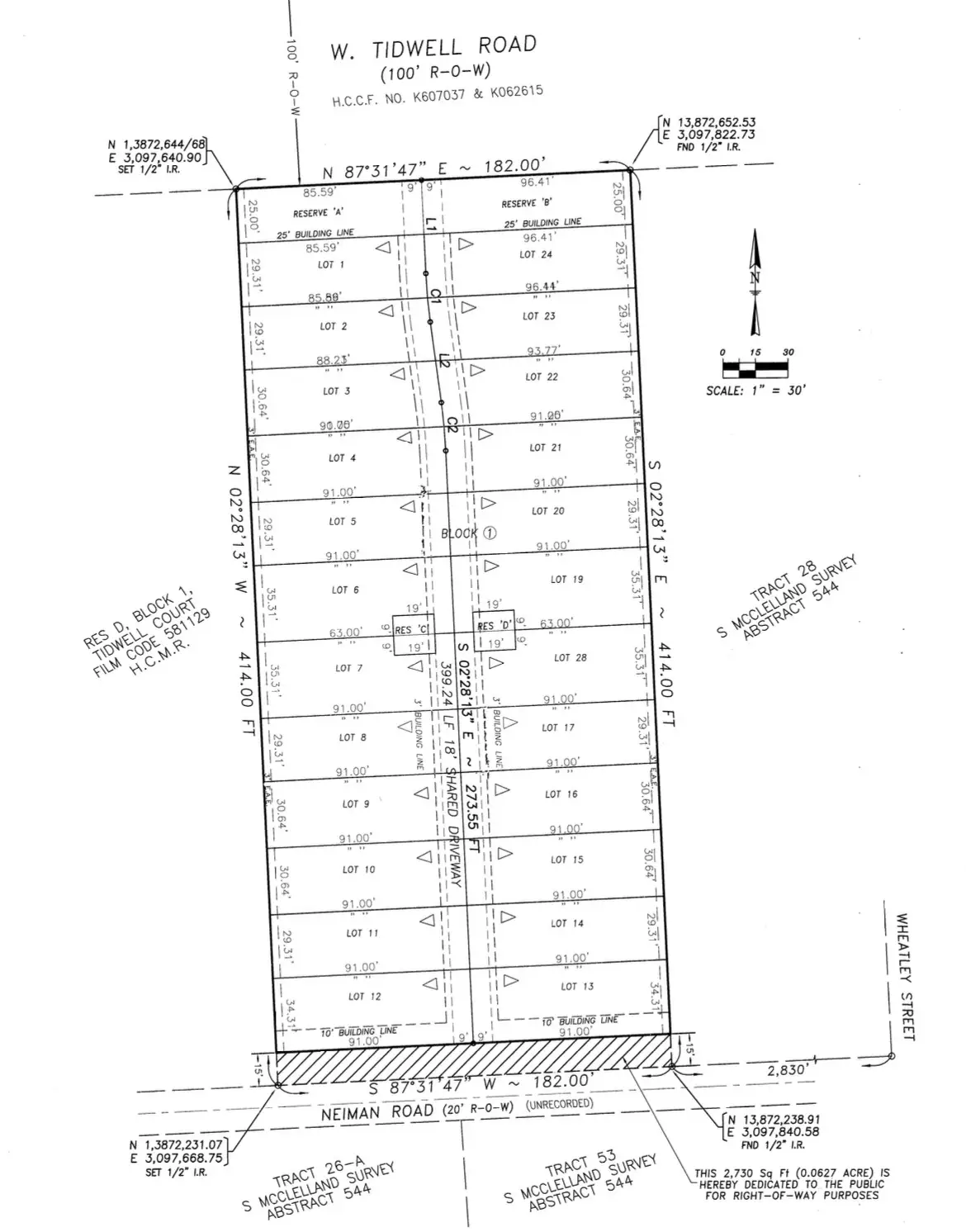
1905 W Tidwell Road, Houston, TX 77091
Local realty services provided by:American Real Estate ERA Powered
1905 W Tidwell Road,Houston, TX 77091
$900,000
- 1.73 Acres
- Lots / Land
- Active
Listed by:shahin naghavi
Office:exp realty llc.
MLS#:985214
Source:HARMLS
Price summary
- Price:$900,000
About this home
Price is FIRM. Already platted for 24 homes and ready for plans!! Short drive to the new HEB! Just shy of two acre, located in an up and coming area, on Tidwell Road. Unrestricted area great for your dream home, residential development or commercial property. Surrounded by new residential developments and close to major freeways and Downtown Houston.
Contact an agent
Home facts
- Listing ID #:985214
- Updated:September 25, 2025 at 11:40 AM
Structure and exterior
- Lot area:1.73 Acres
Schools
- High school:WALTRIP HIGH SCHOOL
- Middle school:WILLIAMS MIDDLE SCHOOL
- Elementary school:HIGHLAND HEIGHTS ELEMENTARY SCHOOL
Utilities
- Sewer:Public Sewer
Finances and disclosures
- Price:$900,000
- Tax amount:$9,040 (2021)
New listings near 1905 W Tidwell Road
- New$298,000Active3 beds 3 baths1,914 sq. ft.
8153 Crestview Drive, Houston, TX 77028
MLS# 12117966Listed by: KELLER WILLIAMS REALTY METROPOLITAN - New$410,000Active4 beds 2 baths1,994 sq. ft.
9807 Bamboo Road #B, Houston, TX 77041
MLS# 14636461Listed by: RE/MAX SIGNATURE - New$579,500Active5 beds 4 baths3,483 sq. ft.
4002 Blue Jasmine Court, Houston, TX 77059
MLS# 14997967Listed by: KELLER WILLIAMS REALTY CLEAR LAKE / NASA - New$700,000Active3 beds 4 baths2,496 sq. ft.
407 W Polk Street, Houston, TX 77019
MLS# 15350791Listed by: KELLER WILLIAMS MEMORIAL - Open Sun, 1 to 3pmNew$420,000Active3 beds 4 baths2,255 sq. ft.
1913 Hoskins Drive #K, Houston, TX 77080
MLS# 19272490Listed by: BLANTON PROPERTIES - New$237,000Active3 beds 2 baths1,442 sq. ft.
2311 Silver Plume Lane, Spring, TX 77373
MLS# 25875243Listed by: DELCOR INTERNATIONAL REALTY - New$259,900Active2 beds 2 baths1,473 sq. ft.
2815 Kings Crossing Drive #214, Kingwood, TX 77345
MLS# 36533735Listed by: RE/MAX UNIVERSAL - New$1,849,990Active4 beds 6 baths5,029 sq. ft.
1314 Richelieu Lane, Houston, TX 77018
MLS# 41207239Listed by: COMPASS RE TEXAS, LLC - HOUSTON - New$298,000Active3 beds 3 baths1,914 sq. ft.
8157 Crestview Drive, Houston, TX 77028
MLS# 42138814Listed by: KELLER WILLIAMS REALTY METROPOLITAN - New$95,000Active2 beds 1 baths745 sq. ft.
12660 Ashford Point Drive #416, Houston, TX 77082
MLS# 46088186Listed by: CONNECT REALTY.COM