Bo Carrizales, Hatillo, PR 00659
Local realty services provided by:ERA ONETEAM REALTY
Listed by: ida maldonado rivera
Office: keller williams grand homes
MLS#:PR9119317
Source:MFRMLS
Price summary
- Price:$2,900,000
About this home
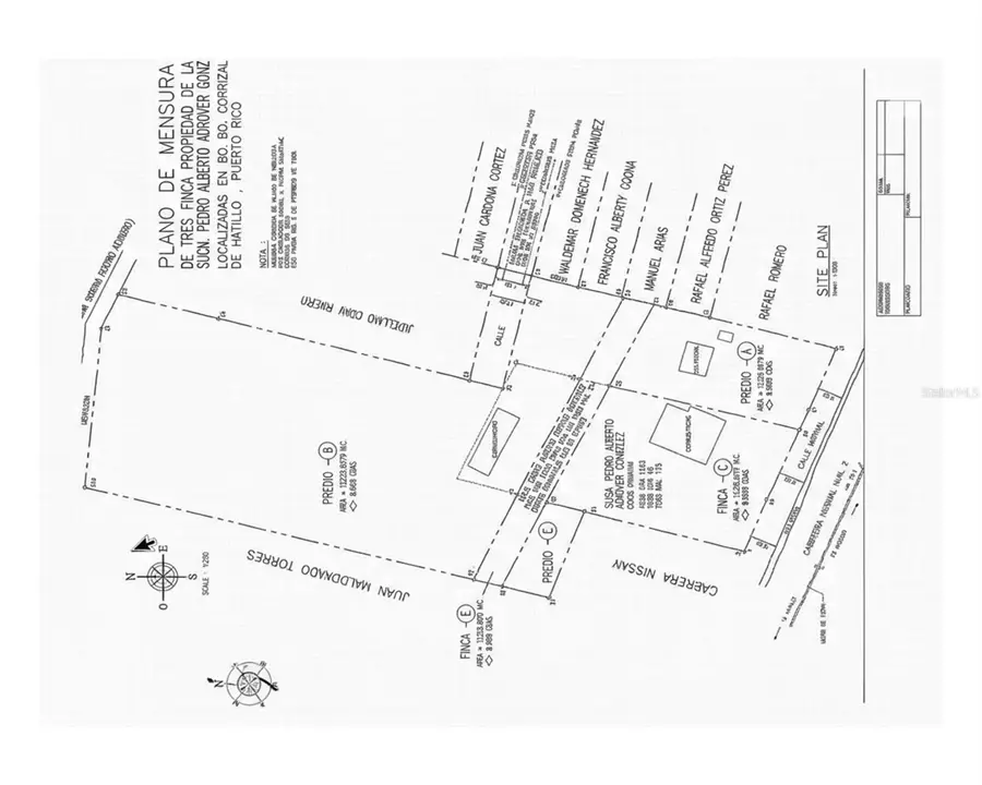
Strategic development opportunity consisting of three (3) land parcels identified as Parcel A, Parcel B, and Parcel C (Finca C), located in Carrizales Ward, Municipality of Hatillo, Puerto Rico, within an area designated for commercial and tourism-related development according to current zoning classifications.
According to title records, the property contains approximately 5.54 acres, offering flexibility for integrated planning and scalable development. The assemblage allows multiple layout configurations suitable for commercial, tourism, or service-oriented projects subject to applicable permits.
Parcel C (Finca C) features direct frontage along State Road PR-2, providing strategic visibility, vehicular accessibility, and commercial exposure. The property also offers ocean views, enhancing its scenic value and potential appeal for hospitality and tourism-oriented developments.
ZONING AND REGULATORY FRAMEWORK:
Zoning Classification: CT-I (Intermediate Commercial Tourist)
Land Use Classification PT and PUT: SU (Urban Land)
Overlay District: APE-ZC (Karst Special Planning Area)
Not located within a floodway.
Subject to Puerto Rico Land Use Plan, Tourism Interest Zones incorporated into the current Joint Regulation, and the Karst Special Planning Area Plan and Regulations (PRAPEC).
PERMITTED USES (among others):
Hotel, eco-lodging, tourist villas, condo-hotel, short-term lodging, professional offices, financial institutions, restaurants, retail uses, art galleries, gyms, daycare centers, vehicle rental, startups, specialized lodging and compatible tourism-related uses subject to applicable regulations.
LAYOUT:
Parcel C (Finca C) — Strategic frontage along PR-2 with existing structures as shown on the survey plan.
Parcel B — Primary parcel as described in title records.
Parcel A — Complementary parcel with public road access.
POSITIONING:
The combination of commercial-tourism zoning, significant land area, ocean views, and prime roadway exposure presents characteristics suitable for hospitality, commercial, service, and tourism-oriented development evaluation, subject to permits and approvals.
NOTE:
Areas, boundaries, and characteristics are subject to verification according to survey plans and recorded documentation....
Contact an agent
Home facts
- Listing ID #:PR9119317
- Added:86 day(s) ago
- Updated:May 22, 2026 at 12:06 PM
Structure and exterior
- Lot area:4.93 Acres
- Levels:1 Story
Utilities
- Water:Public, Water Nearby
- Sewer:Public Sewer
Finances and disclosures
- Price:$2,900,000
Features and amenities
- Amenities:Electricity Available, Telephone Nearby
- Pool features:Public Pool
New listings near Bo Carrizales
$340,000Active4 beds 3 baths2,261 sq. ft.AR 129 Campo Alegre, HATILLO, PR 00659
MLS# PR9121092Listed by: COLDWELL BANKER OF PR
$195,000Pending3 beds 2 baths1,535 sq. ft.Parcela 66 Rafael Capo Campo Alegre, HATILLO, PR 00659
MLS# PR9121069Listed by: MARTINEZ & ASOCIADOS REAL ESTATE
$300,000Active1 AcresN Bo. Pueblo, HATILLO, PR 00659
MLS# PR9117541Listed by: ELIZABETH RODRIGUEZ DELGADO
$299,999Active2 beds 2 baths1,509 sq. ft.D-1 Hatillo Del Mar, HATILLO, PR 00659
MLS# PR9121010Listed by: SAND DOLLARS REALTY & RENTALS
$210,000Active6 beds 3 baths6,456 sq. ft.130 Bo. Capaez, HATILLO, PR 00659
MLS# PR9120677Listed by: ADA I CRUZ RODRIGUEZ
$180,000Active4 beds 2 baths5,171 sq. ft.492 Bo. Corcovado, HATILLO, PR 00659
MLS# PR9120678Listed by: ADA I CRUZ RODRIGUEZ
$125,000Pending3 beds 1 baths973 sq. ft.SR 130 KM 2.7 Capaez Ward Sr 130 Km 2.7 Capaez Ward, HATILLO, PR 00659
MLS# PR9120634Listed by: KELLER WILLIAMS GRAND HOMES
$175,000Pending3 beds 2 baths1,282 sq. ft.SR 130 KM 2.7 Capaez Ward Sr 130 Km 2.7 Capaez Ward, Hatillo Pr 00659, HATILLO, PR 00659
MLS# PR9120635Listed by: KELLER WILLIAMS GRAND HOMES
$160,000Active-- beds 3 baths1,167 sq. ft.CALLE A 286 Comunidad Santa Rosa, HATILLO, PR 00659
MLS# PR9120378Listed by: CM REALTY
$1,600,000Active8 beds 4 baths3,000 sq. ft.119 Avenida Susoni, HATILLO, PR 00659
MLS# PR9120122Listed by: LA ROSA REALTY CW PROPERTIES