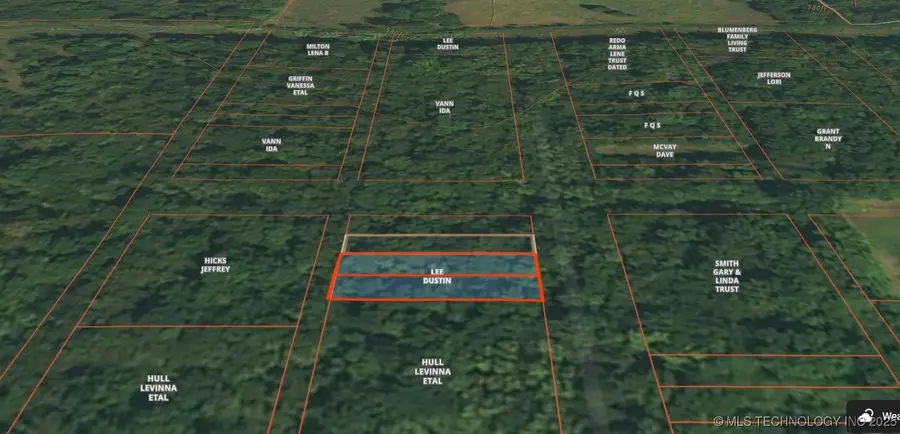
4 Reeves Avenue, Muskogee, OK 74401
Local realty services provided by:ERA CS Raper & Son
4 Reeves Avenue,Muskogee, OK 74401
$5,000
- 0.08 Acres
- Lots / Land
- Active
Listed by: travis pack
Office: keller williams market pro
MLS#:2530840
Source:OK_NORES
Price summary
- Price:$5,000
About this home
Charming Lot Near the Arkansas River. Discover the perfect opportunity to build your dream home or getaway on this .08-acre lot, just under 5 miles from the beautiful Arkansas River in Muskogee. Located less than an hour to Tulsa. If you're looking for more space, additional land is also available. Embrace the chance to create your ideal retreat in a prime location close to nature and amenities!
Contact an agent
Home facts
- Listing ID #:2530840
- Added:626 day(s) ago
- Updated:April 28, 2026 at 03:04 PM
Structure and exterior
- Lot area:0.08 Acres
Finances and disclosures
- Price:$5,000
- Tax amount:$25 (2023)
New listings near 4 Reeves Avenue
- New
$33,000Active2 beds 2 baths720 sq. ft.1220 N 40th Street, Muskogee, OK 74401
MLS# 2614668Listed by: CHINOWTH & COHEN - New
$132,000Active3 beds 2 baths2,428 sq. ft.1110 Boston Street, Muskogee, OK 74401
MLS# 2614896Listed by: AMP REALTY, LLC - New
$300,000Active3 beds 2 baths2,270 sq. ft.4410 Denison Street S, Muskogee, OK 74401
MLS# 2614805Listed by: PLATINUM REALTY, LLC. - New
$194,900Active4 beds 2 baths1,797 sq. ft.1006 N K Street, Muskogee, OK 74403
MLS# 2613143Listed by: RE/MAX & ASSOCIATES - New
$150,000Active3 beds 2 baths1,512 sq. ft.238 S 7th Street, Okmulgee, OK 74401
MLS# 2614439Listed by: KEY SOLUTIONS REAL ESTATE LLC
$289,000Pending4 beds 3 baths3,509 sq. ft.5200 E 73rd S, Muskogee, OK 74403
MLS# 2614226Listed by: KEVO LLC- New
$27,000Active2 beds 1 baths1,136 sq. ft.425 N 11th Street, Muskogee, OK 74401
MLS# 2614328Listed by: INTERSTATE PROPERTIES, INC. - New
$479,900Active3 beds 3 baths3,363 sq. ft.5960 Rolling Oaks Lane, Muskogee, OK 74401
MLS# 2614363Listed by: LAKE MOORE REAL ESTATE, INC. - Open Sat, 11:30am to 1pmNew
$247,500Active3 beds 2 baths1,630 sq. ft.303 E Gawf Lane, Muskogee, OK 74403
MLS# 2614296Listed by: C21/WRIGHT REAL ESTATE - New
$1,430,000Active4 beds 5 baths4,632 sq. ft.5224 E 68th Street S, Muskogee, OK 74403
MLS# 2614039Listed by: FITE & REYNOLDS REAL ESTATE