2 Pickens Drive, Pendleton, SC 29670
Local realty services provided by:ERA Live Moore
2 Pickens Drive,Pendleton, SC 29670
$185,000
- 5.25 Acres
- Lots / Land
- Pending
Listed by: david carter
Office: carter outdoor realty
MLS#:20297312
Source:SC_AAR
Price summary
- Price:$185,000
About this home
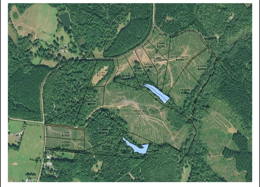
Lot 2 is 5.25 acres and part of a large tract being subdivided into 5 to 30 acre parcels. Great location just minutes to Anderson, Clemson, and Greenville SC! Award winning Pendleton school district! The new highschool will open in 2026! Country living yet convenient to schools, shopping, and lake Hartwell! Survey included! Additional property available per attached map. Call today for more info and a personal tour!
Contact an agent
Home facts
- Listing ID #:20297312
- Added:83 day(s) ago
- Updated:April 28, 2026 at 07:17 AM
Structure and exterior
- Lot area:5.25 Acres
- Lot Features:Not In Subdivision, Outside City Limits
Schools
- High school:Pendleton High
- Middle school:Riverside Middl
- Elementary school:Mount Lebanon
Finances and disclosures
- Price:$185,000
New listings near 2 Pickens Drive
- New
$294,900Active4 beds 3 baths321 Shortleaf Lane, Pendleton, SC 29670
MLS# 1590821Listed by: MTH SC REALTY, LLC - New
$309,900Active4 beds 3 baths323 Shortleaf Lane, Pendleton, SC 29670
MLS# 20299553Listed by: MTH SC REALTY, LLC
$328,290Pending5 beds 3 baths325 Shortleaf Lane, Pendleton, SC 29670
MLS# 20299554Listed by: MTH SC REALTY, LLC
$299,710Pending4 beds 3 baths327 Shortleaf Lane, Pendleton, SC 29670
MLS# 1590657Listed by: MTH SC REALTY, LLC- New
$348,800Active4 beds 3 baths2,137 sq. ft.154 Capslock Trail, Pendleton, SC 29670
MLS# 20300986Listed by: SOUTHERN ROOTS REAL ESTATE - New
$249,900Active3 beds 3 baths320 Thompson Street, Pendleton, SC 29670
MLS# 1590447Listed by: HOWARD HANNA ALLEN TATE/PINE TO PALM REALTY - New
$199,900Active2 beds 1 baths1,188 sq. ft.307 South Elm Street, Pendleton, SC 29670
MLS# 20300655Listed by: REAL GVL/REAL BROKER, LLC - New
$369,900Active3 beds 3 baths2,029 sq. ft.212 Colonels Road, Pendleton, SC 29670
MLS# 20300644Listed by: EXP REALTY LLC - New
$260,500Active3 beds 3 baths1,486 sq. ft.100 Homeplace Drive, Pendleton, SC 29670
MLS# 20300407Listed by: DUNLAP TEAM REAL ESTATE - New
$219,000Active3 beds 1 baths1,024 sq. ft.308 Buchanan Circle, Pendleton, SC 29670
MLS# 20300563Listed by: COLDWELL BANKER CAINE/WILLIAMS