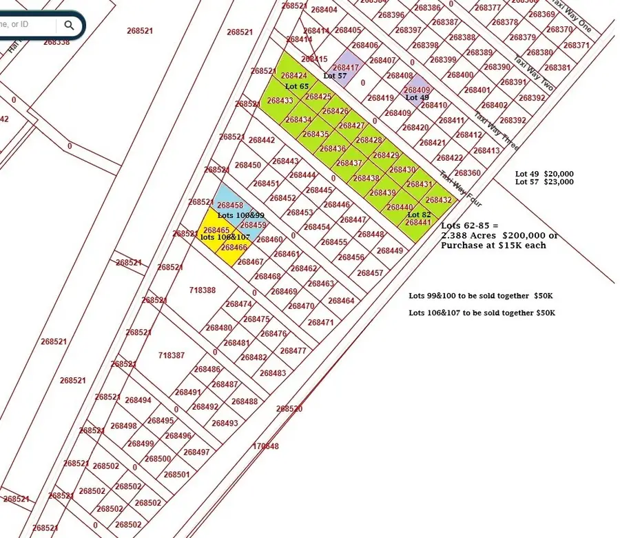
000 Lot 65-82 Wolfe Airpark, Manvel, TX 77578
Local realty services provided by:ERA Experts
000 Lot 65-82 Wolfe Airpark,Manvel, TX 77578
$200,000
- 2.3 Acres
- Lots / Land
- Active
Listed by: faye ausmus
Office: ausmus premier properties, llc.832-563-4157
MLS#:41214525
Source:HARMLS
Price summary
- Price:$200,000
- Monthly HOA dues:$19
About this home
Bulk Lot Purchase: This is for Lots 65-81, Blk 2. Fantastic opportunity to own an airplane hangar lot in high-growth Manvel, TX. Ideal for investors or owner-users looking to build a hangar, warehouse, or hobby storage. Various lot sizes available for aircraft storage, RVs, boats, vehicles, or recreational use. Located in a strong growth area south of Houston. Contact for site plans, pricing, and bulk purchase options. Features well-maintained grass strip, taxiway, electric, community water, and paved road access to Wolfe Airpark. Electricity and Water are Available. Additional lots can be purchased for septic installation. Design/build information available. Don't miss the improvements at Wolfe Airpark - Don't miss this opportunity to save by buying multiple lots together. Identifier: 3T2.
Contact an agent
Home facts
- Listing ID #:41214525
- Updated:May 15, 2026 at 11:55 AM
Structure and exterior
- Lot area:2.3 Acres
- Lot Features:Airpark, Cleared
Schools
- High school:MANVEL HIGH SCHOOL
- Middle school:MANVEL JUNIOR HIGH SCHOOL
- Elementary school:E C MASON ELEMENTARY SCHOOL
Utilities
- Sewer:Public Sewer
Finances and disclosures
- Price:$200,000
- Tax amount:$180 (2025)
New listings near 000 Lot 65-82 Wolfe Airpark
$972,399Pending5 beds 5 baths4,530 sq. ft.6402 Moro Creek Lane, Manvel, TX 77578
MLS# 3533933Listed by: COVENTRY HOMES
$941,668Pending5 beds 6 baths5,169 sq. ft.19006 Apple Fritter, Manvel, TX 77578
MLS# 79405284Listed by: COVENTRY HOMES
$854,409Pending5 beds 5 baths4,090 sq. ft.19147 Apple Fritter, Manvel, TX 77578
MLS# 84167662Listed by: COVENTRY HOMES- New
$589,944Active4 beds 4 baths3,090 sq. ft.6511 Redwood Forest Court, Manvel, TX 77578
MLS# 18465552Listed by: WESTIN HOMES - New
$408,070Active4 beds 4 baths2,934 sq. ft.6118 Royal Palm Drive, Manvel, TX 77578
MLS# 22911508Listed by: KELLER WILLIAMS SIGNATURE - New
$371,257Active3 beds 3 baths2,752 sq. ft.3203 Isla Samara Drive, Manvel, TX 77578
MLS# 37832924Listed by: KB HOME HOUSTON - New
$420,000Active4 beds 3 baths2,243 sq. ft.2312 Redwood Ridge Trail, Manvel, TX 77578
MLS# 97517964Listed by: BERKSHIRE HATHAWAY HOMESERVICES PREMIER PROPERTIES - Open Sat, 1 to 3pmNew
$519,999Active4 beds 3 baths2,481 sq. ft.18834 Windy Orchard Court, Manvel, TX 77578
MLS# 22603679Listed by: RE/MAX PEARLAND - Open Sat, 11am to 2pmNew
$544,950Active4 beds 3 baths3,141 sq. ft.2814 Keagan Falls Drive, Manvel, TX 77578
MLS# 28167259Listed by: KELLER WILLIAMS PREFERRED - New
$484,900Active4 beds 3 baths2,188 sq. ft.19235 Satsuma Ridge Drive, Manvel, TX 77578
MLS# 30957257Listed by: PERRY HOMES REALTY, LLC