0 Main Street N, Tennessee Ridge, TN 37178

Local realty services provided by:ERA Chappell & Associates Realty & Rental
0 Main Street N,Tennessee Ridge, TN 37178
$50,000
  • 0.6 Acres
  • Lots / Land
  • Active
Listed by: callie southerland
Office: simplihom
MLS#:3003412
Source:NASHVILLE

Price summary

  • Price:$50,000

About this home

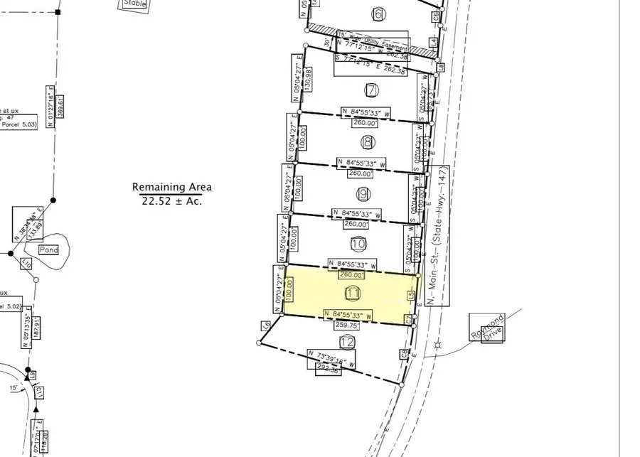
0.60 Acres with close proximity to the KY LAKE \\\ Utilities include: electric/ city water @ road, CITY SEWER will be available 30-60 days /// **... 100+/- ft of road frontage.. this lot is cleared with a awesome lay of land for building!!! ** FIBER INTERNET AVAILABLE ** Calling all L A K E L O V E R S — KY LAKE short drive away! Cane Creek full service Marina approx 18 min drive…. **NO HOA.. See property restrictions in place to uphold the integrity of your property in The KY Reserve** || No Mobile Homes on lots 7-12 || NEW Survey Available **AWESOME COUNTRY SETTING with convenience** (( More acreage options available for purchase - ask listing agent for more info )) LOCATION: Close proximity to schools, KY Lake, Land Between the Lakes recreation area, McKinnon Air Strip, boat ramps, and approx. 30 min commute to Clarksville and Dickson!! See or request PDF documents of survey, restrictions, and more from list agent.

Contact an agent

contact an agent

Yes, I would like more information. Please use and/or share my information with an ERA®  affiliated agent to contact me about my real estate needs. By clicking Send message, I request to be contacted by phone or text message and consent to being contacted by automated means. I understand that my consent to receive calls or texts is not a condition of purchasing any property, goods, or services. Alternatively, I understand that I can access real estate services by email or I can contact the agent myself.

If an ERA®  affiliated agent is not available in the area where I need assistance, I agree to be contacted by a real estate agent affiliated with another brand owned or licensed by Anywhere Real Estate (BHGRE® , CENTURY 21® , Coldwell Banker® , Corcoran® , Sotheby's International Realty® ).
 I acknowledge that I have read and agree to theTerms of useandPrivacy notice

Home facts

  • Listing ID #:3003412
  • Added:1 day(s) ago
  • Updated:December 19, 2025 at 03:44 PM

Structure and exterior

  • Lot area:0.6 Acres

Schools

  • High school:Houston Co High School
  • Middle school:Houston Co Middle School
  • Elementary school:Tennessee Ridge Elementary

Utilities

  • Water:Public, Water Available
  • Sewer:Public Sewer

Finances and disclosures

  • Price:$50,000
  • Tax amount:$1
MLS LogoCopyright 2025 Realtracs Mls. All rights reserved. Realtracs Mls provides content displayed here (“provided content”) on an “as is” basis and makes no representations or warranties regarding the provided content, including, but not limited to those of non-infringement, timeliness, accuracy, or completeness. Individuals and companies using information presented are responsible for verification and validation of information they utilize and present to their customers and clients. Realtracs Mls will not be liable for any damage or loss resulting from use of the provided content or the products available through Portals, IDX, VOW, and/or Syndication. Recipients of this information shall not resell, redistribute, reproduce, modify, or otherwise copy any portion thereof without the expressed written consent of Realtracs Mls.