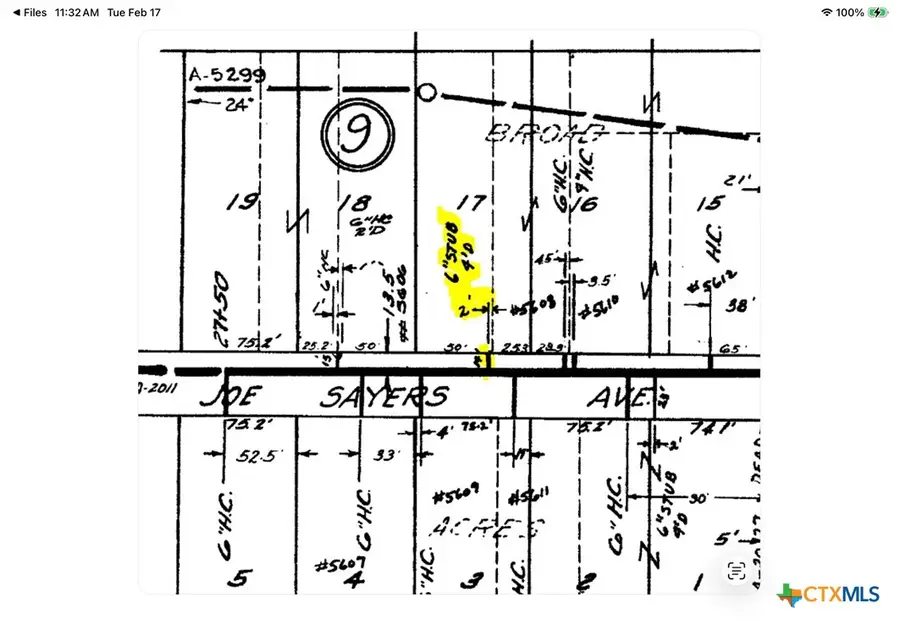
5606 1/2 Joe Sayers Avenue, Austin, TX 78756

Local realty services provided by:ERA Experts
5606 1/2 Joe Sayers Avenue,Austin, TX 78756
$375,000
  • 0.25 Acres
  • Lots / Land
  • Active
Listed by: karen choate
Office: coldwell banker realty
MLS#:604779
Source:TX_FRAR

Price summary

  • Price:$375,000

About this home

This lot is ready to build your dream home or investment project. Currently zoned SF-3 allowing for Single Family Residential (SFR) SFR with ADU (accessory dwelling unit) or Duplex. It is recommended to confirm zoning is acceptable for buyer's intended use. This is a build-ready 1/4 acre lot in a great location with easy access to major highways. The neighborhood is a mix of modern, mid-century, eclectic and more. It's in close proximity to Central Market, Domain, Whole Foods, and shopping, retail and schools. This lot is an Incredible opportunity in the Brentwood area just minutes from hot Burnet Rd. It's also located just a short distance to food, coffee, grocery, schools, etc. At this price, your next central Austin project is ready and waiting for you!. The information provided herein is from a variety of sources deemed reliable.

Contact an agent

contact an agent

Yes, I would like more information. Please use and/or share my information with an ERA®  affiliated agent to contact me about my real estate needs. By clicking Send message, I request to be contacted by phone or text message and consent to being contacted by automated means. I understand that my consent to receive calls or texts is not a condition of purchasing any property, goods, or services. Alternatively, I understand that I can access real estate services by email or I can contact the agent myself.

If an ERA®  affiliated agent is not available in the area where I need assistance, I agree to be contacted by a real estate agent affiliated with another brand owned or licensed by Anywhere Real Estate (BHGRE® , CENTURY 21® , Coldwell Banker® , Corcoran® , Sotheby's International Realty® ).
 I acknowledge that I have read and agree to theTerms of useandPrivacy notice

Home facts

  • Listing ID #:604779
  • Added:62 day(s) ago
  • Updated:May 03, 2026 at 02:23 PM

Structure and exterior

  • Lot area:0.25 Acres

Utilities

  • Water:Public
  • Sewer:Public Sewer

Finances and disclosures

  • Price:$375,000
Some properties that appear for sale on this web site may subsequently have been sold and may no longer be available. The data relating to real estate for sale on this web site comes in part from the FHAAR IDX INFO SHARE PROGRAM. Real estate listings held by brokerage firms other than ERA Experts include the name of the listing agent. Copyright 2026 FHAAR IDX INFO SHARE PROGRAM. Last Updated May 3, 2026