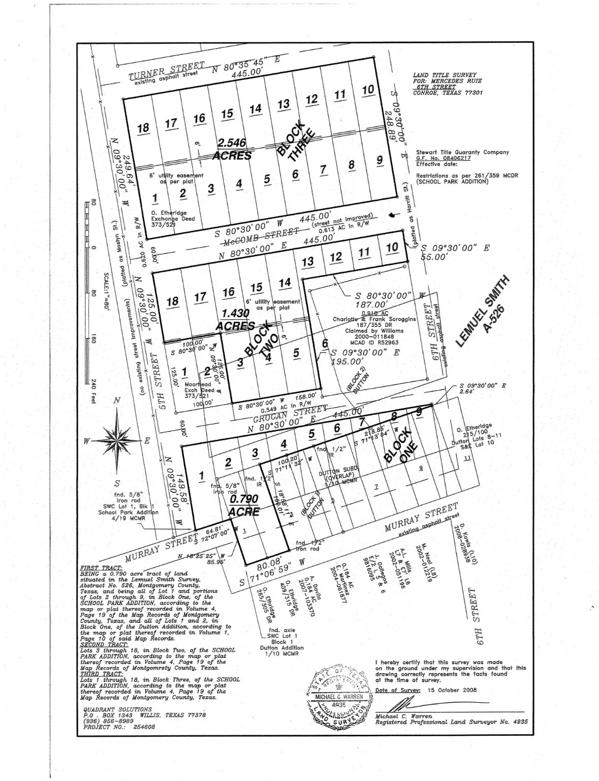
705 N 6th Street, Conroe, TX 77301
Local realty services provided by:American Real Estate ERA Powered
705 N 6th Street,Conroe, TX 77301
$575,000
- 4.8 Acres
- Lots / Land
- Active
Listed by: faye ausmus
Office: ausmus premier properties, llc.832-563-4157
MLS#:93312176
Source:HARMLS
Price summary
- Price:$575,000
About this home
Platted Lots in the City limits of Conroe. Utilities available . Paved road frontage on Turner, 6th Street and Murray Street. 4 lots were approved by the City for building duplexes. 3 on Turner and 1 on 6th street. There are a couple of lots on Murray Street that you may be ready for building. Balance of property could possibly be used for multi-family and replatted, Or you may need to put in McComb Street and Grogan Street as these streets are not in. Call the Agent or City of Conroe to discuss. No zoning in Conroe, but there are City guidelines, you would need to verify with the City. Multiple possibilities for this property with all City Utilities available.
Contact an agent
Home facts
- Listing ID #:93312176
- Updated:May 13, 2026 at 11:42 AM
Structure and exterior
- Lot area:4.8 Acres
- Lot Features:Corner Lot
- Architectural Style:PatioHome
Schools
- High school:CONROE HIGH SCHOOL
- Middle school:STOCKTON JUNIOR HIGH SCHOOL
- Elementary school:HOUSTON ELEMENTARY SCHOOL (CONROE)
Utilities
- Sewer:Public Sewer
Finances and disclosures
- Price:$575,000
- Tax amount:$2,984 (2024)
New listings near 705 N 6th Street
- New
$365,000Active2 beds 3 baths1,824 sq. ft.144 April Point Drive S, Conroe, TX 77356
MLS# 91970971Listed by: MYERS & LINDSEY REAL ESTATE - New
$415,000Active4 beds 3 baths2,257 sq. ft.14146 Primrose Ridge Lane, Conroe, TX 77384
MLS# 64616600Listed by: CB&A, REALTORS - Open Sat, 12 to 3pmNew
$309,990Active4 beds 2 baths2,260 sq. ft.952 Crannog Way, Conroe, TX 77301
MLS# 50105401Listed by: EXP REALTY LLC - New
$295,000Active3 beds 2 baths1,621 sq. ft.49 April Village, Conroe, TX 77356
MLS# 67031178Listed by: COMPASS RE TEXAS, LLC - THE WOODLANDS - New
$212,890Active3 beds 2 baths1,418 sq. ft.14680 South Ascot Bend Circle, Conroe, TX 77306
MLS# 2246159Listed by: LENNAR HOMES VILLAGE BUILDERS, LLC - New
$334,490Active4 beds 3 baths2,244 sq. ft.1697 Hopson Ranch Drive, Conroe, TX 77301
MLS# 29267943Listed by: MERITAGE HOMES REALTY - New
$375,000Active4 beds 3 baths2,046 sq. ft.2622 Ivy Wood Lane, Conroe, TX 77385
MLS# 31680365Listed by: RE/MAX INTEGRITY - New
$350,590Active4 beds 3 baths2,244 sq. ft.2102 Rawls Ranch Court, Conroe, TX 77301
MLS# 45687210Listed by: MERITAGE HOMES REALTY - New
$298,000Active4 beds 3 baths2,586 sq. ft.2531 Eden Ridge Way, Willis, TX 77378
MLS# 47446775Listed by: MARTHA TURNER SOTHEBY'S INTERNATIONAL REALTY - THE WOODLANDS - New
$2,700,000Active30 Acres11927 Douget Road, Conroe, TX 77303
MLS# 51314688Listed by: REALM REAL ESTATE PROFESSIONALS - NORTH HOUSTON