8220 Turner Drive, North Richland Hills, TX 76182
Local realty services provided by:ERA Steve Cook & Co, Realtors
Listed by: jan awadalla469-502-1567
Office: beam real estate, llc.
MLS#:21209053
Source:GDAR
Price summary
- Price:$1,600,000
About this home
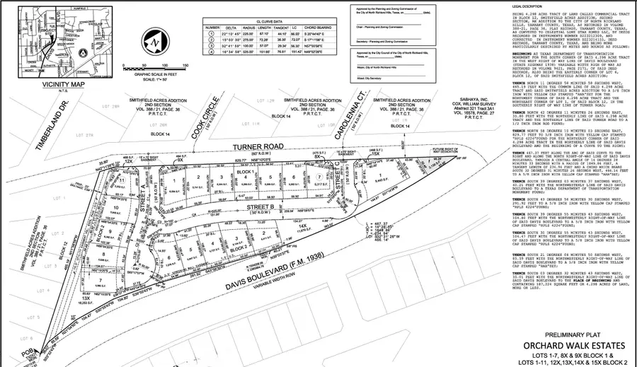
Prime 18-lot residential development opportunity located in a highly desirable North Richland Hills location. Preliminary plat approved for an 18-lot residential subdivision on approximately 4.298 acres. Paving, drainage, utility, and landscaping engineering plans completed and approved. Soil tests completed. Water, sewer, and electric utilities available along street frontage. Relatively flat site suitable for efficient development. Nearby new construction with homes selling in the $700K+ range. Ideal builder, developer opportunity with development plans ready. Infrastructure to be installed by buyer. Seller has completed zoning, platting, and engineering approvals.
Contact an agent
Home facts
- Listing ID #:21209053
- Added:3 day(s) ago
- Updated:March 19, 2026 at 11:56 AM
Structure and exterior
- Lot area:4.29 Acres
- Lot Features:City Lot, Few Trees
Schools
- High school:Birdville
- Middle school:Smithfield
- Elementary school:Smithfield
Finances and disclosures
- Price:$1,600,000
- Tax amount:$10,794
New listings near 8220 Turner Drive
- New
$229,900Active3 beds 2 baths1,520 sq. ft.3543 Paramount Street, North Richland Hills, TX 76117
MLS# 21212350Listed by: CENTURY 21 JUDGE FITE CO. - New
$440,000Active3 beds 2 baths1,736 sq. ft.6020 Bosque River Court, North Richland Hills, TX 76180
MLS# 21212469Listed by: WORLEY AND ASSOCIATES REALTORS - New
$245,000Active3 beds 2 baths1,238 sq. ft.6345 Dorchester Trail, North Richland Hills, TX 76182
MLS# 21202984Listed by: E 5 REALTY - New
$447,900Active4 beds 2 baths2,176 sq. ft.7021 Cook Circle, North Richland Hills, TX 76182
MLS# 21209655Listed by: THE MICHAEL GROUP REAL ESTATE - New
$410,000Active4 beds 3 baths1,862 sq. ft.7404 Forrest Lane, North Richland Hills, TX 76182
MLS# 21211924Listed by: BLUE CROWN PROPERTIES - New
$225,000Active3 beds 1 baths978 sq. ft.6431 Jerrell Street, North Richland Hills, TX 76180
MLS# 21210421Listed by: RESIDE REALTY GROUP - Open Sun, 1 to 3pmNew
$320,000Active2 beds 2 baths1,372 sq. ft.8065 Caladium Drive, North Richland Hills, TX 76180
MLS# 21210442Listed by: KELLER WILLIAMS JOHNSON COUNTY - Open Sun, 2 to 4pmNew
$439,500Active4 beds 2 baths1,804 sq. ft.7336 Century Drive, North Richland Hills, TX 76182
MLS# 21210170Listed by: THE SALES TEAM, REALTORS - Open Sat, 1 to 4pmNew
$880,000Active5 beds 5 baths4,057 sq. ft.7945 Forest Lakes Drive, North Richland Hills, TX 76182
MLS# 21051052Listed by: JPAR GRAPEVINE EAST
$240,000Active4 beds 2 baths1,516 sq. ft.3716 Rogene Street, North Richland Hills, TX 76180
MLS# 89356751Listed by: METROLINA ESTATE REALTY, LLC