- ERA
- Pennsylvania
- North East
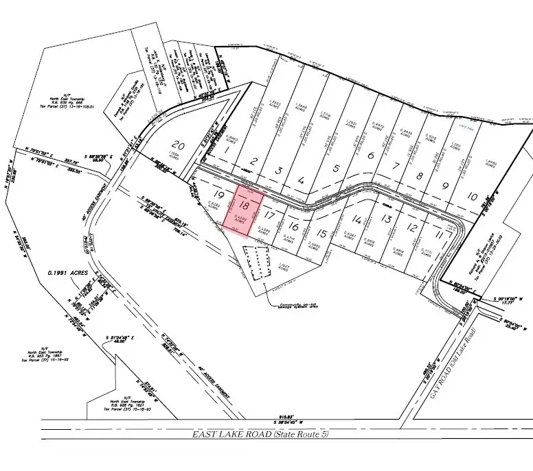
- 103 Edgewater Drive
103 Edgewater Drive, North East, PA 16428
Local realty services provided by:ERA Team VP Real Estate
103 Edgewater Drive,North East, PA 16428
$200,000
- 0.64 Acres
- Lots / Land
- Active
Listed by: gregory rubino
Office: passport realty llc.
MLS#:160788
Source:PA_GEBR
Price summary
- Price:$200,000
About this home
Lakeview building lot in the new Edgewater Beach Subdivision (formerly the site of the Dohler Cottages). Steps from your own private beach. Lot not yet assessed for tax purposes. All new public utilities, electric, water, sewer, natural gas, have been installed. There is a one-time fee of $8,000 for the stormwater system that is already installed. The new roadway is complete. This is truly a shovel-ready lot. Bring your own plans and builder. Only 8 lots of 20 remain.
Contact an agent
Home facts
- Listing ID #:160788
- Added:1098 day(s) ago
- Updated:January 28, 2026 at 08:46 PM
Rooms and interior
- Living area:20,016 sq. ft.
Structure and exterior
- Building area:20,016 sq. ft.
- Lot area:0.64 Acres
Utilities
- Water:Public
- Sewer:Community/Coop Sewer
Finances and disclosures
- Price:$200,000
New listings near 103 Edgewater Drive
- New
$68,900Active0 Acres1636 Freeport Road, North East, PA 16428
MLS# 189405Listed by: RE/MAX REAL ESTATE GROUP EAST - New
$300,000Active3 beds 3 baths1,464 sq. ft.95 Hutchinson Drive, North East, PA 16428
MLS# 189431Listed by: RE/MAX REAL ESTATE GROUP EAST
$275,000Pending4 beds 2 baths1,504 sq. ft.319 Woodmere Road, North East, PA 16428
MLS# 189246Listed by: KW FLAGSHIP REALTY
$189,000Active3 beds 2 baths1,152 sq. ft.9172 Storey Road, North East, PA 16428
MLS# 189187Listed by: LISTWITHFREEDOM.COM
$27,000Active2 beds 1 baths1,140 sq. ft.10644 W Main Lot 54 Road, North East, PA 16428
MLS# 189186Listed by: THE BOWERS GROUP LLC
$549,900Pending4 beds 3 baths2,895 sq. ft.8690 Windy Lane, North East, PA 16428
MLS# 189016Listed by: AGRESTI REAL ESTATE
$325,000Pending3 beds 3 baths2,240 sq. ft.11359 Martin Road, North East, PA 16428
MLS# 189133Listed by: HOWARD HANNA ERIE EAST
$199,900Pending6 beds -- baths2,160 sq. ft.12286 E Main Road, North East, PA 16428
MLS# 189011Listed by: KW FLAGSHIP REALTY
$1,100,000Pending3 beds 2 baths2,136 sq. ft.00000 Old Lake Road, North East, PA 16428
MLS# 188991Listed by: HOWARD HANNA ERIE EAST
$550,000Pending6 beds 4 baths4,752 sq. ft.9600 German Road, North East, PA 16428
MLS# 188974Listed by: RE/MAX REAL ESTATE GROUP EAST