0 California, Joshua Tree, CA 92252

Local realty services provided by:ERA North Orange County Real Estate
0 California,Joshua Tree, CA 92252
$37,000
  • 0 Acres
  • Lots / Land
  • Active
Listed by: robert koop jr
Office: tekoop properties, inc.
MLS#:NP26033784
Source:San Diego MLS via CRMLS

Price summary

  • Price:$37,000

About this home

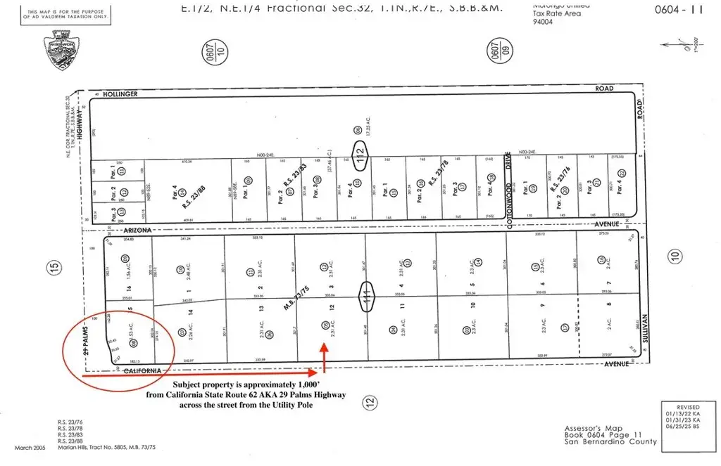
DUTCH AUCTION until sold! Pretty much level 2.31 acre parcel not far from the popular Joshua Tree National Park on the Park side of the Highway. Nearby Utility poles. Beautiful views of the Mountains, great access to the property on a signed and graded road about 1000 from California State Route 62 aka 29 palms Highway. APPROXIMATE GPS Coordinates from google maps: 3407'54.1"N 1161606.7"W

Contact an agent

contact an agent

Yes, I would like more information. Please use and/or share my information with an ERA®  affiliated agent to contact me about my real estate needs. By clicking Send message, I request to be contacted by phone or text message and consent to being contacted by automated means. I understand that my consent to receive calls or texts is not a condition of purchasing any property, goods, or services. Alternatively, I understand that I can access real estate services by email or I can contact the agent myself.

If an ERA®  affiliated agent is not available in the area where I need assistance, I agree to be contacted by a real estate agent affiliated with another brand owned or licensed by Anywhere Real Estate (BHGRE® , CENTURY 21® , Coldwell Banker® , Corcoran® , Sotheby's International Realty® ).
 I acknowledge that I have read and agree to theTerms of useandPrivacy notice

Home facts

  • Listing ID #:NP26033784
  • Added:78 day(s) ago
  • Updated:May 03, 2026 at 02:08 PM

Finances and disclosures

  • Price:$37,000
MLS LogoThis information is deemed reliable but not guaranteed. You should rely on this information only to decide whether or not to further investigate a particular property. BEFORE MAKING ANY OTHER DECISION, YOU SHOULD PERSONALLY INVESTIGATE THE FACTS (e.g. square footage and lot size) with the assistance of an appropriate professional. You may use this information only to identify properties you may be interested in investigating further. All uses except for personal, non-commercial use in accordance with the foregoing purpose are prohibited. Redistribution or copying of this information, any photographs or video tours is strictly prohibited. This information is derived from the Internet Data Exchange (IDX) service provided by San Diego MLS®. Displayed property listings may be held by a brokerage firm other than the broker and/or agent responsible for this display. The information and any photographs and video tours and the compilation from which they are derived is protected by copyright. Compilation © 2020 San Diego MLS®, Inc.