9674 Olympus Beach Road #116 & 117, Bainbridge Island, WA 98110

Local realty services provided by:Imagine Realty ERA Powered
Listed by: jan johnson
Office: windermere re bainbridge
MLS#:2456085
Source:NWMLS
9674 Olympus Beach Road #116 & 117,Bainbridge Island, WA 98110
$349,000
  • 0.57 Acres
  • Lots / Land
  • Pending

Price summary

  • Price:$349,000

About this home

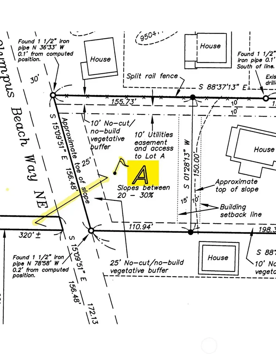
An exciting opportunity to purchase property located within the warm, west side of Bainbridge Island to include its own flag lot with a trail to med-bank bulkheaded waterfront. Not advisable to access trail lot till more accessible, but here is a public staircase access located to the south. Enjoy lovely sunsets behind the magnificent Olympics and a partially cleared sunny building lot to include: power along the road, a water availability letter from adjacent Group B Water System, a pre-installed, 3 bedroom (currently expired) drain field, and recently re-flagged property corners from AGO Land Surveying, to name but a few amenities. Be certain to include both TA’s (116 & 117 - referenced in listing). Just minutes to beautiful Battle Point Park, and Island Center with a Jiffy Mart, gas station and the famous Sawadty Thai restaurant.

Contact an agent

contact an agent

Yes, I would like more information. Please use and/or share my information with an ERA®  affiliated agent to contact me about my real estate needs. By clicking Send message, I request to be contacted by phone or text message and consent to being contacted by automated means. I understand that my consent to receive calls or texts is not a condition of purchasing any property, goods, or services. Alternatively, I understand that I can access real estate services by email or I can contact the agent myself.

If an ERA®  affiliated agent is not available in the area where I need assistance, I agree to be contacted by a real estate agent affiliated with another brand owned or licensed by Anywhere Real Estate (BHGRE® , CENTURY 21® , Coldwell Banker® , Corcoran® , Sotheby's International Realty® ).
 I acknowledge that I have read and agree to theTerms of useandPrivacy notice

Home facts

  • Listing ID #:2456085
  • Updated:February 22, 2026 at 08:57 AM

Structure and exterior

  • Lot area:0.57 Acres

Schools

  • High school:Bainbridge Isl
  • Middle school:Woodward Mid
  • Elementary school:Buyer To Verify

Utilities

  • Water:Shared Well

Finances and disclosures

  • Price:$349,000
  • Tax amount:$2,242 (2025)
MLS LogoListings courtesy of Northwest MLS as distributed by MLS GRID. Based on information submitted to the MLS GRID as of February 22, 2026. All data is obtained from various sources and may not have been verified by broker or MLS GRID. Supplied Open House Information is subject to change without notice. All information should be independently reviewed and verified for accuracy. Properties may or may not be listed by the office/agent presenting the information. Listing information is provided for consumers' personal, non-commercial use, solely to identify prospective properties for potential purchase; all other use is strictly prohibited and may violate relevant federal and state law. Information deemed reliable but not guaranteed. Copyright © 2026 MLS GRID. All Rights Reserved.