1875 W Wintergreen, Lancaster, TX 75134
Local realty services provided by:ERA Myers & Myers Realty
1875 W Wintergreen,Lancaster, TX 75134
$899,000
- 9.49 Acres
- Lots / Land
- Active
Listed by: raissa adepoju972-835-0002
Office: competitive edge realty llc.
MLS#:21138574
Source:GDAR
Price summary
- Price:$899,000
About this home
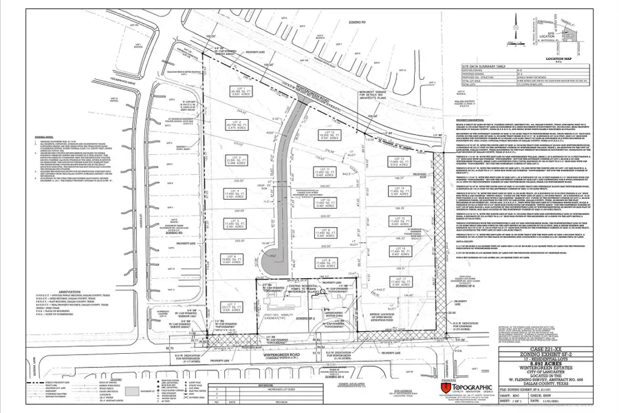
Prime Development Opportunity! This 9.49-acre parcel, approved by the City of Lancaster for SF-2 zoning, offers an exceptional chance to build in a growing community. The land is divided into roughly .4-acre lots, each with easy access to water, sewer, and electricity right next to the subdivision. Surrounded by established homes and multiple developments underway by top homebuilders, this location is poised for growth. The property comes with completed surveys, geotechnical, environmental, and tree studies, making it development-ready. Don't let this rare opportunity pass you by—build your next dream subdivision here! With a minimum build requirement of 2,100 square feet, this is your chance to bring quality homes to a thriving area. Note: Buyer will need to plat the lots. For even greater opportunity, consider combining this parcel with the nearby 1651 W Wintergreen Rd, a 3.318-acre property also for sale, bringing the total to 12.808 acres—a prime development package!
Contact an agent
Home facts
- Listing ID #:21138574
- Added:97 day(s) ago
- Updated:April 03, 2026 at 11:47 AM
Structure and exterior
- Lot area:9.49 Acres
- Lot Features:Acreage, City Lot, Cleared, Few Trees
Schools
- High school:Lancaster
- Middle school:Lancaster
- Elementary school:Houston
Finances and disclosures
- Price:$899,000
New listings near 1875 W Wintergreen
- New
$220,000Active2 beds 1 baths716 sq. ft.617 Wilson Street, Lancaster, TX 75146
MLS# 21227289Listed by: PURE REAL ESTATE - New
$289,999Active3 beds 4 baths2,097 sq. ft.1504 Aldridge Drive, Lancaster, TX 75134
MLS# 21202179Listed by: THE AGENCY FRISCO - New
$265,000Active3 beds 2 baths1,794 sq. ft.2001 Woodmere Drive, Lancaster, TX 75134
MLS# 21208948Listed by: KELLER WILLIAMS LONESTAR DFW
$230,000Pending3 beds 2 baths1,390 sq. ft.2742 E Pepperidge Drive, Lancaster, TX 75134
MLS# 21225140Listed by: TABERNACLE REALTY LLC
$389,990Pending4 beds 4 baths2,288 sq. ft.608 Arbor Lane, Lancaster, TX 75134
MLS# 21225117Listed by: NOREL SOLUTIONS REAL ESTATE,- New
$7,995,000Active91.74 Acres1901 S Houston School Road, Lancaster, TX 75146
MLS# 21222474Listed by: REAL BROKER, LLC - New
$324,900Active3 beds 3 baths2,295 sq. ft.1924 Parkside Mews, Lancaster, TX 75146
MLS# 21222181Listed by: CENTURY 21 JUDGE FITE CO. - New
$335,000Active4 beds 3 baths2,934 sq. ft.1321 Illinois Avenue, Lancaster, TX 75134
MLS# 21221232Listed by: BRAWN STERLING REAL ESTATE - New
$295,000Active4 beds 2 baths1,631 sq. ft.115 Aspen Street, Lancaster, TX 75134
MLS# 21218571Listed by: EXP REALTY LLC - New
$292,000Active4 beds 2 baths1,773 sq. ft.2458 Manchester Lane, Lancaster, TX 75134
MLS# 21215340Listed by: EPIQUE REALTY LLC