0 Cajon Blvd, San Bernardino, CA 92407

Local realty services provided by:ERA Excel Realty
0 Cajon Blvd,San Bernardino, CA 92407
$9,450,000
  • 54 Acres
  • Lots / Land
  • Active
Listed by: nicholas dicosola
Office: coldwell banker commercial rea
MLS#:HD25268629
Source:CAREIL

Price summary

  • Price:$9,450,000

About this home

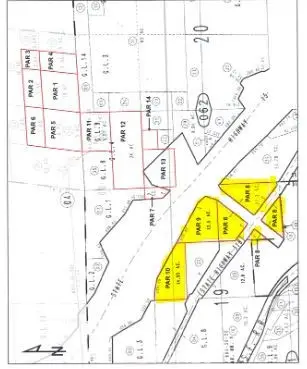
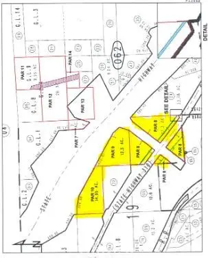
Discover a prime investment opportunity with over 54 acres of strategically located land nestled between the 15 Freeway and Cajon Boulevard in San Bernardino, California. Offering exceptional accessibility and visibility, this expansive property is ideal for a wide range of developments, including logistics, commercial, or industrial projects. With its proximity to major transportation corridors, including the Cajon Pass, and the vibrant Inland Empire region, this land presents unparalleled potential for growth and connectivity. Whether you're looking to expand your portfolio or develop a game-changing project, this prime location offers a rare blend of opportunity and versatility. Total of 54 acres on Westside of the I-15 fwy***ONLY*** APN 0349-041-56-0000: Parcels 10 (14.95 ac), Parcel 9 (12.5 acres) & Parcel 8 (27.3 acres) only included in sale. See Plat Map Photo. Terms Available.

Contact an agent

contact an agent

Yes, I would like more information. Please use and/or share my information with an ERA®  affiliated agent to contact me about my real estate needs. By clicking Send message, I request to be contacted by phone or text message and consent to being contacted by automated means. I understand that my consent to receive calls or texts is not a condition of purchasing any property, goods, or services. Alternatively, I understand that I can access real estate services by email or I can contact the agent myself.

If an ERA®  affiliated agent is not available in the area where I need assistance, I agree to be contacted by a real estate agent affiliated with another brand owned or licensed by Anywhere Real Estate (BHGRE® , CENTURY 21® , Coldwell Banker® , Corcoran® , Sotheby's International Realty® ).
 I acknowledge that I have read and agree to theTerms of useandPrivacy notice

Home facts

  • Listing ID #:HD25268629
  • Added:492 day(s) ago
  • Updated:March 31, 2026 at 04:23 PM

Structure and exterior

  • Lot area:54 Acres
  • Lot Features:Private / Secluded, Rolling

Finances and disclosures

  • Price:$9,450,000
MLS LogoThe information being provided by Mlslistings Inc is for the consumer's personal, non-commercial use and may not be used for any purpose other than to identify prospective properties consumer may be interested in purchasing. Any information relating to real estate for sale referenced on this web site comes from the Internet Data Exchange (IDX) program of the Mlslistings Inc. ERA Excel Realty is not a Multiple Listing Service (MLS), nor does it offer MLS access. This website is a service of ERA Excel Realty, a broker participant of Mlslistings Inc. This web site may reference real estate listing(s) held by a brokerage firm other than the broker and/or agent who owns this web site. The accuracy of all information, regardless of source, including but not limited to open house information, square footages and lot sizes, is deemed reliable but not guaranteed and should be personally verified through personal inspection by and/or with the appropriate professionals. The data contained herein is copyrighted by Mlslistings Inc and is protected by all applicable copyright laws. Any unauthorized dissemination of this information is in violation of copyright laws and is strictly prohibited. Properties in listings may have been sold or may no longer be available. Copyright 2026 Mlslistings Inc. All rights reserved.