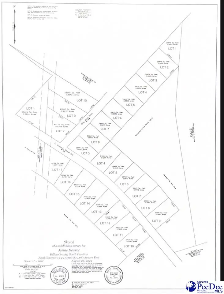
Lot 4 E Academy Street Ext., Latta, SC 29565
Local realty services provided by:ERA Wilder Realty
Lot 4 E Academy Street Ext.,Latta, SC 29565
$19,900
- 0.72 Acres
- Lots / Land
- Active
Listed by: sara b rogers
Office: dillon realty inc
MLS#:20254590
Source:SC_RAGPD
Price summary
- Price:$19,900
About this home
RESIDENTIAL LOT - MODULAR HOMES ARE WELCOMED! No Mobile homes allowed. TRICO water does run down East Academy Street Ext. Buyer responsible to call TRICO to find out what it cost to tap in at (843)-774-4802. You would also need to put a septic down for sewer. Perc test not conducted and would be a buyer's expense at $150 via DHEC, which you can apply for online following a signed ratified contract. Lots are on a paved road & is county maintained. Cash Price $19,900. The lots are marked for you to see which lot is which. No HOA. Owner will finance the land for the buyer. Please contact local real estate agent for more details. Put 811 E Academy Street in your GPS and it will take you to all the lots on E Academy Street Ext in Latta.
Contact an agent
Home facts
- Listing ID #:20254590
- Added:106 day(s) ago
- Updated:March 27, 2026 at 02:28 PM
Structure and exterior
- Lot area:0.72 Acres
Schools
- High school:Latta
- Middle school:Latta
- Elementary school:Latta
Finances and disclosures
- Price:$19,900
New listings near Lot 4 E Academy Street Ext.
- New
$1,200,000Active5 beds 2 baths4,564 sq. ft.121 Dew Street, Latta, SC 29565
MLS# 629756Listed by: PEACE SOTHEBY'S INTERNATIONAL REALTY - New
$269,900Active3 beds 2 baths1,490 sq. ft.7187 U.s. 501, Latta, SC 29565
MLS# 26008029Listed by: CAROLINA PROPERTIES AT LAKE MARION - New
$89,900Active3 beds 2 baths890 sq. ft.715 Henry Extension, Latta, SC 29565
MLS# 2601047Listed by: CAROLINAS FULL SERVICE REALTY
$299,900Active3 beds 2 baths1,580 sq. ft.6102 Berry Rd, Latta, SC 29565
MLS# 2600977Listed by: MY REAL ESTATE GROUP,LLC
$40,000Active1.27 AcresLot 2 B&C Browns Creek Rd., Latta, SC 29565
MLS# 2606480Listed by: COLITE REAL ESTATE
$55,000Active0.37 AcresLot 1 A Browns Creek Rd., Latta, SC 29565
MLS# 2606475Listed by: COLITE REAL ESTATE
$349,000Active43.97 AcresTBD Sunset Drive, Latta, SC 29565
MLS# 2600902Listed by: DILLON REALTY INC
$85,000Active3 beds 1 baths1,072 sq. ft.119 Golden Mack Road, Latta, SC 29565
MLS# 26005641Listed by: KELLER WILLIAMS REALTY CHARLESTON
$29,900Active1.38 AcresTBD Lot 2 Sunset Drive, Latta, SC 29565
MLS# 2600694Listed by: DILLON REALTY INC
$299,000Active3 beds 2 baths1,750 sq. ft.Lot 5 Sunset Dr, Latta, SC 29565-0000
MLS# 2600682Listed by: SPIVEY PROPERTY GROUP, LLC