22311 Grangeville Boulevard, Lemoore, CA 93245
Local realty services provided by:ERA Valley Pro Realty
22311 Grangeville Boulevard,Lemoore, CA 93245
$450,000
- - Beds
- - Baths
- - sq. ft.
- Farm
- Active
Listed by: debra l white
Office: real brokerage technologies
MLS#:238516
Source:CA_TCMLS
Price summary
- Price:$450,000
About this home
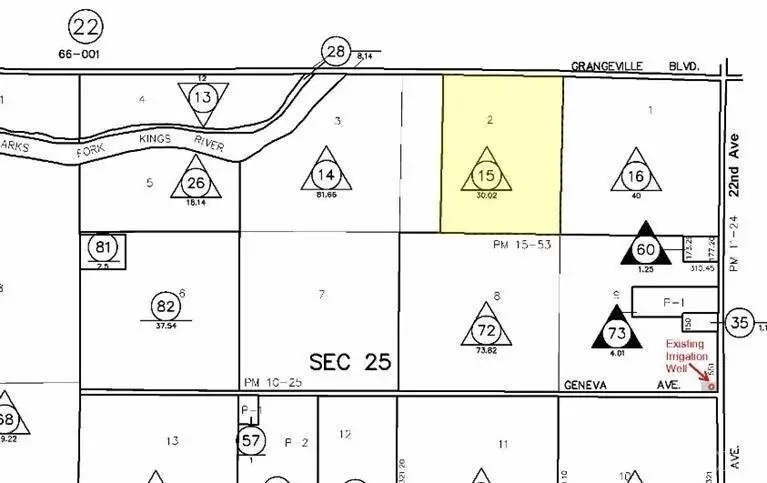
30.02-acre property located in Lemoore, Ca. - along the south side of the South Fork Kings River on Grangeville Blvd, this vacant land offers versatile agricultural potential. The land is zoned AX ( Agricultural) and benefits from District Water, along with a water-price agreement with neighboring properties. A PVC pipeline system is in place for efficient irrigation.
The acreage has a strong farming history, maintained in a consistent rotation of row crops. The property is also enrolled in the Williamson Act, providing potential tax advantages. An adjoining 73.82-acre parcel—featuring an 850' agricultural well—is also available for purchase, offering an excellent opportunity to expand your operation.
Contact an agent
Home facts
- Listing ID #:238516
- Added:117 day(s) ago
- Updated:March 18, 2026 at 02:30 PM
Structure and exterior
- Lot area:30.02 Acres
- Lot Features:Level
Utilities
- Water:Shared Well
Finances and disclosures
- Price:$450,000
New listings near 22311 Grangeville Boulevard
- New
$145,000Active2 beds 2 baths728 sq. ft.16737 Colony Road, Lemoore, CA 93245
MLS# 233805Listed by: KELLER WILLIAMS REALTY ANTELOPE VALLEY - New
$475,000Active4 beds 2 baths1,820 sq. ft.756 Strada Street, Lemoore, CA 93245
MLS# 233801Listed by: EXP REALTY OF CALIFORNIA INC - New
$379,999Active4 beds -- baths2,109 sq. ft.337 E Deodar Lane, Lemoore, CA 93245
MLS# 645478Listed by: VYLLA HOME, INC. - Open Sun, 12:30 to 2:30pmNew
$425,000Active3 beds 2 baths1,991 sq. ft.1148 Par Avenue, Lemoore, CA 93245
MLS# 240355Listed by: WENDY LITTLE PROPERTIES, INC. - New
$400,000Active4 beds 2 baths1,856 sq. ft.873 Cedar, Lemoore, CA 93245
MLS# 233792Listed by: REAL BROKERAGE TECHNOLOGIES - New
$425,000Active3 beds 2 baths1,694 sq. ft.702 Montecito Court, Lemoore, CA 93245
MLS# 240329Listed by: LONDON PROPERTIES, HANFORD - New
$415,000Active3 beds 2 baths1,707 sq. ft.1005 Jubilee Court, Lemoore, CA 93245
MLS# 233794Listed by: LONDON PROPERTIES, LTD: HANFORD - New
$355,000Active3 beds -- baths1,170 sq. ft.809 Wildwood Drive, Lemoore, CA 93245
MLS# 645258Listed by: LONDON PROPERTIES/MADERA - New
$410,000Active4 beds 2 baths1,754 sq. ft.1587 Persimmon Street, Lemoore, CA 93245
MLS# 233778Listed by: TOP HOOK REALTY, INC. - New
$1,800,000Active12 beds -- baths1,318 sq. ft.50 N 19th Avenue #A-F, Lemoore, CA 93245
MLS# 645161Listed by: REAL BROKER