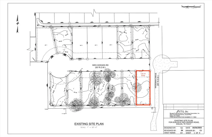
8132 Wes Hodges Road, Dallas, TX 75217
Local realty services provided by:ERA Myers & Myers Realty
8132 Wes Hodges Road,Dallas, TX 75217
$19,800
- 0.18 Acres
- Lots / Land
- Pending
Listed by: destiny hunt520-220-6055
Office: dhs realty
MLS#:21152796
Source:GDAR
Price summary
- Price:$19,800
About this home
Prime Infill Development Opportunity - 10 Platted Lots - Near-Shovel-Ready – Sold as Package
Exceptional infill development opportunity to acquire 10 platted residential lots located on the same block, offered exclusively as a package in a rapidly growing Dallas submarket. Lot sizes vary - this one is 7880, and individual surveys are available for each lot, providing a clear path for planning, permitting, and construction.
This near shovel-ready project is supported by a comprehensive development package designed to significantly reduce pre-development time and cost. Available materials include a site plan, City of Dallas proposed drainage map, utility plan, traffic control plan, landscape plan, and Storm Water Pollution Prevention Plan (SWPPP), making this an ideal opportunity for developers seeking a streamlined, entitlement-ready project.
Located near Loop 12 and Hwy 175, the site benefits from strong accessibility, ongoing redevelopment, and increasing housing demand. New construction homes in the surrounding area are selling quickly in the mid-$300s, supporting solid exit values, builder margins, and long-term investment upside.
The configuration of the lots creates an excellent opportunity for a developer capable of constructing the street and infrastructure, enabling a cohesive, efficient residential buildout. This offering is well-suited for small to mid-size builders, investors, and development groups looking for a scalable infill, ground-up construction project in Dallas.
Lots will not be sold individually. Package sale only.
Contact an agent
Home facts
- Listing ID #:21152796
- Added:30 day(s) ago
- Updated:February 11, 2026 at 08:12 AM
Structure and exterior
- Lot area:0.18 Acres
Schools
- High school:Spruce
- Middle school:Comstock
- Elementary school:Macon
Finances and disclosures
- Price:$19,800
- Tax amount:$1,106
New listings near 8132 Wes Hodges Road
- Open Fri, 4:30 to 6pmNew
$1,250,000Active3 beds 3 baths2,010 sq. ft.6902 Robin Road, Dallas, TX 75209
MLS# 21174840Listed by: REAL BROKER, LLC - Open Sun, 12 to 2pmNew
$450,000Active2 beds 3 baths1,373 sq. ft.4407 Munger Avenue #2, Dallas, TX 75204
MLS# 21177374Listed by: BRIGGS FREEMAN SOTHEBY'S INT'L - New
$215,000Active2 beds 1 baths999 sq. ft.4736 Bradford Drive #C, Dallas, TX 75219
MLS# 21177575Listed by: DAVE PERRY MILLER REAL ESTATE - New
$365,000Active3 beds 2 baths1,870 sq. ft.7127 Larkin Drive, Dallas, TX 75227
MLS# 21177639Listed by: UNIVERSAL REALTY, INC - New
$339,000Active2 beds 2 baths1,146 sq. ft.6060 Birchbrook Drive #159, Dallas, TX 75206
MLS# 21177688Listed by: COMPASS RE TEXAS, LLC - New
$945,000Active4 beds 4 baths3,629 sq. ft.9615 Faircrest Drive, Dallas, TX 75238
MLS# 21167184Listed by: DAVE PERRY MILLER REAL ESTATE - Open Sun, 2 to 4pmNew
$899,999Active4 beds 3 baths2,483 sq. ft.7160 Blackwood Drive, Dallas, TX 75231
MLS# 21174955Listed by: EBBY HALLIDAY, REALTORS - Open Sun, 2 to 4pmNew
$425,000Active3 beds 3 baths1,858 sq. ft.18914 Ravenglen Court, Dallas, TX 75287
MLS# 21175601Listed by: EBBY HALLIDAY REALTORS - New
$1,279,000Active4 beds 3 baths2,622 sq. ft.6227 Lakeshore, Dallas, TX 75214
MLS# 21177592Listed by: COLDWELL BANKER REALTY - New
$139,900Active3 beds 2 baths1,091 sq. ft.2807 Andrea Lane, Dallas, TX 75228
MLS# 21177614Listed by: SPRING HOUSE REALTY