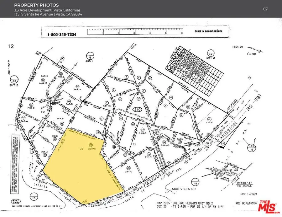
1351 S Santa Fe Avenue, Vista, CA 92084
Local realty services provided by:ERA Excel Realty
1351 S Santa Fe Avenue,Vista, CA 92084
$3,250,000
- 3.36 Acres
- Lots / Land
- Active
Listed by: jordan petito
Office: keller williams beverly hills310-432-6400
MLS#:25617403
Source:CRMLS
Price summary
- Price:$3,250,000
About this home
We are proud to exclusively present the Vista California Development located at 1351 S Santa Fe Avenue, Vista, California. This 3.36-acre (146,361 SF) corner parcel, zoned R-M (Medium Density Residential), is prominently situated along the South Santa Fe Avenue Corridor an area undergoing significant transformation under the City of Vista's South Santa Fe Corridor Specific Plan. The property features topography, 290 feet of frontage, and full utility access, creating an ideal foundation for a streamlined and high-quality residential development opportunity. Positioned within a rapidly growing North San Diego County submarket with a population exceeding 100,000 residents, the site sits directly across from a newly completed townhome community and is surrounded by housing, schools, and local retail amenities. Vista continues to experience strong demographic growth, supported by a median household income of approximately $78,800 within one mile, reflecting robust local demand for attainable and modern housing options. The property's R-M zoning offers flexibility for small-lot, townhome, or condominium projects, allowing builders to capture both for-sale and for-rent housing demand. With utilities to the street, no replacement housing requirements, and inclusion in an active redevelopment corridor, the site provides a clear entitlement path and favorable economics for a range of residential configurations. Its strategic proximity to major employment and educational hubs, Kaiser Permanente Vista, Tri-City Medical Center, and California State University San Marcos further strengthens the project's long-term viability and absorption potential. Located minutes from North County Square, Vista Village Center, and LEGOLAND California, the property also enjoys excellent regional connectivity via Highway 78, Interstate 5, and Interstate 15. With its combination of scale, zoning, infrastructure readiness, and prime corner positioning within one of North County's most active residential corridors, 1351 S Santa Fe Avenue represents a premier infill development opportunity offering both immediate feasibility and strong long-term appreciation potential....
Contact an agent
Home facts
- Listing ID #:25617403
- Added:186 day(s) ago
- Updated:May 16, 2026 at 01:12 PM
Structure and exterior
- Lot area:3.36 Acres
Finances and disclosures
- Price:$3,250,000
New listings near 1351 S Santa Fe Avenue
- Open Sun, 1 to 1:04pmNew
$999,000Active4 beds 3 baths2,317 sq. ft.1531 Wildgrove, Vista, CA 92081
MLS# 260011895SDListed by: KELLER WILLIAMS LA JOLLA - Open Sat, 1 to 3pmNew
$2,700,000Active4 beds 4 baths4,761 sq. ft.1226 Via Del Cerro, Vista, CA 92084
MLS# 260011841Listed by: COMPASS - Open Sun, 1 to 3pmNew
$818,888Active4 beds 4 baths1,977 sq. ft.1577 Castillo Way #5, Vista, CA 92081
MLS# 260011521SDListed by: REAL BROKER - Open Sat, 11am to 5pmNew
$1,050,000Active3 beds 3 baths2,086 sq. ft.2262 Vista Valley Lane, Vista, CA 92084
MLS# NDP2604714Listed by: EXP REALTY OF CALIFORNIA, INC - Coming Soon
$510,000Coming Soon2 beds 2 baths333 N Melrose Drive #E, Vista, CA 92083
MLS# ND26105314Listed by: REAL BROKER - Open Sat, 11am to 1pmNew
$850,000Active3 beds 2 baths1,796 sq. ft.2397 Mira Sol Drive, Vista, CA 92084
MLS# NDP2604696Listed by: COASTAL PREMIER PROPERTIES - New
$999,900Active4 beds 3 baths1,923 sq. ft.2659 Seacrest Ct., Vista, CA 92081
MLS# 260011727Listed by: BLUEWATER PROPERTIES - Open Sat, 12 to 3pmNew
$1,200,000Active4 beds 3 baths2,392 sq. ft.1789 Pinnacle Ct, Vista, CA 92081
MLS# NDP2604627Listed by: COASTAL PREMIER PROPERTIES - Open Sat, 12 to 3pmNew
$699,999Active3 beds 2 baths1,292 sq. ft.1183 Woodrail, Vista, CA 92083
MLS# PW26104699Listed by: 999 INVESTMENTS, INC - Open Sat, 1 to 3pmNew
$560,000Active3 beds 2 baths1,539 sq. ft.1171 Via Santa Paulo, Vista, CA 92081
MLS# 260011595Listed by: HARCOURTS ONE