4510 Yoakum Boulevard, Houston, TX 77006
Local realty services provided by:ERA Experts
4510 Yoakum Boulevard,Houston, TX 77006
$2,500,000
- 0.4 Acres
- Lots / Land
- Active
Listed by: anthony monaco
Office: elka international realty
MLS#:13397659
Source:HARMLS
Price summary
- Price:$2,500,000
About this home
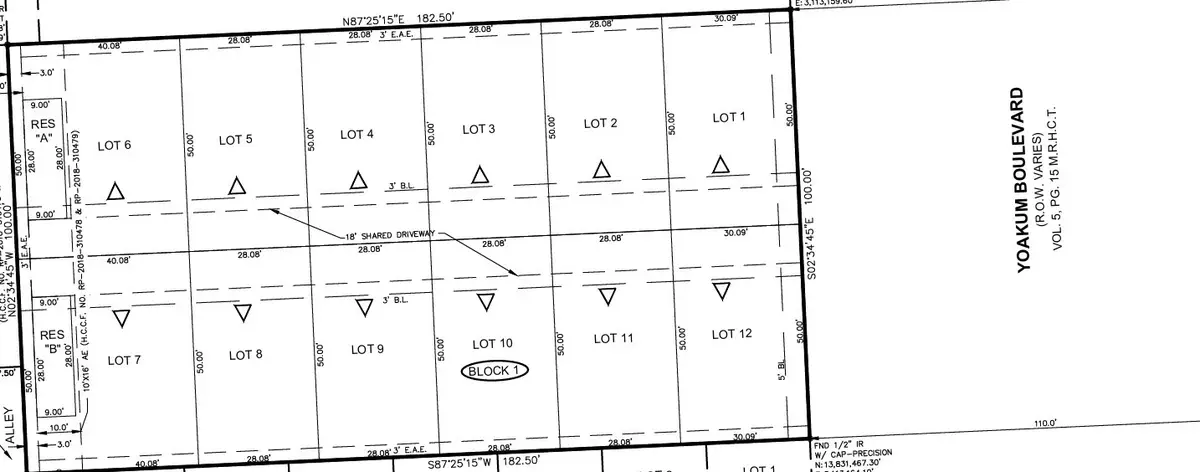
Shovel-Ready Development Opportunity – 12 Platted Single-Family Lots
Exceptional investment opportunity for builders and developers. This property has already been replated into 12 single-family residential lots, offering a streamlined path to vertical construction. All civil engineering has been completed, and architectural plans are finalized, significantly reducing time, cost, and entitlement risk.
Skip the lengthy approval process and move directly into development. With groundwork and design work already in place, this project is perfectly positioned for immediate execution and accelerated returns.
Rare chance to acquire a fully prepped residential development in a high-demand market. Contact us for plans, engineering reports, and additional details.
Contact an agent
Home facts
- Listing ID #:13397659
- Updated:February 18, 2026 at 12:53 PM
Structure and exterior
- Lot area:0.4 Acres
Schools
- High school:LAMAR HIGH SCHOOL (HOUSTON)
- Middle school:LANIER MIDDLE SCHOOL
- Elementary school:POE ELEMENTARY SCHOOL
Utilities
- Sewer:Public Sewer
Finances and disclosures
- Price:$2,500,000
- Tax amount:$24,546 (2025)
New listings near 4510 Yoakum Boulevard
- New
$244,000Active3 beds 3 baths1,936 sq. ft.6542 Castle Loch Court, Houston, TX 77048
MLS# 24522514Listed by: WALZEL PROPERTIES - CORPORATE OFFICE - New
$225,000Active2 beds 3 baths1,775 sq. ft.880 Tully Road #13, Houston, TX 77079
MLS# 35275603Listed by: COMPASS RE TEXAS, LLC - THE HEIGHTS - New
$359,900Active4 beds 3 baths2,223 sq. ft.16014 Timber Run Drive, Houston, TX 77082
MLS# 44018923Listed by: ALL CITY REAL ESTATE - New
$579,999Active6 beds 4 baths2,400 sq. ft.1546 Lombardy Street, Houston, TX 77023
MLS# 59687466Listed by: COMPASS RE TEXAS, LLC - WEST HOUSTON - New
$210,000Active3 beds 2 baths1,594 sq. ft.1634 Ridgebriar Drive, Houston, TX 77014
MLS# 73295102Listed by: THE SEARS GROUP - New
$210,000Active3 beds 2 baths1,576 sq. ft.19539 Dawn Canyon Road, Houston, TX 77084
MLS# 85497393Listed by: HOMESMART - New
$360,000Active4 beds 3 baths2,431 sq. ft.1710 Hill Top Lane, Kingwood, TX 77339
MLS# 88286004Listed by: REALTY TEXAS LLC - New
$448,000Active3 beds 2 baths1,866 sq. ft.2111 Wycliffe Drive, Houston, TX 77043
MLS# 92613363Listed by: HOMESMART - New
$329,900Active3 beds 2 baths2,213 sq. ft.4006 Tranquil Forest, Houston, TX 77084
MLS# 97740171Listed by: REALM REAL ESTATE PROFESSIONALS - KATY - New
$316,999Active4 beds 3 baths2,378 sq. ft.11440 Bamboo Drive, Converse, TX 78109
MLS# 1942153Listed by: MARTI REALTY GROUP