3219 Pinewood Drive, Ladson, SC 29456
Local realty services provided by:ERA Wilder Realty
Listed by: chamberlain chesnut
Office: chamberlain chesnut real estate
MLS#:25029909
Source:SC_CTAR
3219 Pinewood Drive,Ladson, SC 29456
$399,000
- 1.15 Acres
- Lots / Land
- Active
Price summary
- Price:$399,000
About this home
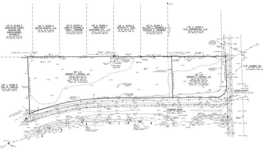
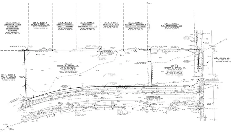
BUILDERS! This is an opportunity for a single family housing housing project consisting of 7 fully entitled single family lots. Two parcels come with the sale totalling 1.15 acres. All 7 lots will be served by NCDS and CWS. The property has already gone through Charleston County Major Subdivision approvals, and received all approvals and permits such as czc, ms4, driveway permits, npdes, etc. The site is ready for site work and vertical construction. Pad sizes on the larger 4 lots are 38'x60', and pad sizes on the 3 front lots can be a variety of sizes such as 32'x36', or 22'x60', or 24'x50'. The site plan is reflecting small landscaped bioswales, not ponds.
Contact an agent
Home facts
- Listing ID #:25029909
- Added:5 day(s) ago
- Updated:November 13, 2025 at 03:36 PM
Structure and exterior
- Lot area:1.15 Acres
Schools
- High school:Stall
- Middle school:Deer Park
- Elementary school:Ladson
Finances and disclosures
- Price:$399,000
New listings near 3219 Pinewood Drive
- New
$299,000Active3 beds 2 baths1,400 sq. ft.4466 Mixedwood Drive, Ladson, SC 29456
MLS# 25030176Listed by: CENTURY 21 PROPERTIES PLUS - New
$250,000Active4 beds 2 baths1,650 sq. ft.53 University Drive, Ladson, SC 29456
MLS# 25030172Listed by: NEXTHOME THE AGENCY GROUP - New
$252,000Active3 beds 2 baths1,230 sq. ft.121 University Drive, Ladson, SC 29456
MLS# 25030158Listed by: JEFF COOK REAL ESTATE LPT REALTY - New
$359,900Active4 beds 2 baths1,668 sq. ft.619 Piedmont Lane, Ladson, SC 29456
MLS# 25030145Listed by: CAROLINA ONE REAL ESTATE - New
$1,000,000Active5.63 Acres126 Moses, Ladson, SC 29456
MLS# 25030131Listed by: KELLER WILLIAMS REALTY CHARLESTON WEST ASHLEY - New
$285,000Active3 beds 2 baths1,097 sq. ft.482 Courtland Drive, Summerville, SC 29486
MLS# 25030000Listed by: AGENTOWNED REALTY - New
$274,986Active3 beds 2 baths1,672 sq. ft.421 Whitebark Drive, Ladson, SC 29456
MLS# 25029760Listed by: KELLER WILLIAMS KEY - New
$459,140Active5 beds 4 baths2,465 sq. ft.1090 Red Turnstone Run, Summerville, SC 29485
MLS# 25029681Listed by: LENNAR SALES CORP. - New
$468,570Active4 beds 3 baths2,650 sq. ft.1092 Red Turnstone Run, Summerville, SC 29485
MLS# 25029684Listed by: LENNAR SALES CORP.