1006 J Avenue, Vinton, IA 52349
Local realty services provided by:Graf Real Estate ERA Powered
1006 J Avenue,Vinton, IA 52349
$29,000
- - Beds
- - Baths
- - sq. ft.
- Farm
- Active
Listed by: annie kaestner
Office: skogman realty
MLS#:2602211
Source:IA_CRAAR
Price summary
- Price:$29,000
About this home
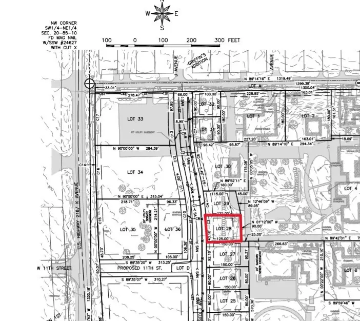
Welcome to the Mary Ingalls Subdivision. Part of history and part of the future. This property is located on the historic Vinton Braille School grounds along West 13th Street. Vinton-Shellsburg school system. Near grocery stores, restaurants, parks, trails, and other amenities. Lot 28. Bring your own builder. Covenants and recorded plat attached.
Contact an agent
Home facts
- Listing ID #:2602211
- Added:5 day(s) ago
- Updated:April 07, 2026 at 03:02 PM
Structure and exterior
- Lot area:0.26 Acres
- Lot Features:Level
Schools
- High school:Vinton/Shellsburg
- Middle school:Vinton/Shellsburg
Utilities
- Water:Public
Finances and disclosures
- Price:$29,000
- Tax amount:$168
New listings near 1006 J Avenue
- Open Sun, 11am to 1pmNew
$229,000Active3 beds 2 baths2,752 sq. ft.614 E 4th Street, Vinton, IA 52349
MLS# 2602346Listed by: BARNES REAL ESTATE - New
$215,000Active3 beds 2 baths1,507 sq. ft.516 E 4th St, Vinton, IA 52349
MLS# 2602185Listed by: REALTY87
$175,000Pending2 beds 2 baths1,730 sq. ft.507 W 13th Street, Vinton, IA 52349
MLS# 2602276Listed by: BARNES REAL ESTATE- New
$29,000Active-- beds -- baths1002 J Avenue, Vinton, IA 52349
MLS# 2602212Listed by: SKOGMAN REALTY - New
$29,000Active-- beds -- bathsLot 32 Mary Ingalls Subdivision, Vinton, IA 52349
MLS# 2602214Listed by: SKOGMAN REALTY - New
$272,000Active-- beds -- baths910 S K Avenue, Vinton, IA 52349
MLS# 2602215Listed by: SKOGMAN REALTY - New
$220,000Active-- beds -- baths1002 S K Avenue, Vinton, IA 52349
MLS# 2602216Listed by: SKOGMAN REALTY - New
$105,000Active-- beds -- baths1003 J Avenue, Vinton, IA 52349
MLS# 2602217Listed by: SKOGMAN REALTY - New
$270,000Active3 beds 2 baths2,116 sq. ft.205 N 9th Avenue, Vinton, IA 52349
MLS# 2602146Listed by: PINNACLE REALTY LLC