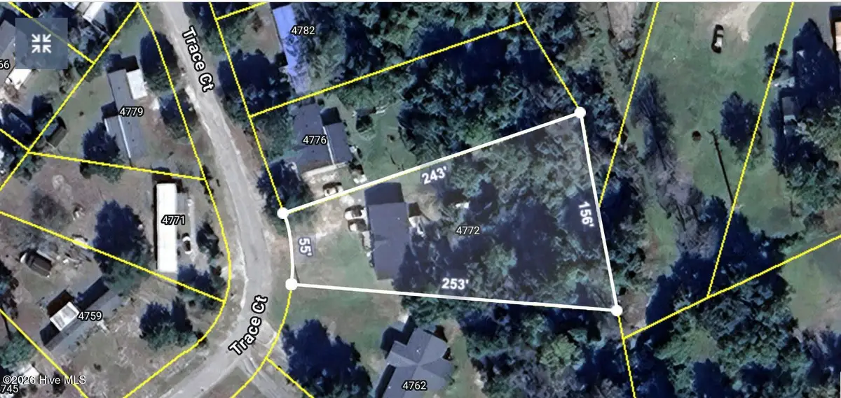
4772 Trace Court Se, Southport, NC 28461
Local realty services provided by:ERA Strother Real Estate
4772 Trace Court Se,Southport, NC 28461
$259,900
- 3 Beds
- 2 Baths
- 1,512 sq. ft.
- Mobile / Manufactured
- Active
Listed by: steve adams & associates, steven m adams
Office: coldwell banker sea coast advantage
MLS#:100559867
Source:NC_CCAR
Price summary
- Price:$259,900
- Price per sq. ft.:$171.89
About this home
PRICE DROP...MOTIVATED SELLER!! Welcome to your slice of coastal paradise -- and it's practically brand new. Imagine waking up every morning in a stunning 1,500+ square foot Champion Homes doublewide that still has that unmistakable new-home feel. Installed in November 2024, this meticulously cared-for 3 bedroom, 2 bath retreat offers the kind of quality and craftsmanship you'd expect from one of the nation's most trusted manufactured home builders. Step inside and you'll immediately notice the pride of ownership -- pristine finishes, thoughtful layout, and all the space you and your family could want for full-time coastal living or a weekend escape. The split bedroom floor plan offers privacy for everyone, while the open living areas are perfect for gathering after a day in the sun. Out back, your private rear deck is the crown jewel -- whether it's morning coffee with a sea breeze, evening cocktails under the stars, or simply unwinding in your own quiet outdoor sanctuary, this space was made for relaxing. And with 0.58 acres of land, you have room to breathe, expand, or just enjoy the wide-open feel that's increasingly rare in coastal markets. Perhaps the sweetest detail of all? No HOA. No monthly fees, no restrictive rules, no committees telling you what color to paint your shutters. This property is truly yours to enjoy on your own terms. At this price point, a move-in ready, nearly new beach home on over half an acre with no HOA is the kind of listing that doesn't last long. Come see it before someone else calls it home. 🏖️...
Contact an agent
Home facts
- Year built:2023
- Listing ID #:100559867
- Added:65 day(s) ago
- Updated:May 17, 2026 at 01:27 PM
Rooms and interior
- Bedrooms:3
- Total bathrooms:2
- Full bathrooms:2
- Rooms Total:5
- Dining Description:Eat-in Kitchen
- Bathrooms Description:Walk-in Shower
- Kitchen Description:Eat-in Kitchen
- Bedroom Description:Master Downstairs, Walk-In Closet(s)
- Living area:1,512 sq. ft.
Heating and cooling
- Cooling:Wall/Window Unit(s)
- Heating:Electric, Heat Pump, Heating
Structure and exterior
- Roof:Architectural Shingle
- Year built:2023
- Building area:1,512 sq. ft.
- Lot area:0.58 Acres
- Construction Materials:Steel Frame, Vinyl Siding
- Exterior Features:Deck
- Foundation Description:Brick/Mortar, Crawl Space, Permanent
- Levels:1 Story
Schools
- High school:South Brunswick
- Middle school:South Brunswick
- Elementary school:Southport
Finances and disclosures
- Price:$259,900
- Price per sq. ft.:$171.89
Features and amenities
- Amenities:Solid Surface, Walk-In Closet(s)
Parking
- Parking description:No Garage, On Site
New listings near 4772 Trace Court Se
- New
$805,000Active4 beds 3 baths2,596 sq. ft.2690 Morningdale Drive, Southport, NC 28461
MLS# 100574513Listed by: DISCOVER NC HOMES - New
$189,000Active0.31 Acres4387 Polly Gully Court Se, Southport, NC 28461
MLS# 100574473Listed by: COLDWELL BANKER SEA COAST ADVANTAGE - New
$179,000Active0.24 Acres4374 Polly Gulley Court Se, Southport, NC 28461
MLS# 100574471Listed by: COLDWELL BANKER SEA COAST ADVANTAGE - New
$184,000Active0.31 Acres4360 Polly Gulley Court Se, Southport, NC 28461
MLS# 100574430Listed by: COLDWELL BANKER SEA COAST ADVANTAGE - New
$245,000Active3 beds 2 baths1,273 sq. ft.4388 Sweetbay Drive Se, Southport, NC 28461
MLS# 100574434Listed by: COASTAL LIGHTS REALTY - Open Sun, 1 to 3pmNew
$305,000Active3 beds 2 baths1,279 sq. ft.4901 Abbington Oaks Way Se, Southport, NC 28461
MLS# 100574440Listed by: SOUTHERN REALTY ADVANTAGE LLC - New
$649,000Active3 beds 2 baths2,310 sq. ft.1016 Captain Adkins Drive Se, Southport, NC 28461
MLS# 100574366Listed by: CENTURY 21 SUNSET REALTY - New
$900,000Active4 beds 4 baths3,090 sq. ft.3475 Haskell Lane Se, Southport, NC 28461
MLS# 100574258Listed by: COLDWELL BANKER SEA COAST ADVANTAGE - New
$570,000Active3 beds 2 baths2,441 sq. ft.530 Kennedy Circle, Southport, NC 28461
MLS# 100574203Listed by: KELLER WILLIAMS INNOVATE-OKI - New
$480,000Active3 beds 3 baths1,781 sq. ft.2537 St James Drive Se #105, Southport, NC 28461
MLS# 100574069Listed by: ST JAMES PROPERTIES LLC