168 Bedford St., Lot 1, Lakeville, MA 02347

Local realty services provided by:Cohn & Company ERA Powered
168 Bedford St., Lot 1,Lakeville, MA 02347
$550,000
  • 1.88 Acres
  • Lots / Land
  • Active
Listed by: cindy brouwer
Office: cindy brouwer real estate
MLS#:73499643
Source:MLSPIN

Price summary

  • Price:$550,000

About this home

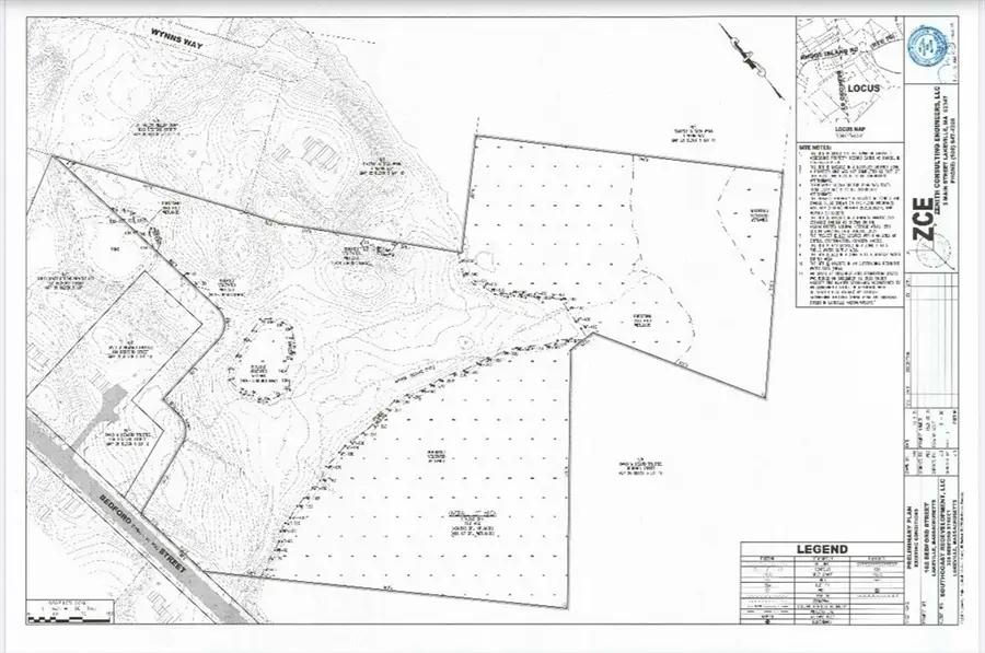
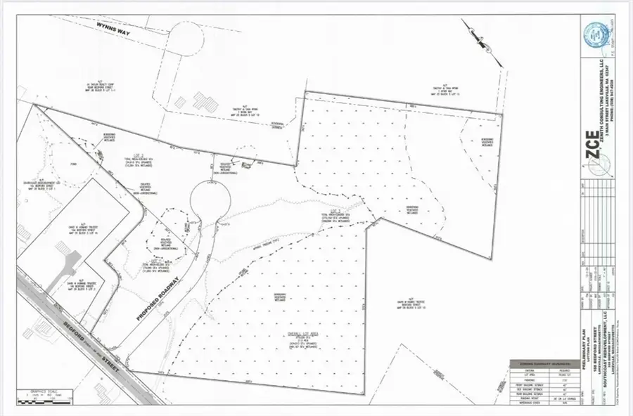
LOT 1 of this Prime Development Site – Route 18 Visibility & State-Approved Access! Rarely does a parcel of this magnitude hit the market with the groundwork already laid. Situated on high-traffic Bedford Street (Route 18) in North Lakeville, this 1.88 acre lot offers a unique Residential/Business dual-zoned opportunity. The Heavy Lifting is Done: Approvals: The Preliminary Plan for Lots 1, 2, and 3 have cleared town approval. Accessibility: Entry point is officially state-approved. Location: Minutes from I-495, providing seamless regional connectivity. Whether you are looking to develop a commercial hub, a residential enclave, or a mixed-use masterpiece, this site offers the visibility and scale required for success. Level, wooded, and partially cleared, the land is ready for your engineer’s final touch. Don't wait—deals with this much momentum don’t last. Call the list agent today!

Contact an agent

contact an agent

Yes, I would like more information. Please use and/or share my information with an ERA®  affiliated agent to contact me about my real estate needs. By clicking Send message, I request to be contacted by phone or text message and consent to being contacted by automated means. I understand that my consent to receive calls or texts is not a condition of purchasing any property, goods, or services. Alternatively, I understand that I can access real estate services by email or I can contact the agent myself.

If an ERA®  affiliated agent is not available in the area where I need assistance, I agree to be contacted by a real estate agent affiliated with another brand owned or licensed by Anywhere Real Estate (BHGRE® , CENTURY 21® , Coldwell Banker® , Corcoran® , Sotheby's International Realty® ).
 I acknowledge that I have read and agree to theTerms of useandPrivacy notice

Home facts

  • Listing ID #:73499643
  • Updated:April 26, 2026 at 10:40 AM

Structure and exterior

  • Lot area:1.88 Acres
  • Lot Features:Cleared, Gentle Sloping, Level, Wooded

Schools

  • High school:Apponequet Regi
  • Middle school:Freetown-Lakevi
  • Elementary school:Assawompsett El

Utilities

  • Water:Private
  • Sewer:Private Sewer

Finances and disclosures

  • Price:$550,000
The property listing data and information, or the Images, set forth herein were provided to MLS Property Information Network, Inc. from third party sources, including sellers, lessors and public records, and were compiled by MLS Property Information Network, Inc. The property listing data and information, and the Images, are for the personal, non-commercial use of consumers having a good faith interest in purchasing or leasing listed properties of the type displayed to them and may not be used for any purpose other than to identify prospective properties which such consumers may have a good faith interest in purchasing or leasing. MLS Property Information Network, Inc. and its subscribers disclaim any and all representations and warranties as to the accuracy of the property listing data and information, or as to the accuracy of any of the Images, set forth herein.