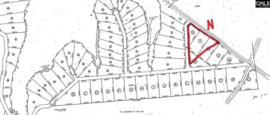
Greengarden Drive, Chapin, SC 29036

Local realty services provided by:ERA Leatherman Realty, Inc.
Greengarden Drive,Chapin, SC 29036
$125,000
  • 0.89 Acres
  • Lots / Land
  • Active
Listed by: w rhett kelly
Office: southern visions realty i llc.
MLS#:620435
Source:SC_CML

Price summary

  • Price:$125,000

About this home

Discover the perfect opportunity to create your dream home in this peaceful, secluded Lake Murray community. These spacious residential lots give the ideal blend of privacy and convenience—just minutes from Chapin’s shopping, dining, and entertainment.Located in the highly sought-after Lexington/Richland District 5 school zone, this property is ideal for those seeking quality education and a welcoming neighborhood feel.Plat and property information are subject to change pending updated surveys. Documents provided are for reference only and may be revised. Community will feature an HOA, ARB, and minimum building requirements—please review attached covenants and restrictions for details.Buyer Note: A soil engineer is strongly recommended to obtain DHEC septic permit approval. Disclaimer: CMLS has not reviewed and, therefore, does not endorse vendors who may appear in listings.

Contact an agent

contact an agent

Yes, I would like more information. Please use and/or share my information with an ERA®  affiliated agent to contact me about my real estate needs. By clicking Send message, I request to be contacted by phone or text message and consent to being contacted by automated means. I understand that my consent to receive calls or texts is not a condition of purchasing any property, goods, or services. Alternatively, I understand that I can access real estate services by email or I can contact the agent myself.

If an ERA®  affiliated agent is not available in the area where I need assistance, I agree to be contacted by a real estate agent affiliated with another brand owned or licensed by Anywhere Real Estate (BHGRE® , CENTURY 21® , Coldwell Banker® , Corcoran® , Sotheby's International Realty® ).
 I acknowledge that I have read and agree to theTerms of useandPrivacy notice

Home facts

  • Listing ID #:620435
  • Added:52 day(s) ago
  • Updated:December 17, 2025 at 06:56 PM

Structure and exterior

  • Lot area:0.89 Acres

Schools

  • High school:Chapin
  • Middle school:Chapin
  • Elementary school:Piney Woods Elementary

Utilities

  • Water:Public
  • Sewer:Public

Finances and disclosures

  • Price:$125,000
Last Updated: December 17, 2025 The data relating to real estate on this Web site derive in part from the Carolina Multiple Listing Services, Inc. IDX program. Brokers make an effort to deliver accurate information, but buyers should independently verify any information on which they will rely in a transaction. All properties are subject to prior sale, change or withdrawal. Neither ERA Leatherman Realty, Inc.nor any listing broker shall be responsible for any typographical errors, misinformation, or misprints, and they shall be held totally harmless from any damages arising from reliance upon this data. This data is provided exclusively for consumers' personal, non-commercial use and may not be used for any purpose other than to identify prospective properties they may be interested in purchasing. Copyright 2025 Carolina Multiple Listing Services, Inc.