6315 N Shepherd Drive N, Houston, TX 77091
Local realty services provided by:American Real Estate ERA Powered
6315 N Shepherd Drive N,Houston, TX 77091
$1,600,000
- 2 Acres
- Lots / Land
- Active
Listed by: amir salehian
Office: homesmart713-785-6666
MLS#:9967677
Source:HARMLS
Price summary
- Price:$1,600,000
About this home
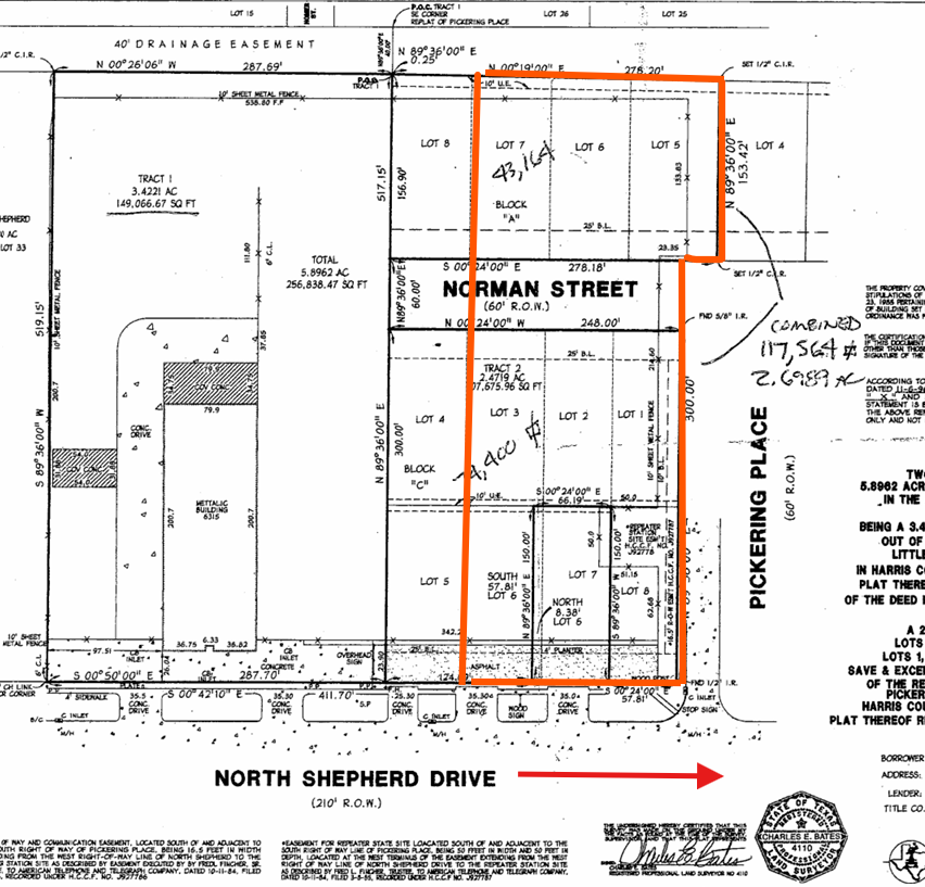
+/- 2 acre land cleared lot with hard surface to be able to drive and park vehicles on, the +/_ 2 acres subject lot will be divided according to the highlighted parameter on the Seller's existing survey from the whole property of 6315 N. Shepherd Dr. Endless Commercial and Residential Possibilities on this corner lot with having a lot of Visibility and Signage as well as High Traffic Counts Per Day. This location has all that you need for developing your residential ideas and / or your commercial and business dreams
Contact an agent
Home facts
- Listing ID #:9967677
- Updated:April 28, 2026 at 11:46 AM
Structure and exterior
- Lot area:2 Acres
- Lot Features:Cleared, Corner Lot, Level, Open Lot, Split Possible
Schools
- High school:WASHINGTON HIGH SCHOOL
- Middle school:WILLIAMS MIDDLE SCHOOL
- Elementary school:WESLEY ELEMENTARY SCHOOL
Utilities
- Sewer:Public Sewer
Finances and disclosures
- Price:$1,600,000
New listings near 6315 N Shepherd Drive N
$605,000Active2 beds 2 baths2,328 sq. ft.801 E 32nd 1/2 Street #A B, Houston, TX 77022
MLS# 4547091Listed by: EXP REALTY LLC- New
$270,000Active4 beds 2 baths1,690 sq. ft.6155 Topaz Pines Trail, Humble, TX 77338
MLS# 4208424Listed by: HOMESMART - New
$205,000Active3 beds 2 baths1,262 sq. ft.6603 Schambray Street, Houston, TX 77085
MLS# 42612850Listed by: FOREVER REALTY, LLC - New
$265,000Active3 beds 2 baths1,958 sq. ft.12830 Lodenbriar Drive, Houston, TX 77072
MLS# 70610170Listed by: EXP REALTY LLC - New
$549,990Active4 beds 4 baths2,610 sq. ft.2016 Blodgett Street, Houston, TX 77004
MLS# 83647154Listed by: ATLAS REAL ESTATE - New
$225,000Active2 beds 3 baths1,312 sq. ft.14453 Still Meadow Drive, Houston, TX 77079
MLS# 85061373Listed by: KELLER WILLIAMS MEMORIAL - New
$3,100,000Active5 beds 8 baths5,826 sq. ft.1110 Lone Star Drive, Houston, TX 77055
MLS# 91676198Listed by: DEL MONTE REALTY - New
$359,999Active3 beds 4 baths1,875 sq. ft.870 W Little York Road #C, Houston, TX 77091
MLS# 15590010Listed by: CORNERSTONE REAL ESTATE ALLIANCE, LLC - New
$259,990Active3 beds 2 baths1,693 sq. ft.16810 Brora Court, Houston, TX 77084
MLS# 48826368Listed by: CHAMPIONS NEXTGEN REAL ESTATE - Open Sat, 12 to 2pmNew
$290,000Active3 beds 2 baths1,800 sq. ft.9734 Vanessa Glen Court, Houston, TX 77044
MLS# 69575238Listed by: ALLIANCE REALTY PROPERTIES