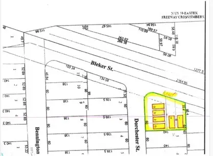
3711 Dorchester Street, Houston, TX 77016
Local realty services provided by:ERA Experts
3711 Dorchester Street,Houston, TX 77016
$108,000
- 0.19 Acres
- Lots / Land
- Active
Listed by: bahar niksima
Office: co/max holding & realty co.713-977-5800
MLS#:45354895
Source:HARMLS
Price summary
- Price:$108,000
About this home
Builder's Special! Great location on 59 N. and Bennington St. (Westcott Gardens, Sec. 4). Lots 6 and 7 will be sold together, $237,000, totaling 18,456 SF. This property can be Builder's Special! Great location on 59 N. and Bennington St. (Westcott Gardens, Sec. 4). Lots 6 and 7 will be sold together, totaling 18,456 SF. This property can be replatted for six single-family units and is priced at only $39,500 per proposed lot. The attached proposal outlines a potential layout with two 1,350 SF (30'x45') units and four 1,100 SF (22'x50') units. No appointment is required to visit the land. for six single-family units and is priced at only $39,500 per proposed lot. The attached proposal outlines a potential layout with two 1,350 SF (30'x45') units and four 1,100 SF (22'x50') units. No appointment is required to visit the land.
Contact an agent
Home facts
- Listing ID #:45354895
- Updated:April 10, 2026 at 11:43 AM
Structure and exterior
- Lot area:0.19 Acres
- Lot Features:Cleared, Corner Lot
Schools
- High school:KASHMERE HIGH SCHOOL
- Middle school:KEY MIDDLE SCHOOL
- Elementary school:PAIGE ELEMENTARY SCHOOL
Utilities
- Sewer:Public Sewer
Finances and disclosures
- Price:$108,000
- Tax amount:$1,306 (2025)
New listings near 3711 Dorchester Street
- New
Listed by ERA$269,900Active4 beds 2 baths1,545 sq. ft.16215 Summer Dawn Lane, Houston, TX 77095
MLS# 11081040Listed by: ERA EXPERTS - New
$460,000Active3 beds 3 baths2,104 sq. ft.4026 Delta Rose Street, Houston, TX 77018
MLS# 14637968Listed by: COMPASS RE TEXAS, LLC - HOUSTON - New
$65,000Active0.2 Acres142 Sundown Street, Houston, TX 77028
MLS# 17723472Listed by: EATON REAL ESTATE COMPANY,LLC - New
$519,000Active4 beds 2 baths2,126 sq. ft.1534 Ashford Hollow Lane, Houston, TX 77077
MLS# 42147365Listed by: MEADOWS PROPERTY GROUP - New
$361,000Active4 beds 3 baths3,485 sq. ft.16911 Wortley Drive, Houston, TX 77084
MLS# 48198428Listed by: CORCORAN GENESIS - New
$1,019,000Active3 beds 4 baths3,205 sq. ft.86 S Creekside Court, Houston, TX 77055
MLS# 57371451Listed by: HAUSSMANN INTERNATIONAL REALTY - New
$845,000Active3 beds 2 baths1,820 sq. ft.1122 E 23rd Street, Houston, TX 77009
MLS# 63937109Listed by: COMPASS RE TEXAS, LLC - MEMORIAL - New
$750,000Active3 beds 3 baths2,557 sq. ft.10215 Piping Rock Lane, Houston, TX 77042
MLS# 73839601Listed by: FIG REAL ESTATE, LLC - New
$899,000Active4 beds 4 baths3,000 sq. ft.1005 Walton Street, Houston, TX 77009
MLS# 89906929Listed by: WALZEL PROPERTIES - CORPORATE OFFICE - New
$645,000Active3 beds 3 baths2,574 sq. ft.1504 W 23rd Street #B, Houston, TX 77008
MLS# 93718357Listed by: THE KOSSEV GROUP