0 Slate Rock Run, Wardensville, WV 26851
Local realty services provided by:ERA Liberty Realty
0 Slate Rock Run,Wardensville, WV 26851
$37,000
- 2.77 Acres
- Lots / Land
- Active
Listed by: derek eisenberg
Office: continental real estate group
MLS#:WVHD2003254
Source:BRIGHTMLS
Price summary
- Price:$37,000
- Monthly HOA dues:$25
About this home
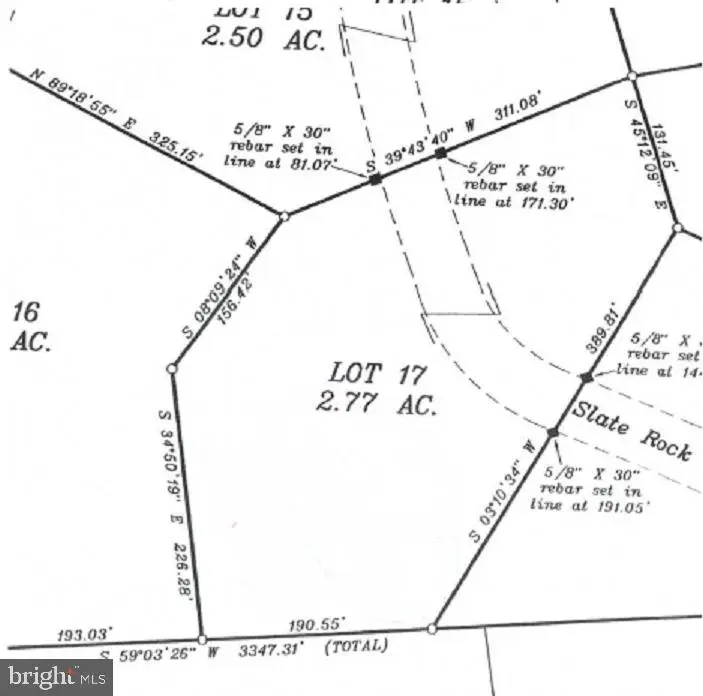
SLATE ROCK CROSSING LOT 17 (2.77 acres). An excellent opportunity to build in one of Hardy County's most desirable small mountain communities. This property offers a combination that is getting harder to find: A large flat building area, privacy, fiber optic internet availability, year-round access and a location close to town without giving up the feeling of being tucked into nature.. Lot 17 includes approximately 2.77 wooded acres with a naturally level homesite set back from the road. The site faces south, an ideal orientation for passive light, future solar considerations or simply enjoying the warmth and long daylight. Access from Slate Rock Pass Road is straightforward and the approach to the build site is gentle, no challenging driveway work required. The property already has an approved septic percolation test and both electric service and fiber optic broadband are available at the road. A private well will likely be needed, with typical well depths in the subdivision ranging from 200 to 300 feet. The surrounding properties include newly built homes and well-maintained neighboring parcels, contributing to a quiet, low-traffic environment. Slate Rock Crossing is a covenant-protected community designed to maintain the natural setting and ensure quality construction standards. HOA dues are only $300 per year, covering road maintenance. The covenants are straightforward, modular and double-wide homes on a permanent foundation are allowed, along with traditional stick-built homes. Short-term rental use is also permitted under the covenants. The private roads are maintained by the HOA, which helps ensure reliable access throughout the year. The location is another strong advantage. Travel time from the Washington, DC region is typically around 95 miles, making the property realistic for weekend use as well as permanent living. Lot 17 is only 2.5 miles from Wardensville, a growing small town known for its local restaurants, farmers markets, shops, bakery, art spaces and the popular Lost River Trading Post. Outdoor recreation is abundant in every direction: Trout-stocked streams, George Washington National Forest trails, Warden Lake, Kimsey Run Lake, Trout Pond, and multiple wilderness areas. Whether you are looking for a weekend retreat, a future retirement build or a full-time residence away from high-density areas, this property offers a quiet setting within convenient reach of services and amenities. The setting, the location, and the available services make this land a compelling option for anyone seeking space, quiet and long-term value in the mountains of West Virginia.
Contact an agent
Home facts
- Listing ID #:WVHD2003254
- Added:3 day(s) ago
- Updated:November 28, 2025 at 02:31 PM
Structure and exterior
- Lot area:2.77 Acres
Utilities
- Water:Well Required
- Sewer:No Sewer System, Perc Approved Septic
Finances and disclosures
- Price:$37,000
- Tax amount:$358 (2025)
New listings near 0 Slate Rock Run
- Coming Soon
$325,000Coming Soon3 beds 2 baths310 W Main Street, WARDENSVILLE, WV 26851
MLS# WVHD2003260Listed by: NEXTHOME REALTY SELECT - New
$37,000Active2.77 Acres0 Slate Rock Run, WARDENSVILLE, WV 26851
MLS# WVHD2003254Listed by: CONTINENTAL REAL ESTATE GROUP - New
$90,000Active4.37 AcresLot#25 Brooke Trout Drive, WARDENSVILLE, WV 26851
MLS# WVHD2003240Listed by: BERKELEY SPRINGS REALTY
$399,000Active3 beds 2 baths2,120 sq. ft.3415 N Mountain Rd, WARDENSVILLE, WV 26851
MLS# WVHD2003216Listed by: LOST RIVER TRADING POST REALTY
$78,000Pending6.78 Acres1195 Moores Run Branch Rd, WARDENSVILLE, WV 26851
MLS# WVHD2003226Listed by: LONG & FOSTER REAL ESTATE, INC.
$300,000Active3 beds 3 baths1,700 sq. ft.176 Sandfield Rd., WARDENSVILLE, WV 26851
MLS# WVHD2003206Listed by: PIONEER RIDGE REALTY
$79,900Active3.34 Acres553 Lookout Ridge Dr, WARDENSVILLE, WV 26851
MLS# WVHD2003168Listed by: CONTINENTAL REAL ESTATE GROUP
$225,000Active2 beds 1 baths720 sq. ft.1195 Warden Lake A B Drive, WARDENSVILLE, WV 26851
MLS# WVHD2003162Listed by: COLDWELL BANKER PREMIER
$850,000Pending3 beds 2 baths2,424 sq. ft.398 Spring Run Rd, WARDENSVILLE, WV 26851
MLS# WVHD2003132Listed by: WEST VIRGINIA LAND & HOME REALTY
$29,000Pending3.3 AcresLot 9 Paradise Road Paradise Rd, WARDENSVILLE, WV 26851
MLS# WVHD2003002Listed by: SAGER REAL ESTATE