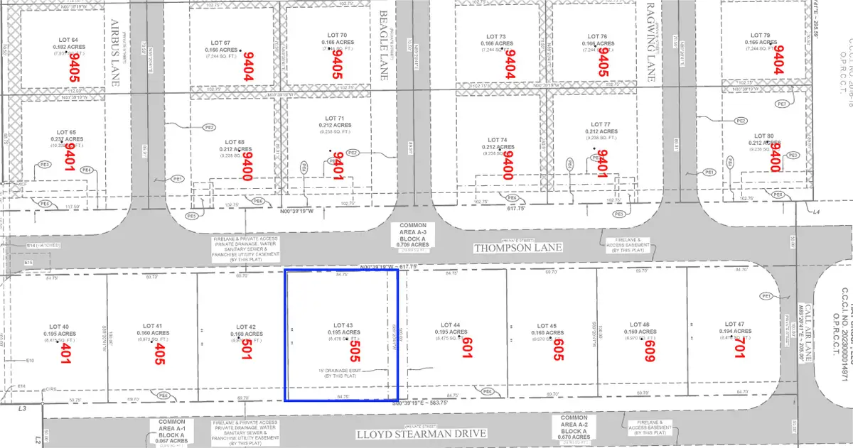
505 Lloyd Stearman Drive, McKinney, TX 75071
Local realty services provided by:ERA Myers & Myers Realty
Listed by: jeanie cline682-225-3262
Office: airspace
MLS#:21188529
Source:GDAR
Price summary
- Price:$425,000
- Monthly HOA dues:$541.67
About this home
CALLING ALL AVIATORS, CAR COLLECTORS & JET-SET AFICIONADOS: We have released a limited offering of residential hangar-home lots, offering you the freedom to bring your builder & design the ultimate lifestyle: Your home. Your vision. Only 8 residential lots are available in this release. Roll your airplane out of your own hangar for a wheels-up weekend. Bring your car collection, boats, RV's and toys! The lock-and-leave lifestyle, is the perfect setup for the jet-set! Prosper ISD, close to Frisco, Prosper, Plano & all major DFW amenities, with the freedom you only get when your commute ends at a taxiway, or your driveway. Behind the gates of Aero Country East, the community includes a resort-style pool, cabana, & a relaxed airpark vibe. Taxi straight from your hangar. Aero Country features a paved & lighted 17-35 runway: 3,002’ x 60’ + add. 1,350’ of turf, on the north end. Plenty of room for taildraggers, RVs, turboprops, & everything in between. Night ops are smooth, patterns are friendly. The airport is established, active, & known for its tight-knit GA community & weekend ramp gatherings. If you’ve dreamed of a place where your airplane is steps from your living room, & your rooftop deck overlooks the runway -this is it! A limited number of residential Lots will be released at T31. Bring your builder, bring your aircraft, & make your hangar home a reality. When they’re gone, they’re gone....
Contact an agent
Home facts
- Listing ID #:21188529
- Added:23 day(s) ago
- Updated:March 19, 2026 at 11:56 AM
Structure and exterior
- Lot area:0.19 Acres
- Lot Features:City Lot, Subdivision
Schools
- High school:Rock Hill
- Middle school:Jones
- Elementary school:Jim and Betty Hughes
Finances and disclosures
- Price:$425,000
- Tax amount:$2,860
New listings near 505 Lloyd Stearman Drive
- Open Sun, 2 to 4pmNew
$595,000Active3 beds 2 baths1,938 sq. ft.905 Tucker Street, McKinney, TX 75069
MLS# 21209059Listed by: LISA LEE REAL ESTATE
$616,900Pending4 beds 4 baths2,574 sq. ft.7412 Hallerbos Court, McKinney, TX 75071
MLS# 21212413Listed by: PERRY HOMES REALTY LLC- Open Sat, 1 to 3pmNew
$460,000Active3 beds 2 baths1,691 sq. ft.301 Noel Drive, McKinney, TX 75072
MLS# 21193780Listed by: WILLIAM DAVIS REALTY - New
$335,200Active3 beds 3 baths1,826 sq. ft.1410 Wysong Drive, McKinney, TX 75069
MLS# 21196974Listed by: EBBY HALLIDAY REALTORS - Open Sun, 2 to 4pmNew
$625,000Active4 beds 2 baths2,379 sq. ft.711 Autumn Ridge Drive, McKinney, TX 75072
MLS# 21201243Listed by: TYE REALTY GROUP - New
$299,900Active2 beds 3 baths1,439 sq. ft.4928 Stone Gate Trail, McKinney, TX 75070
MLS# 21209505Listed by: COLDWELL BANKER APEX, REALTORS - Open Sat, 1 to 5pmNew
$417,090Active3 beds 3 baths2,367 sq. ft.2825 Bluejack Road, McKinney, TX 75071
MLS# 21212365Listed by: COLLEEN FROST REAL ESTATE SERV - New
$780,320Active5 beds 5 baths4,003 sq. ft.6700 Coffee Mill Court, McKinney, TX 75071
MLS# 21212416Listed by: WILLIAM ROBERDS - New
$777,830Active5 beds 5 baths3,610 sq. ft.6801 Alvarado Drive, McKinney, TX 75071
MLS# 21212489Listed by: WILLIAM ROBERDS - New
$524,000Active4 beds 3 baths2,303 sq. ft.705 Golden Bear Lane, McKinney, TX 75072
MLS# 21209812Listed by: EBBY HALLIDAY, REALTORS