2450 4th Avenue, La Marque, TX 77568
Local realty services provided by:American Real Estate ERA Powered
2450 4th Avenue,La Marque, TX 77568
$300,000
- 2.13 Acres
- Lots / Land
- Active
Listed by: susan taylor
Office: taylor made real estate group
MLS#:86620066
Source:HARMLS
Price summary
- Price:$300,000
About this home
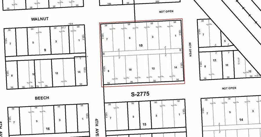
Great opportunity in La Marque! 2.129 acres unimproved parcel of property near Highway 3 within La Marque city limits. Property has a subdivision legal description and appears to be zoned commercial, offering flexibility for future development. It is a unique transitional site between residential and commercial areas. Excellent visibility and access. Strong location at the corner of Hwy 3 and the future Walnut extension, with convenient access to local services, and residential areas. This property gives the buyer a great opportunity for development or investment. Buyer to verify all zoning, permitted uses, utilities, and all development requirements with the City of La Marque. There will be 1.44 acres [between Hwy 3, Main St (FM-519) and 4th Ave] available once it is thru Probate Court.
Contact an agent
Home facts
- Listing ID #:86620066
- Updated:February 22, 2026 at 12:47 PM
Structure and exterior
- Lot area:2.13 Acres
Schools
- High school:LA MARQUE HIGH SCHOOL
- Middle school:LA MARQUE MIDDLE SCHOOL
- Elementary school:HAYLEY ELEMENTARY (TEXAS CITY)
Finances and disclosures
- Price:$300,000
- Tax amount:$1,431 (2025)
New listings near 2450 4th Avenue
- Open Sat, 12 to 5pm
$554,498Active4 beds 4 baths3,493 sq. ft.2811 Bolton Landing Drive, La Marque, TX 77568
MLS# 32115524Listed by: WESTIN HOMES - Open Sat, 12 to 5pm
$539,950Active4 beds 4 baths3,436 sq. ft.2824 Bolton Landing Drive, La Marque, TX 77568
MLS# 37946263Listed by: WESTIN HOMES - Open Sat, 12 to 5pm
$498,359Active4 beds 4 baths3,435 sq. ft.2714 Nova Beach Drive, La Marque, TX 77568
MLS# 46395225Listed by: WESTIN HOMES - Open Sat, 12 to 5pm
$579,794Active5 beds 5 baths3,800 sq. ft.13706 Broadmoor Bay Drive, La Marque, TX 77568
MLS# 54877688Listed by: WESTIN HOMES - Open Sun, 12 to 5pm
$324,900Active3 beds 2 baths2,070 sq. ft.13210 Anchor Isle Court, La Marque, TX 77568
MLS# 7281283Listed by: CENTURY COMMUNITIES - Open Sat, 12 to 5pm
$529,882Active4 beds 4 baths3,477 sq. ft.2818 Nova Beach Drive, La Marque, TX 77568
MLS# 73289858Listed by: WESTIN HOMES - Open Sun, 12 to 5pm
$433,990Active4 beds 3 baths2,246 sq. ft.2512 Seneca Lake Dr, La Marque, TX 77568
MLS# 81784138Listed by: SOUTHERN STAR REALTY - Open Sat, 12 to 5pm
$524,439Active4 beds 4 baths3,477 sq. ft.2905 Nova Beach Drive, La Marque, TX 77568
MLS# 82442848Listed by: WESTIN HOMES - Open Sat, 12 to 5pm
$499,968Active4 beds 4 baths3,136 sq. ft.2926 Nova Beach Drive, La Marque, TX 77568
MLS# 84018060Listed by: WESTIN HOMES - Open Sat, 12 to 5pm
$539,747Active4 beds 4 baths3,436 sq. ft.2913 Nova Beach Drive, La Marque, TX 77568
MLS# 87897993Listed by: WESTIN HOMES