Lot 1 BELL ROAD, Wisconsin Rapids, WI 54494
Local realty services provided by:ERA MyPro Realty
Listed by: team kitowski, mark kitowski
Office: kpr brokers, llc.
MLS#:22600202
Source:Metro MLS
Lot 1 BELL ROAD,Wisconsin Rapids, WI 54494
$49,900
- 5 Acres
- Lots / Land
- Active
Price summary
- Price:$49,900
About this home
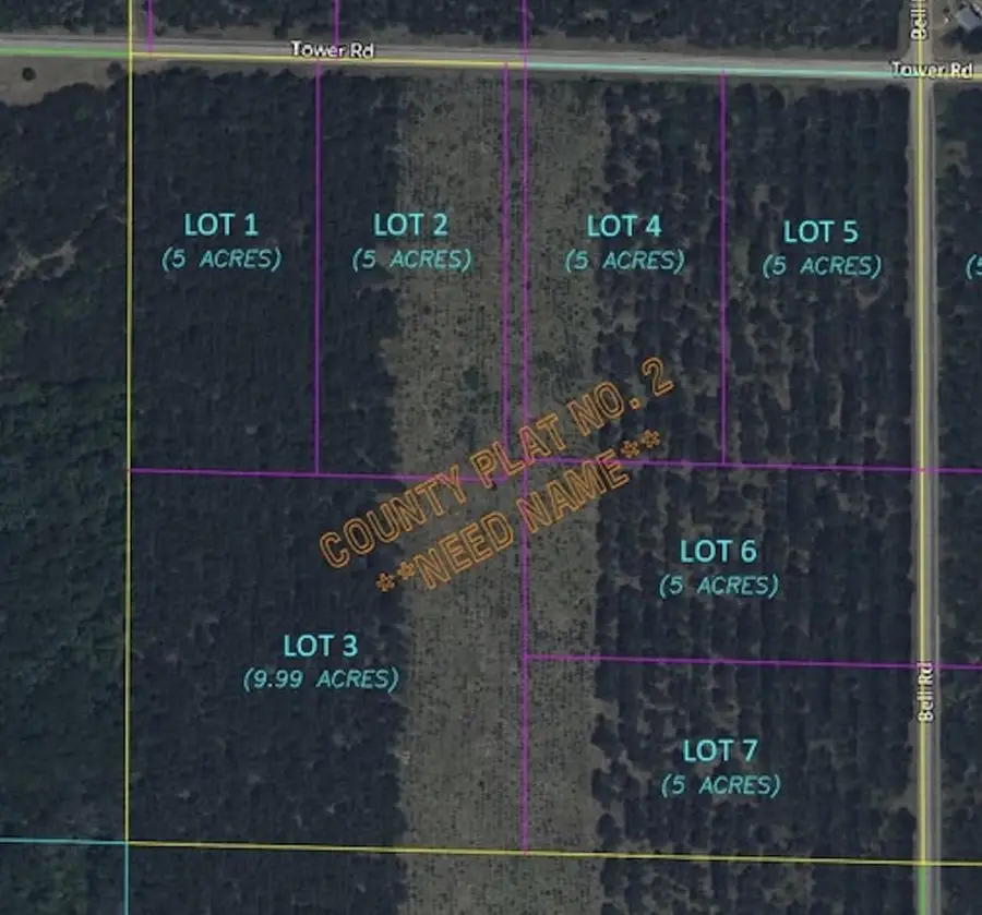
Check out these 5 acre spots just to the south of the city of Wisconsin Rapids in the Town of Saratoga! Nicely wooded acreage provides plenty of space for a potential building site, recreation, hunting, or just watching the wildlife. Great location just minutes to the city makes these a perfect spot. The location is generally a quiet location with low traffic. Nice privacy with all the trees. Potential to adjust lot sizes and such depending on which location is preferred. This is a great opportunity to own land in a great location close to town. Currently enrolled in MFL open; plan details can be evaluated to potentially remove part for a building site. Great road frontage and there are over 400 acres to choose from! Check it out today!
Contact an agent
Home facts
- Listing ID #:22600202
- Added:27 day(s) ago
- Updated:February 10, 2026 at 04:59 PM
Structure and exterior
- Lot area:5 Acres
Utilities
- Sewer:No Waste Disposal System
Finances and disclosures
- Price:$49,900
- Tax amount:$28 (2025)
New listings near Lot 1 BELL ROAD
- New
$174,500Active2 beds 1 baths1,432 sq. ft.440 N 15TH STREET, Wisconsin Rapids, WI 54494
MLS# 22600580Listed by: TERRY WOLFE REALTY
$389,900Pending3 beds 3 baths2,960 sq. ft.6231 TIMBERLINE WAY, Wisconsin Rapids, WI 54494
MLS# 22600564Listed by: KELLER WILLIAMS STEVENS POINT- New
$140,000Active2.86 Acres2251 W GRAND AVENUE, Wisconsin Rapids, WI 54495
MLS# 22600555Listed by: KPR BROKERS, LLC - New
$25,000Active0.82 Acres2230 ALTON STREET, Wisconsin Rapids, WI 54495
MLS# 22600556Listed by: KPR BROKERS, LLC - New
$70,000Active2 beds 1 baths764 sq. ft.640 LEE STREET, Wisconsin Rapids, WI 54494
MLS# 22600544Listed by: PREMIER REALTY GROUP - New
$199,900Active3 beds 2 baths1,364 sq. ft.1310 BAKER STREET, Wisconsin Rapids, WI 54494
MLS# 22600524Listed by: KPR BROKERS, LLC - New
$85,000Active2 beds 1 baths938 sq. ft.3015 PINE LANE, Wisconsin Rapids, WI 54495
MLS# 22600541Listed by: NEXTHOME PARTNERS - New
$245,000Active4 beds 2 baths1,974 sq. ft.531 N 15TH AVENUE, Wisconsin Rapids, WI 54495
MLS# 50320987Listed by: AXEN REALTY, LLC - New
$379,900Active3 beds 3 baths2,995 sq. ft.3310 S 87TH STREET, Wisconsin Rapids, WI 54494
MLS# 22600491Listed by: NEXTHOME PARTNERS - New
$99,000Active10 AcresParc 1800455A TOWER ROAD, Wisconsin Rapids, WI 54494
MLS# 22600464Listed by: EQUITY WISCONSIN REAL ESTATE