0 Taxi Way 5, Manvel, TX 77578
Local realty services provided by:ERA Experts
0 Taxi Way 5,Manvel, TX 77578
$20,000
- 0.13 Acres
- Lots / Land
- Active
Listed by: faye ausmus
Office: ausmus premier properties, llc.832-563-4157
MLS#:43369827
Source:HARMLS
Price summary
- Price:$20,000
About this home
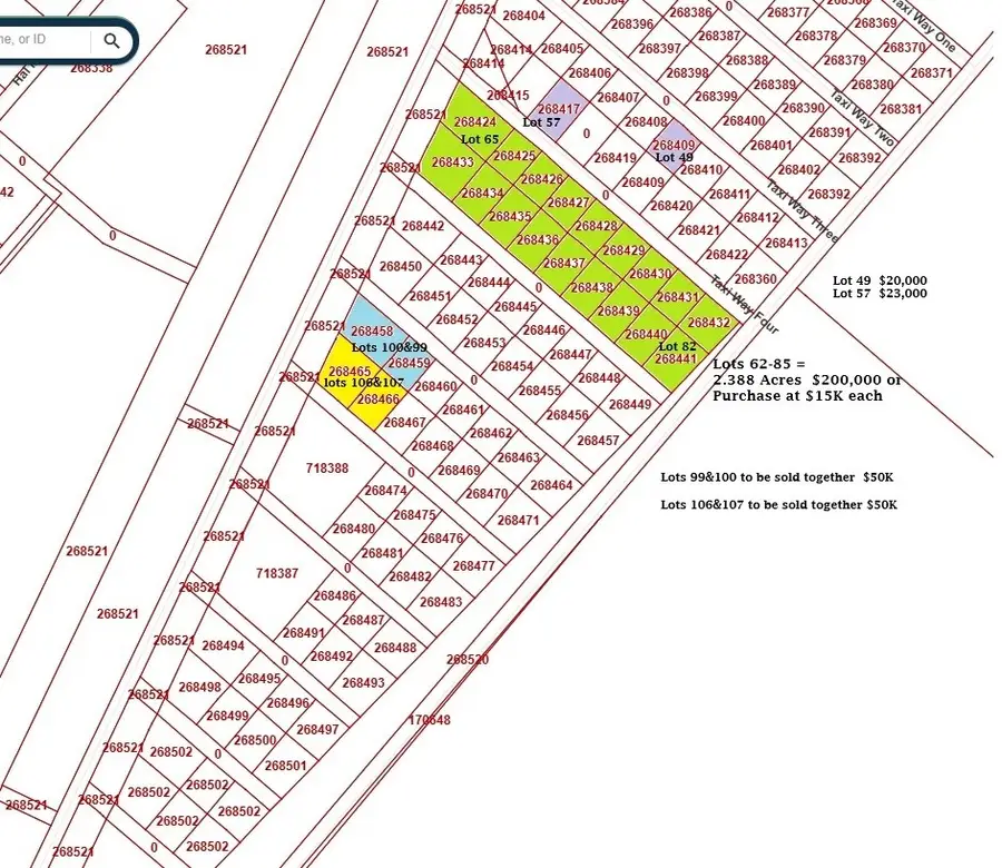
Airplane hangar lot available in high-growth Manvel, TX. Excellent opportunity for investors or owner-users to build a hangar, warehouse, or hobby storage. Other Lots Available. Bulk sale available or purchase individually. Lot sizes are Ideal for aircraft storage, RVs, boats, vehicles, or recreational use. Strong growth area south of a Houston suburb. Contact the agent for site plans, pricing, and bulk purchase details. Well-maintained Turf Grass Strip 2910 Ft X 80 Ft Wide. Grass Taxi Way. Electric Available, Community water, buy additional lots if you want to put in a Septic. you need 1/2 Acre lot for a Septic. Design/build Assistance Available. Paved road Access to Wolfe Airpark. Go check out the Improvements that have been made to the Airpark. Wolfe Airpark - Identifier: 3T2
Contact an agent
Home facts
- Listing ID #:43369827
- Updated:May 15, 2026 at 11:55 AM
Structure and exterior
- Lot area:0.13 Acres
- Lot Features:Airpark, Open Lot
Schools
- High school:MANVEL HIGH SCHOOL
- Middle school:MANVEL JUNIOR HIGH SCHOOL
- Elementary school:E C MASON ELEMENTARY SCHOOL
Finances and disclosures
- Price:$20,000
- Tax amount:$149 (2025)
New listings near 0 Taxi Way 5
$972,399Pending5 beds 5 baths4,530 sq. ft.6402 Moro Creek Lane, Manvel, TX 77578
MLS# 3533933Listed by: COVENTRY HOMES
$941,668Pending5 beds 6 baths5,169 sq. ft.19006 Apple Fritter, Manvel, TX 77578
MLS# 79405284Listed by: COVENTRY HOMES
$854,409Pending5 beds 5 baths4,090 sq. ft.19147 Apple Fritter, Manvel, TX 77578
MLS# 84167662Listed by: COVENTRY HOMES- New
$589,944Active4 beds 4 baths3,090 sq. ft.6511 Redwood Forest Court, Manvel, TX 77578
MLS# 18465552Listed by: WESTIN HOMES - New
$408,070Active4 beds 4 baths2,934 sq. ft.6118 Royal Palm Drive, Manvel, TX 77578
MLS# 22911508Listed by: KELLER WILLIAMS SIGNATURE - New
$371,257Active3 beds 3 baths2,752 sq. ft.3203 Isla Samara Drive, Manvel, TX 77578
MLS# 37832924Listed by: KB HOME HOUSTON - New
$420,000Active4 beds 3 baths2,243 sq. ft.2312 Redwood Ridge Trail, Manvel, TX 77578
MLS# 97517964Listed by: BERKSHIRE HATHAWAY HOMESERVICES PREMIER PROPERTIES - Open Sat, 1 to 3pmNew
$519,999Active4 beds 3 baths2,481 sq. ft.18834 Windy Orchard Court, Manvel, TX 77578
MLS# 22603679Listed by: RE/MAX PEARLAND - Open Sat, 11am to 2pmNew
$544,950Active4 beds 3 baths3,141 sq. ft.2814 Keagan Falls Drive, Manvel, TX 77578
MLS# 28167259Listed by: KELLER WILLIAMS PREFERRED - New
$484,900Active4 beds 3 baths2,188 sq. ft.19235 Satsuma Ridge Drive, Manvel, TX 77578
MLS# 30957257Listed by: PERRY HOMES REALTY, LLC