0 Fenner Rd & Jeffreys Road, Rocky Mount, NC 27804
Local realty services provided by:ERA Parrish Realty Legacy Group
0 Fenner Rd & Jeffreys Road,Rocky Mount, NC 27804
$350,000
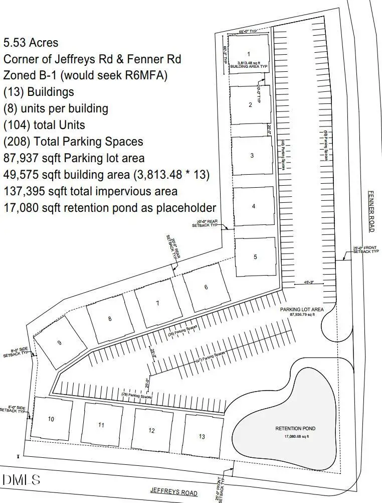
- 5.53 Acres
- Lots / Land
- Active
Listed by: benjamin david riegel
Office: braddock realty
MLS#:10146978
Source:RD
Price summary
- Price:$350,000
About this home
Prime 5.53-Acre Development Site | Corner of Jeffreys & Fenner Rd
Positioned at the high-traffic intersection of Jeffreys Road and Fenner Road, this 5.53-acre parcel offers a rare ''blank canvas'' opportunity in one of Rocky Mount's most active growth paths. Whether you are looking to capitalize on current business zoning or pivot toward high-density residential demand, this site is positioned for success.
The Opportunity
Current Zoning (B-1): Ideal for neighborhood business applications, office space, or retail services that benefit from excellent visibility and easy access.
The Vision (R-6MFA Potential): While currently commercial, a conceptual plan has been developed for R-6MFA (Multi-Family Residential). This ''Higher and Better Use'' concept addresses the surging need for quality multi-family housing in the area, offering a developer-ready roadmap for a high-density community. The provided concept plan is for conceptualization only and has not been reviewed by a civil engineer
Key Site Features
High Visibility: Extensive frontage on both Jeffreys and Fenner Roads.
Strategic Access: Minutes away from major retailers, medical facilities, and the US-64/I-95 corridor.
Infrastructure: Located in a well-served area with utilities nearby, simplifying the development timeline.
Scalable Layout: 5.53 acres provides ample room for creative site planning, including required setbacks, parking, and green space....
Contact an agent
Home facts
- Listing ID #:10146978
- Added:46 day(s) ago
- Updated:April 05, 2026 at 02:58 PM
Structure and exterior
- Lot area:5.53 Acres
Schools
- High school:Nash - Northern Nash
- Middle school:Nash - Red Oak
- Elementary school:Nash - M B Hubbard
Finances and disclosures
- Price:$350,000
- Tax amount:$3,888
New listings near 0 Fenner Rd & Jeffreys Road
- New
$899,000Active3 Acres2445 Hunter Hill Road, Rocky Mount, NC 27804
MLS# 100565034Listed by: FATHOM REALTY NC LLC - New
$599,900Active3 beds 3 baths3,420 sq. ft.916 Cambridge Drive, Rocky Mount, NC 27804
MLS# 100565022Listed by: PINK FLAMINGO REALTY, LLC - New
$349,900Active3 beds 2 baths2,131 sq. ft.456 Shellcastle Road, Rocky Mount, NC 27804
MLS# 10157563Listed by: SANDRA POPE REALTY - New
$177,000Active3 beds 2 baths1,489 sq. ft.809 School Street, Rocky Mount, NC 27801
MLS# 10157491Listed by: KERSHAW REALTY GROUP LLC - New
$235,000Active4 beds 2 baths2,583 sq. ft.308 S Pearl Street, Rocky Mount, NC 27804
MLS# 10157526Listed by: TRUE LOCAL REALTY - Open Sun, 2 to 4pmNew
$495,000Active4 beds 4 baths3,464 sq. ft.642 Chimney Hill Way, Rocky Mount, NC 27804
MLS# 100564886Listed by: FOOTE REAL ESTATE LLC - New
$549,500Active3 beds 4 baths3,037 sq. ft.2200 Capstone Court, Rocky Mount, NC 27804
MLS# 10157446Listed by: WPI REALTY LLC - New
$69,900Active2 beds 1 baths933 sq. ft.1600 Aycock Street, Rocky Mount, NC 27803
MLS# 100564759Listed by: BOONE, HILL, ALLEN & RICKS - New
$149,500Active3 beds 2 baths1,440 sq. ft.2394 Blue Willow Lane, Rocky Mount, NC 27804
MLS# 10157170Listed by: EXP REALTY, LLC - C - New
$598,500Active4 beds 4 baths4,057 sq. ft.116 Ashcroft Court, Rocky Mount, NC 27804
MLS# 10157087Listed by: BOONE, HILL, ALLEN & RICKS