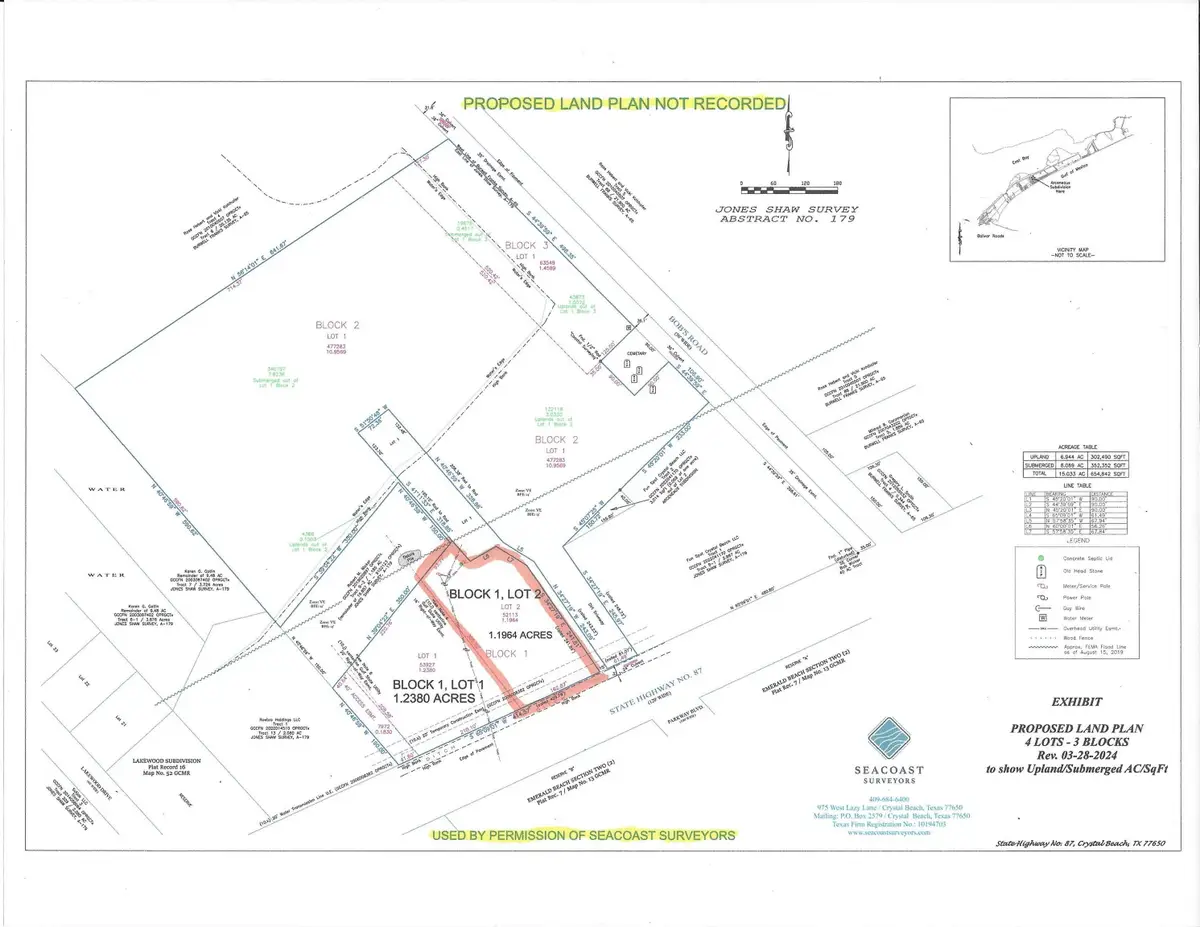
2043 HWY 87, Crystal Beach, TX 77650
Local realty services provided by:American Real Estate ERA Powered
2043 HWY 87,Crystal Beach, TX 77650
$200,000
- 1.19 Acres
- Lots / Land
- Active
Listed by: keely ritchey
Office: key real estate propertiesllc
MLS#:263592
Source:TX_BBOR
Price summary
- Price:$200,000
About this home
PROPOSED REPLAT 1.19 ACRE LOT WITH 162' OF HWY 87 FRONTAGE. THIS PROPERTY IS PART OF A 15 ACRE TRACT AND CAN BE DIVIDED AS PROPOSED IN THIS LISTING. REFER TO MLS #261496 OF THE 15 ACRE TRACT. PERFECT FOR COMMERCIAL OR RECREATIONAL
Contact an agent
Home facts
- Listing ID #:263592
- Added:108 day(s) ago
- Updated:March 31, 2026 at 02:29 PM
Structure and exterior
- Lot area:1.19 Acres
Utilities
- Water:Community Water
- Sewer:Community Sewer, Septic System
Finances and disclosures
- Price:$200,000
New listings near 2043 HWY 87
$45,000Active0.19 Acres0 N Jacks, Crystal Beach, TX 77650
MLS# 59185892Listed by: KJ PLATINUM PROPERTIES LLC- New
$80,000Active0.22 Acres876 S Monkhouse Drive, Crystal Beach, TX 77650
MLS# 10451035Listed by: WHITE PICKET REALTY LLC
$410,000Pending3 beds 3 baths1,288 sq. ft.2366 Sandman, Crystal Beach, TX 77650
MLS# 48107084Listed by: BUYCRYSTALBEACH.COM- New
$25,000Active0.11 Acres1272 N Tinkle Lane, Crystal Beach, TX 77650
MLS# 42535488Listed by: REALTY OF AMERICA, LLC - New
$569,000Active4 beds 3 baths1,600 sq. ft.808 Pinata Drive, Crystal Beach, TX 77650
MLS# 87375530Listed by: RE/MAX COASTAL - New
$599,000Active3 beds 4 baths1,600 sq. ft.920 Palmview, Crystal Beach, TX 77650
MLS# 44061381Listed by: EXP REALTY LLC - New
$925,000Active4 beds 3 baths1,776 sq. ft.112 Ocean Shore Drive, Crystal Beach, TX 77650
MLS# 54160455Listed by: BOSTON REAL ESTATE GROUP LLC
$239,000Active2 beds 2 baths1,044 sq. ft.898 S Crystal Beach Road, Crystal Beach, TX 77650
MLS# 54725857Listed by: BUYCRYSTALBEACH.COM- New
$374,000Active3 beds 2 baths1,092 sq. ft.871 Surfview, Crystal Beach, TX 77650
MLS# 23172748Listed by: UTR TEXAS, REALTORS - New
$339,000Active2 beds 2 baths960 sq. ft.872 O Neil Road, Crystal Beach, TX 77650
MLS# 63238113Listed by: COBB REAL ESTATE