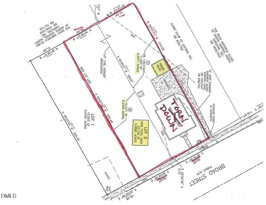
209 Broad Street, Oxford, NC 27565

Local realty services provided by:ERA Parrish Realty Legacy Group
209 Broad Street,Oxford, NC 27565
$52,000
  • 0.28 Acres
  • Lots / Land
  • Pending
Listed by: ann hancock
Office: wills hancock properties, inc.
MLS#:10149270
Source:RD

Price summary

  • Price:$52,000

About this home

Totally Cleared Vacant Lot w/ Shed inside city Limits. Across from Convenience Store and in front of Boys & Girls Club. 210' DEEP Lot. City Water/Sewer, Electric were connected in past to former Home which is now torn down! Buried SEWER GRAVITY line/storm drain PIPE in between the 2 Lots! Can NOT build over Gravity line pipe has 10' set back from each side of line Sewer Manhole in middle. Turquoise colored line in Picture shows location of Sewer Line . Has ZONED HB: some permitted uses are Residential Care Facilities, Heavy Equipment Rental/sales, minor Vehicle Repair, Business support services, Outdoor sales & displays, Medical Clinic, Restaurant, Child Care, Studio/ Art, Dance, drive-thru facility, Nursey. Can Buy this one for $52,000 or BOTH for $100,000. NO OWNER FINANCING

Contact an agent

contact an agent

Yes, I would like more information. Please use and/or share my information with an ERA®  affiliated agent to contact me about my real estate needs. By clicking Send message, I request to be contacted by phone or text message and consent to being contacted by automated means. I understand that my consent to receive calls or texts is not a condition of purchasing any property, goods, or services. Alternatively, I understand that I can access real estate services by email or I can contact the agent myself.

If an ERA®  affiliated agent is not available in the area where I need assistance, I agree to be contacted by a real estate agent affiliated with another brand owned or licensed by Anywhere Real Estate (BHGRE® , CENTURY 21® , Coldwell Banker® , Corcoran® , Sotheby's International Realty® ).
 I acknowledge that I have read and agree to theTerms of useandPrivacy notice

Home facts

  • Listing ID #:10149270
  • Added:75 day(s) ago
  • Updated:May 14, 2026 at 07:41 AM

Structure and exterior

  • Lot area:0.28 Acres
  • Lot Features:Cleared, Driveway, Front Yard, Level, Open Lot

Schools

  • High school:Granville - Webb
  • Middle school:Granville - N Granville
  • Elementary school:Granville - Credle

Utilities

  • Water:Public, Water Available
  • Sewer:Public Sewer

Finances and disclosures

  • Price:$52,000
  • Tax amount:$230
MLS LogoListings marked with a Doorify MLS icon are provided courtesy of the Doorify MLS, of North Carolina, Internet Data Exchange Database. Brokers make an effort to deliver accurate information, but buyers should independently verify any information on which they will rely in a transaction. The listing broker shall not be responsible for any typographical errors, misinformation, or misprints, and they shall be held totally harmless from any damages arising from reliance upon this data. This data is provided exclusively for consumers’ personal, non-commercial use. Copyright 2026 Doorify MLS of North Carolina. All rights reserved.