24802 Marks Road, Splendora, TX 77372
Local realty services provided by:American Real Estate ERA Powered
24802 Marks Road,Splendora, TX 77372
$79,900
- 0.75 Acres
- Lots / Land
- Active
Listed by: patrick ma
Office: nb elite realty844-444-6237
MLS#:39704657
Source:HARMLS
Price summary
- Price:$79,900
About this home
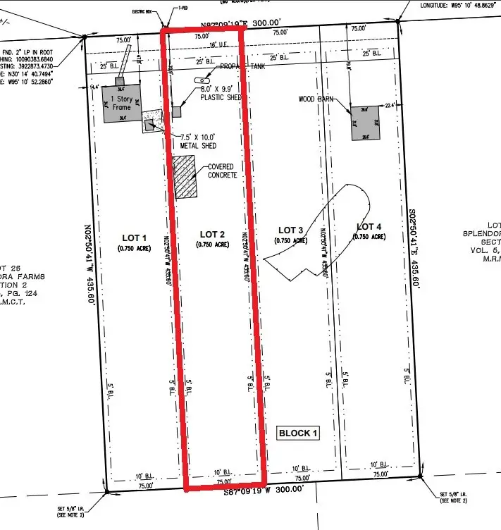
0.751-acre lot with approximately 75 feet of frontage and about 435 feet of depth. Mostly level with a mix of open space and mature trees. Features a 40' x 20' concrete slab with covered barn-style structure and a detached storage shed. Public water available. Rectangular shape with flexible use. No known restrictions. Suitable for mobile home or site-built home. Plenty of space for work trucks, trailers, equipment, or outdoor projects. Potential for animals or small livestock (buyer to verify). Ideal for those seeking freedom from HOA rules with room to live and work. Enjoy a quiet country setting while staying conveniently located approx. 6 minutes to downtown Splendora, 12 minutes to Hwy 99, and 45 minutes to downtown Houston. Pending final plat approval expected this month. Lots next to it also available.
Contact an agent
Home facts
- Listing ID #:39704657
- Updated:May 15, 2026 at 11:55 AM
Structure and exterior
- Lot area:0.75 Acres
- Lot Features:Subdivision
- Architectural Style:PatioHome
Schools
- High school:SPLENDORA HIGH SCHOOL
- Middle school:SPLENDORA JUNIOR HIGH
- Elementary school:PINEY WOODS ELEMENTARY SCHOOL
Utilities
- Sewer:Septic Tank
Finances and disclosures
- Price:$79,900
- Tax amount:$1,718 (2025)
New listings near 24802 Marks Road
- New
$110,000Active6 beds 2 baths26643 Carol Ln, Splendora, TX 77372
MLS# 70385333Listed by: JERRY FULLERTON REALTY, INC. - New
$169,990Active2 beds 2 baths813 sq. ft.2421 Twin Court, Splendora, TX 77372
MLS# 85601501Listed by: D.R. HORTON-TEXAS, LTD - New
$234,900Active3 beds 2 baths1,378 sq. ft.25766 John Wayne Road, Splendora, TX 77372
MLS# 71438162Listed by: LPT REALTY, LLC - New
$224,900Active3 beds 2 baths1,301 sq. ft.25786 John Wayne Court, Splendora, TX 77372
MLS# 86901467Listed by: LPT REALTY, LLC - New
$174,991Active4 beds 2 baths1,656 sq. ft.16254 Bergara Bend Drive, Splendora, TX 77327
MLS# 27652718Listed by: LENNAR HOMES VILLAGE BUILDERS, LLC - New
$237,990Active4 beds 2 baths1,760 sq. ft.16526 Ithaca Pheasant Drive, Splendora, TX 77327
MLS# 46547555Listed by: LENNAR HOMES VILLAGE BUILDERS, LLC - New
$179,990Active3 beds 2 baths1,030 sq. ft.2429 Twin Court, Splendora, TX 77372
MLS# 61448472Listed by: D.R. HORTON-TEXAS, LTD - New
$169,990Active2 beds 2 baths813 sq. ft.2425 Twin Court, Splendora, TX 77372
MLS# 58345371Listed by: D.R. HORTON-TEXAS, LTD - New
$235,690Active4 beds 2 baths1,720 sq. ft.16527 Ithaca Pheasant Drive, Splendora, TX 77327
MLS# 8438213Listed by: LENNAR HOMES VILLAGE BUILDERS, LLC - New
$264,990Active3 beds 2 baths1,415 sq. ft.14317 Moonflower Drive, Splendora, TX 77372
MLS# 65278345Listed by: D.R. HORTON-TEXAS, LTD