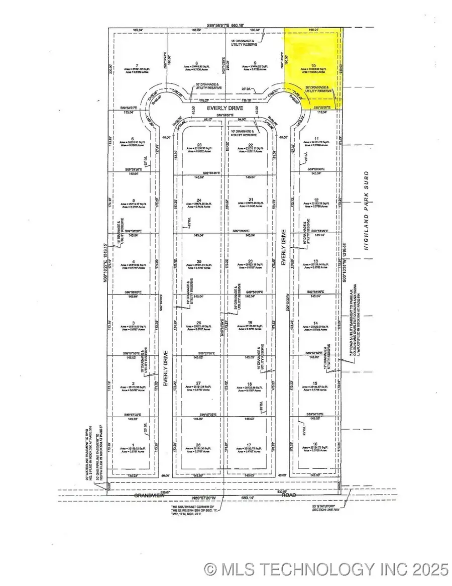
1970 N Everly Drive, Tahlequah, OK 74464
Local realty services provided by:ERA CS Raper & Son
1970 N Everly Drive,Tahlequah, OK 74464
$46,500
- 0.83 Acres
- Lots / Land
- Pending
Listed by: brenda ratliff
Office: coldwell banker select
MLS#:2550327
Source:OK_NORES
Price summary
- Price:$46,500
About this home
Introducing Tahlequah's newest subdivision. This top-notch development was designed and engineered with the highest quality in mind! Build your desired home on one of the large 1/2 acre lots featuring underground utilities including natural gas, electric, and rural water all available. The extra thick concrete roads are being completed now. YES!!! You read correctly... CONCRETE STREETS!!! Plat, covenants, and restrictions now available. County Taxes. Convenient to Northeastern State University, Hastings, City Hospital, and New Oklahoma State University Medical School. Only a 5 minute drive to Walmart and Reasor's grocery stores!
Contact an agent
Home facts
- Listing ID #:2550327
- Added:545 day(s) ago
- Updated:December 21, 2025 at 08:46 AM
Structure and exterior
- Lot area:0.83 Acres
Finances and disclosures
- Price:$46,500
- Tax amount:$390 (2021)
New listings near 1970 N Everly Drive
- New
$215,000Active3 beds 3 baths2,324 sq. ft.1009 Seminary Avenue, Tahlequah, OK 74464
MLS# 2550651Listed by: C21/FIRST CHOICE REALTY - New
$219,900Active3 beds 1 baths1,429 sq. ft.1020 N Vinita Avenue, Tahlequah, OK 74464
MLS# 2550336Listed by: C21/WRIGHT REAL ESTATE - New
$220,000Active3 beds 2 baths1,567 sq. ft.1104 Michael Street, Tahlequah, OK 74464
MLS# 2550556Listed by: C21/WRIGHT REAL ESTATE - New
$80,000Active2 beds 1 baths768 sq. ft.113 W Chickasaw Street, Tahlequah, OK 74464
MLS# 2550513Listed by: COLDWELL BANKER SELECT - New
$109,900Active3 beds 3 baths1,440 sq. ft.12270 W 835 Road, Tahlequah, OK 74464
MLS# 2550417Listed by: C21/FIRST CHOICE REALTY - New
$164,900Active2 beds 2 baths1,148 sq. ft.22174 S Black Valley Road, Tahlequah, OK 74464
MLS# 2550139Listed by: KELLER WILLIAMS MARKET PRO - New
$122,500Active5 Acres17995 W Jones Road, Tahlequah, OK 74464
MLS# 2550088Listed by: C21/WRIGHT REAL ESTATE
$20,000Pending0.57 AcresRanch Acres Drive, Tahlequah, OK 74464
MLS# 2550097Listed by: C21/WRIGHT REAL ESTATE- New
$259,900Active4 beds 2 baths2,519 sq. ft.710 Victor Street, Tahlequah, OK 74464
MLS# 2549834Listed by: C21/WRIGHT REAL ESTATE
$180,000Active3 beds 2 baths1,350 sq. ft.502 S Cedar Avenue, Tahlequah, OK 74464
MLS# 2549482Listed by: C21/WRIGHT REAL ESTATE