10 Annie Hollow Rd, Westmoreland, TN 37186
Local realty services provided by:Reliant Realty ERA Powered
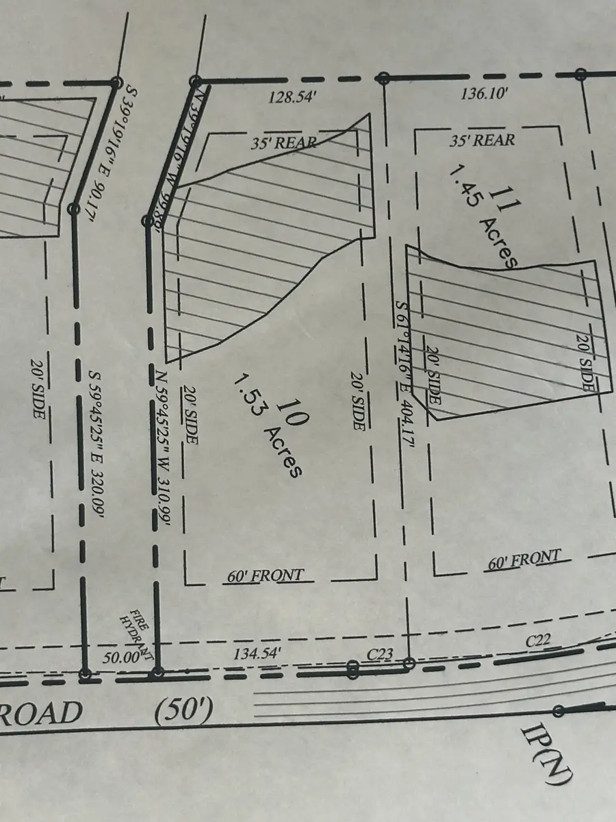
10 Annie Hollow Rd,Westmoreland, TN 37186
$68,500
- 1.53 Acres
- Lots / Land
- Pending
Listed by:whitney shrum
Office:bhgre | ben bray real estate & associates
MLS#:3013569
Source:NASHVILLE
Price summary
- Price:$68,500
About this home
Newly surveyed and soil tested for a 4 bedroom septic system, Lot 10 offers 1.53 acres of cleared building lot. New doublewides on a permanent foundation or at least 1100 sq ft site built homes allowed. This location is a short commute to Portland, Gallatin, or Lafayette. Boundary lines are flagged. City water and utilities available on Annie Hollow Rd.
Contact an agent
Home facts
- Listing ID #:3013569
- Added:2 day(s) ago
- Updated:October 11, 2025 at 04:44 AM
Structure and exterior
- Lot area:1.53 Acres
Schools
- High school:Macon County High School
- Middle school:Macon County Junior High School
- Elementary school:Westside Elementary
Utilities
- Water:Public, Water Available
- Sewer:Septic Tank
Finances and disclosures
- Price:$68,500
- Tax amount:$100
New listings near 10 Annie Hollow Rd
- New$305,000Active3 beds 2 baths1,362 sq. ft.
2131 Lambert Dr, Westmoreland, TN 37186
MLS# 3012668Listed by: REALTY ONE GROUP MUSIC CITY - Open Sun, 2 to 4pmNew$339,000Active3 beds 2 baths1,603 sq. ft.
219 Wagoners Way, Westmoreland, TN 37186
MLS# 3011796Listed by: PARKS COMPASS - New$230,000Active3 beds 2 baths1,489 sq. ft.
4335 Hawkins Dr, Westmoreland, TN 37186
MLS# 3006793Listed by: EXIT REALTY REFINED - $345,000Active3 beds 2 baths1,880 sq. ft.
401 Robins Trl, Westmoreland, TN 37186
MLS# 2998608Listed by: KELLER WILLIAMS FIRST CHOICE REALTY - $195,000Active3 beds 1 baths1,086 sq. ft.
1309 Old Highway 31 E, Westmoreland, TN 37186
MLS# 2992587Listed by: WALLY GILLIAM REALTY & AUCTION - $209,900Active3 beds 2 baths1,296 sq. ft.
1715 Old Highway 31 E, Westmoreland, TN 37186
MLS# 2981014Listed by: THE REALTY FIRM - SMITHVILLE - $399,700Active5 beds 2 baths2,016 sq. ft.
6221 Austin Peay Hwy, Westmoreland, TN 37186
MLS# 2975791Listed by: THE GOMES AGENCY - $259,900Active3 beds 2 baths1,184 sq. ft.
1646 Pleasant Grove Rd, Westmoreland, TN 37186
MLS# 2973651Listed by: BELLSHIRE REALTY, LLC - $610,000Active2.23 Acres
5270 New Highway 31e, Westmoreland, TN 37186
MLS# 2963856Listed by: EXIT REALTY REFINED - $99,000Active1 Acres
0 Kelly Blvd, Westmoreland, TN 37186
MLS# 2946261Listed by: KELLER WILLIAMS REALTY - LEBANON