TBD Wester Road, Ellis, TX 75125
Local realty services provided by:ERA Empower
Listed by: gorge martinez
Office: hi view real estate
MLS#:21187045
Source:GDAR
Price summary
- Price:$125,000
About this home
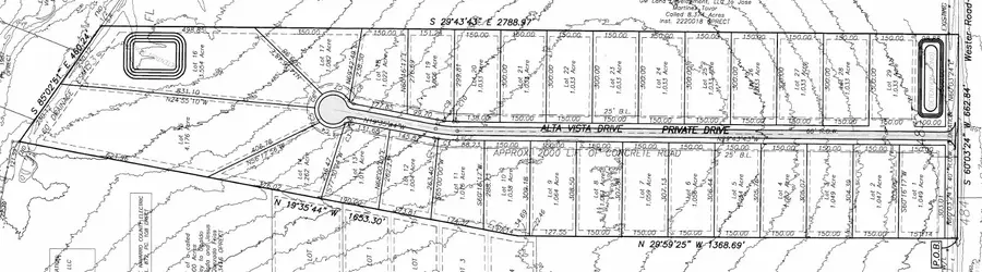
Welcome to Alta Vista Estates with 29 residential lots in Ferris, TX! This community provides a quick access to I-45 while providing a country feel lifestyle. Light deed restrictions to ensure peaceful living among neighbors. Bring your own floor plans or select one of our plans and customize your future build! Home Pictures are of builders past builds. Only a limited # of lots will be pre-sold. Plat approved and construction expected to start in Summer 2026!!!!
Contact an agent
Home facts
- Listing ID #:21187045
- Added:82 day(s) ago
- Updated:May 15, 2026 at 11:55 AM
Structure and exterior
- Lot area:1 Acres
- Lot Features:Acreage
Schools
- High school:Ferris
- Elementary school:Ingram
Finances and disclosures
- Price:$125,000
- Tax amount:$125
New listings near TBD Wester Road
- New
$459,000Active3 beds 3 baths2,743 sq. ft.3206 Meadow Ridge Drive, Midlothian, TX 76065
MLS# 21268402Listed by: ORCHARD BROKERAGE - New
$1,260,000Active4 beds 2 baths2,228 sq. ft.1900 S Duncanville Road, Ovilla, TX 75154
MLS# 21164788Listed by: CENTURY 21 JUDGE FITE COMPANY - New
$299,000Active3 beds 2 baths1,560 sq. ft.608 Cardinal Drive, Ovilla, TX 75154
MLS# 21268969Listed by: EBBY HALLIDAY, REALTORS - New
$482,997Active3 beds 2 baths1,887 sq. ft.4431 Kings Court, Midlothian, TX 76065
MLS# 21264914Listed by: RE/MAX FRONTIER - Open Sat, 11am to 1pmNew
$465,000Active4 beds 3 baths2,695 sq. ft.605 Roscoe Drive, Midlothian, TX 76065
MLS# 21268655Listed by: KELLER WILLIAMS REALTY DPR - New
$375,000Active3 beds 2 baths2,080 sq. ft.506 W Baylor Street, Ennis, TX 75119
MLS# 21269662Listed by: REALTY OF AMERICA, LLC - New
$310,000Active3 beds 2 baths1,900 sq. ft.208 Red Wolf Lane, Red Oak, TX 75154
MLS# 21270625Listed by: CITY REAL ESTATE - New
$599,990Active5 beds 5 baths3,689 sq. ft.3137 Miller Road, Midlothian, TX 76065
MLS# 21271075Listed by: WILLIAM ROBERDS - New
$430,000Active4 beds 3 baths2,411 sq. ft.499 Washington Avenue, Waxahachie, TX 75165
MLS# 21254848Listed by: FRITZ REALTY GROUP LLC - Open Sun, 12 to 2pmNew
$329,000Active4 beds 3 baths2,441 sq. ft.501 Coral Reef Lane, Glenn Heights, TX 75154
MLS# 21259352Listed by: WILLIAM DAVIS REALTY