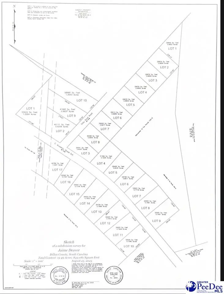
Lot 8 Oaky Point Road, Latta, SC 29565
Local realty services provided by:ERA Real Estate Modo
Lot 8 Oaky Point Road,Latta, SC 29565
$16,900
- 0.69 Acres
- Lots / Land
- Active
Listed by: sara b rogers
Office: dillon realty inc
MLS#:20254582
Source:SC_RAGPD
Price summary
- Price:$16,900
About this home
Mobile homes are allowed; however, they must be a doublewide. NO SINGLEWIDES ALLOWED. TRICO water does run down Oaky Point Road. Buyer responsible to call TRICO to find out what it cost to tap in at (843)-774-4802. You would also need to put a septic down for sewer. Perc test not conducted and would be a buyer's expense at $150 via DHEC, which you can apply for online following a signed ratified contract. Oaky Point Road is a paved road & is county maintained. Cash Price $16,900. The lots are marked for you to see which lot is which. There is a total of 10 lots available on Oaky Point Road. We do offer owner financing on this lot; it is as follows: *Owner financing price is $18,900, with $2,000 downpayment, leaving $16,900 financed. *The owner will finance for up to 10 years at 12% interest. *Making monthly payments as follows: 1 year: $1,501.54/mo. 2 years: $795.54/mo. 3 years: $561.32/mo. 4 years: $445.04/mo. 5 years: $375.93/mo. 6 years: $330.40/mo. 7 years: $298.33/mo. 8 years: $274.67/mo. 9 years: $256.61/mo. 10 years: $242.47/mo. To get to the lots from highway 301 turn at Latta Middle School and pass by the Elementary School. You will come up to 811 E Academy St on the right-hand side. The next street to the left is Oaky Point. Lots start here and go back....
Contact an agent
Home facts
- Listing ID #:20254582
- Added:113 day(s) ago
- Updated:April 03, 2026 at 02:38 PM
Structure and exterior
- Lot area:0.69 Acres
Schools
- High school:Latta
- Middle school:Latta
- Elementary school:Latta
Finances and disclosures
- Price:$16,900
New listings near Lot 8 Oaky Point Road
- New
$140,000Active2 beds 1 baths972 sq. ft.107 China Drive, Latta, SC 29565
MLS# 2601298Listed by: DILLON REALTY INC - New
$43,000Active1.96 AcresTBD Lexyryan Court - Lots H & I, Latta, SC 29565
MLS# 2601299Listed by: ERA LEATHERMAN REALTY, INC. - New
$155,000Active2 beds 1 baths1,103 sq. ft.306 E Main Street, Latta, SC 29520
MLS# 2601259Listed by: EXP REALTY GREYFEATHER GROUP - New
$42,000Active0.62 Acres210 Henry Street, Latta, SC 29565
MLS# 2601240Listed by: DILLON REALTY INC - New
$85,000Active3 beds 2 baths1,128 sq. ft.113 Rogers Street, Latta, SC 29565
MLS# 2601215Listed by: DILLON REALTY INC - New
$169,900Active3 beds 3 baths2,306 sq. ft.1637 W Highway 38, Latta, SC 29565
MLS# 2608031Listed by: COLITE REAL ESTATE - New
$1,200,000Active5 beds 2 baths4,564 sq. ft.121 Dew Street, Latta, SC 29565
MLS# 629756Listed by: PEACE SOTHEBY'S INTERNATIONAL REALTY
$269,900Pending3 beds 2 baths1,490 sq. ft.7187 U.s. 501, Latta, SC 29565
MLS# 26008029Listed by: CAROLINA PROPERTIES AT LAKE MARION
$89,900Active3 beds 2 baths890 sq. ft.715 Henry Extension, Latta, SC 29565
MLS# 2601047Listed by: CAROLINAS FULL SERVICE REALTY
$299,900Active3 beds 2 baths1,580 sq. ft.6102 Berry Rd, Latta, SC 29565
MLS# 2600977Listed by: MY REAL ESTATE GROUP,LLC