62062 Dean Swift Rd, Bend, OR 97701
Local realty services provided by:Knipe Realty ERA Powered
62062 Dean Swift Rd,Bend, OR 97701
$969,000
- 0.28 Acres
- Lots / Land
- Active
Listed by: jonathan minerick
Office: homecoin.com888-400-2513
MLS#:788015724
Source:PORTLAND
Price summary
- Price:$969,000
About this home
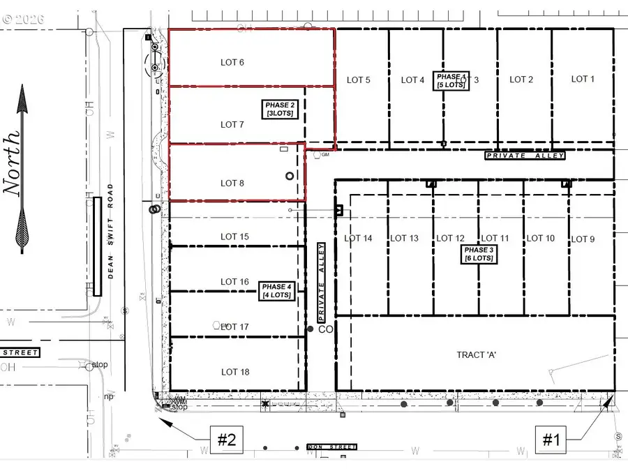
Three mixed residential "live-work" zoned developed lots for sale. These lots are graded and ready to build with paving, curbs, sidewalks, water, sewer, gas, and electric installed. The special zoning for the lots permits building "duplexes" with street-level low-impact businesses and additional residential levels above with the potential to rent the business levels and homes together or separately. The subdivision is also approved for attached or detached townhomes so buildings on separate lots may be joined or partially joined at the lot lines for zero-setback requirements between the lots and to allow for increased 60% lot coverage. The front entrances of structures would be on Dean Swift to the west with a 5' setback and driveway access from Gracie Lane with an 18' setback. Lots 809 and 810 are larger to accommodate driveways with access for 809 through the driveway of 810 (see tax lot map for details). Lot 171234DC00809 is 4,180 sq ft measuring 110' x 38', Lot 171234DC00810 is 4,260 sq ft measuring 110' x 38' + 4' x 20', and Lot 171234DC00811 is 3,420 sq ft measuring 90' x 38' 62062 Dean Swift Rd is the old tract address being used for the ease of location this set of three developed lots....
Contact an agent
Home facts
- Listing ID #:788015724
- Added:72 day(s) ago
- Updated:May 09, 2026 at 11:20 AM
Structure and exterior
- Lot area:0.28 Acres
- Lot Features:Cleared, Private Road, Public Road, Solar
Schools
- High school:Bend
- Middle school:Pilot Butte
- Elementary school:Bear Creek
Utilities
- Water:Water Available
Finances and disclosures
- Price:$969,000
- Tax amount:$1,013 (2025)
New listings near 62062 Dean Swift Rd
- New
$1,569,000Active4 beds 5 baths4,023 sq. ft.60766 Golf Village Loop, Bend, OR 97702
MLS# 220220954Listed by: CASCADE HASSON SIR - New
$575,000Active3 beds 2 baths1,388 sq. ft.61114 Deer Valley Drive, Bend, OR 97702
MLS# 220221026Listed by: CASCADE HASSON SIR - New
$623,000Active3 beds 2 baths1,646 sq. ft.63078 Marsh Orchid Drive, Bend, OR 97701
MLS# 220221032Listed by: EXP REALTY, LLC
$502,788Pending3 beds 3 baths1,705 sq. ft.21442 NE Livingston Drive, Bend, OR 97701
MLS# 220221000Listed by: NEW HOME STAR OREGON, LLC- Open Sat, 12 to 3pmNew
$1,225,000Active3 beds 3 baths2,508 sq. ft.2073 NW Shevlin Crest Drive, Bend, OR 97703
MLS# 220220991Listed by: CASCADE HASSON SIR - New
$545,000Active3 beds 3 baths1,818 sq. ft.21190 Darnel Avenue, Bend, OR 97702
MLS# 220220951Listed by: MARIPOSA REAL ESTATE CORP. - New
$25,000Active10 AcresFort Rock Road, Bend, OR 97701
MLS# 220220959Listed by: WILLIAM JOHNSON, BROKER - New
$1,999,900Active4 beds 4 baths3,391 sq. ft.3355 NW Leavitt Lane #Lot 268, Bend, OR 97703
MLS# 220220966Listed by: EXP REALTY, LLC - New
$1,375,000Active3 beds 5 baths3,232 sq. ft.21283 Dove Lane, Bend, OR 97702
MLS# 220220976Listed by: RE/MAX KEY PROPERTIES - Open Sat, 11am to 1pmNew
$1,074,900Active4 beds 2 baths2,822 sq. ft.26345 Walker Road, Bend, OR 97701
MLS# 220220979Listed by: REDFIN