agree to be contacted by a real estate agent affiliated with another brand owned or licensed by Anywhere Real Estate (BHGRE® , CENTURY 21® , Coldwell Banker® , Corcoran® , Sotheby's International Realty® ).
 I acknowledge that I have read and agree to theTerms of useandPrivacy notice

Home facts

  • Listing ID #:1863008
  • Added:162 day(s) ago
  • Updated:May 13, 2026 at 02:17 PM

Structure and exterior

  • Lot area:1.07 Acres

Utilities

  • Water:At Street, Water Available
  • Sewer:At Street, Sewer Available

Finances and disclosures

  • Price:$450,000
MLS LogoInformation deemed reliable but not guaranteed. The data relating to real estate for sale on this web site comes in part from the Broker Reciprocity program of the Multiple Listing Service of Greater Cincinnati. Real estate listings held by brokerage firms other than ERA Real Solutions Realty are marked with the Broker Reciprocity&#8482 logo (the small house as shown to the left) and detailed information about them includes the name of the listing brokers. 2026, MLS of Greater Cincinnati, Inc. All rights reserved.