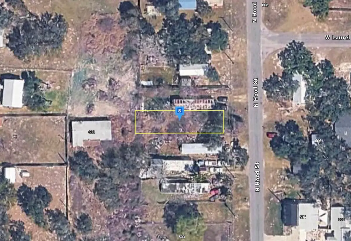
521 N Hood Terrace, Rockport, TX 78382
Local realty services provided by:ERA Courtyard Real Estate
Listed by: joel hinckley
Office: platlabs, llc.
MLS#:21162330
Source:GDAR
Price summary
- Price:$39,999
About this home
Situated in the heart of Rockport, this 4,000 sq ft vacant lot offers a prime central location with public utilities available. The surrounding area includes mobile homes and RVs, providing a flexible setting. Enjoy being just minutes from downtown shops, local dining, the colorful art district, and nearby special event venues, making this a convenient and well-connected property in one of Rockport’s most desirable areas. Listing is for land only and comes As Is.
Contact an agent
Home facts
- Listing ID #:21162330
- Added:19 day(s) ago
- Updated:February 12, 2026 at 03:45 AM
Structure and exterior
- Lot area:0.09 Acres
Schools
- High school:Rockportfu
- Middle school:Rockportfu
- Elementary school:Littlebay
Finances and disclosures
- Price:$39,999
New listings near 521 N Hood Terrace
- New
$310,000Active4 beds 2 baths1,681 sq. ft.145 Palo Pinto Dr, Kyle, TX 78640
MLS# 9994281Listed by: CLASSIC REALTY - New
$439,000Active2 beds 2 baths1,414 sq. ft.620 S Fulton Beach Rd #204, Rockport, TX 78232
MLS# 1940466Listed by: PHYLLIS BROWNING COMPANY - New
$479,500Active3 beds 2 baths1,572 sq. ft.13 & 14 Bayview Loop, Rockport, TX 78382
MLS# 78732765Listed by: KELLER WILLIAMS COASTAL BEND - New
$216,000Active0.55 Acres319 N Traylor, Rockport, TX 78382
MLS# 603882Listed by: THE RON BROWN COMPANY - New
$179,999Active1 beds 1 baths684 sq. ft.5 Saint Charles Bay Drive, Rockport, TX 78382
MLS# 37921565Listed by: COLDWELL BANKER REALTY - THE WOODLANDS - New
$1,189,000Active3 beds 2 baths2,070 sq. ft.70 Copano Ridge, Rockport, TX 78382
MLS# 1939426Listed by: MOSSY OAK PROPERTIES- CROSS TI - New
$155,000Active0.51 Acres5796 Fm 1781, Rockport, TX 78382
MLS# 1938626Listed by: OWNTXLAND, LLC - New
$535,000Active2 beds 2 baths892 sq. ft.178 Kluge Trail, Rockport, TX 78382
MLS# 53445487Listed by: KELLER WILLIAMS COASTAL BEND - New
$599,000Active3 beds 3 baths1,522 sq. ft.515 Copano Cove Road, Rockport, TX 78382
MLS# 21167584Listed by: EXP REALTY LLC
$49,900Active0.26 Acres154 Lago Vista, Rockport, TX 78382
MLS# 89549628Listed by: PMA REAL ESTATE SERVICES, INC.