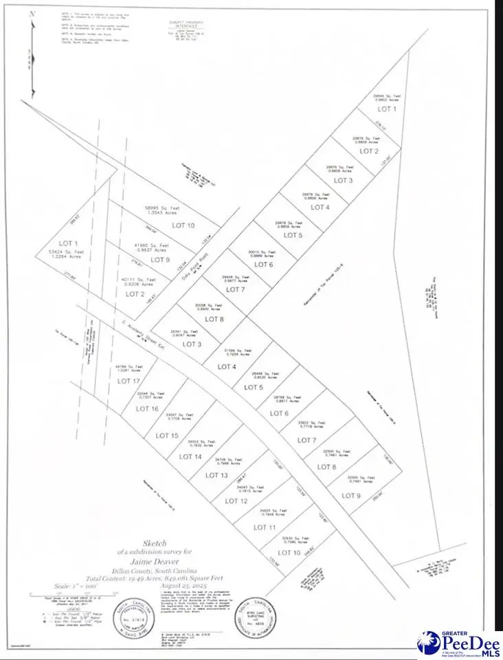
Lot 9 Oaky Point Road, Latta, SC 29565
Local realty services provided by:ERA Leatherman Realty, Inc.
Lot 9 Oaky Point Road,Latta, SC 29565
$16,900
- 0.96 Acres
- Lots / Land
- Active
Listed by: sara b rogers
Office: dillon realty inc
MLS#:20254574
Source:SC_RAGPD
Price summary
- Price:$16,900
About this home
Mobile homes are allowed; however, they must be a doublewide. NO SINGLEWIDES ALLOWED. TRICO water does run down Oaky Point Road. Buyer responsible to call TRICO to find out what it cost to tap in at (843)-774-4802. You would also need to put a septic down for sewer. Perc test not conducted and would be a buyer's expense at $150 via DHEC, which you can apply for online following a signed ratified contract. Oaky Point Road is a paved road & is county maintained. Cash Price $16,900. The lots are marked for you to see which lot is which. There is a total of 10 lots available on Oaky Point Road. No HOA We do offer owner financing on this lot; it is as follows: *Owner financing price is $18,900, with $2,000 downpayment, leaving $16,900 financed. *The owner will finance for up to 5 years at 12% interest. *Making monthly payments as follows: 1 year: $1,501.54/mo. 2 years: $795.54/mo. 3 years: $561.32/mo. 4 years: $445.04/mo. 5 years: $375.93/mo. 6 years: $330.40/mo. 7 years: $298.33/mo. To get to the lots from highway 301 turn at Latta Middle School and pass by the Elementary School. You will come up to 811 E Academy St on the right-hand side. The next street to the left is Oaky Point. Lots start here and go back....
Contact an agent
Home facts
- Listing ID #:20254574
- Added:153 day(s) ago
- Updated:May 13, 2026 at 02:33 PM
Structure and exterior
- Lot area:0.96 Acres
- Lot Features:Partially Wooded
Schools
- High school:Latta
- Middle school:Latta
- Elementary school:Latta
Finances and disclosures
- Price:$16,900
- Tax amount:$151
New listings near Lot 9 Oaky Point Road
- New
$196,900Active3 beds 2 baths1,200 sq. ft.519 E Main Street, Latta, SC 29565
MLS# 2601925Listed by: DILLON REALTY INC - New
$69,900Active4 beds 2 baths2,000 sq. ft.6416 Beaver Trail Road, Latta, SC 29565
MLS# 202541Listed by: JPAR MAGNOLIA GROUP - New
$30,000Active0.74 Acres202 Meggs Island Road, Latta, SC 29565
MLS# 2601818Listed by: EXP REALTY GREYFEATHER GROUP
$29,900Active0.75 AcresLot 17 Treasure Cove, Latta, SC 29565
MLS# 2601707Listed by: DILLON REALTY INC
$129,000Pending3 beds 2 baths1,568 sq. ft.1338 Beechnut Drive, Latta, SC 29565
MLS# 2601643Listed by: EXP REALTY LLC
$60,000Active7.65 AcresTBD Zachary Court, Latta, SC 29565
MLS# 2601622Listed by: DILLON REALTY INC
$139,900Active3 beds 2 baths1,008 sq. ft.2358 Southern Drive, Latta, SC 29565
MLS# 2601580Listed by: RE/MAX PROFESSIONALS
$250,000Active1.33 Acres226 S Richardson Street, Latta, SC 29565
MLS# 2601556Listed by: DILLON REALTY INC
$22,000Active0.48 Acres330 NE Railroad Avenue, Latta, SC 29565
MLS# 2601527Listed by: DILLON REALTY INC
$199,900Active4 beds 2 baths2,128 sq. ft.3253 Four Oaks Loop, Latta, SC 29565
MLS# 2601370Listed by: HYATT REALTY