2615 Graystone Drive, Sherman, TX 75090
Local realty services provided by:ERA Steve Cook & Co, Realtors
Listed by: jordan cortez214-556-1951
Office: vanguard real estsate advisors
MLS#:21127015
Source:GDAR
Price summary
- Price:$1,600,000
About this home
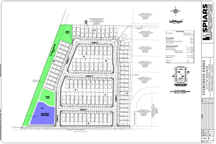
Vanguard Real Estate Advisors (“VREA”) has been exclusively retained by Ownership to present qualified builders and developers with the opportunity to purchase 96 engineered 40-foot paper lots (19.95+- acres) located at 2615 Graystone Drive in Sherman, TX (“the Site”). The Site is centrally located within the Sherman-Denison MSA, less than 1.5 miles east of US Highway 75, less than a 10-minute drive to downtown Sherman, and less than 8 miles north of both the new GlobiTech and Texas Instruments facilities. This represents a great opportunity to acquire a fully engineered single family lot opportunity at a recently reduced price of $16,666 per paper lot, down from $18,500.
Contact an agent
Home facts
- Listing ID #:21127015
- Added:71 day(s) ago
- Updated:February 15, 2026 at 12:41 PM
Structure and exterior
- Lot area:19.95 Acres
Schools
- High school:Sherman
- Middle school:Sherman
- Elementary school:Crutchfield
Finances and disclosures
- Price:$1,600,000
New listings near 2615 Graystone Drive
- New
Listed by ERA$270,000Active3 beds 2 baths1,300 sq. ft.2328 Burleson Road, Sherman, TX 75090
MLS# 21180600Listed by: ERA STEVE COOK & CO, REALTORS - New
$214,999Active3 beds 2 baths1,411 sq. ft.3929 Pontchartrain Parkway, Sherman, TX 75090
MLS# 21180391Listed by: TURNER MANGUM,LLC - New
$251,999Active4 beds 2 baths1,707 sq. ft.3723 Longleaf Drive, Sherman, TX 75092
MLS# 21180329Listed by: TURNER MANGUM,LLC - New
$250,000Active4 beds 2 baths1,439 sq. ft.713 Hillside Drive, Sherman, TX 75090
MLS# 21177890Listed by: POST OAK REALTY, LLC
$564,900Pending5 beds 4 baths2,948 sq. ft.3474 Plainview Road, Sherman, TX 75092
MLS# 33402400Listed by: COLDWELL BANKER REALTY - BELLAIRE-METROPOLITAN- New
$309,000Active4 beds 2 baths1,736 sq. ft.115 N Mckown Avenue #113, Sherman, TX 75092
MLS# 21179835Listed by: COLDWELL BANKER APEX, REALTORS - New
$340,000Active3 beds 2 baths1,861 sq. ft.420 Heritage Ranch Trail, Sherman, TX 75092
MLS# 21179933Listed by: KEY TREK-CC - New
$187,000Active3 beds 1 baths1,080 sq. ft.723 S Elm Street, Sherman, TX 75090
MLS# 21178167Listed by: COLDWELL BANKER APEX, REALTORS - New
Listed by ERA$179,000Active3 beds 1 baths1,216 sq. ft.1823 N Crockett Street, Sherman, TX 75092
MLS# 21179398Listed by: ERA STEVE COOK & CO, REALTORS - New
$2,398,000Active49.5 Acres738 Campground Road, Sherman, TX 75090
MLS# 21179432Listed by: REAL BROKER, LLC