22-54 Red Oak Road, Barnstead, NH 03218
Local realty services provided by:ERA Key Realty Services
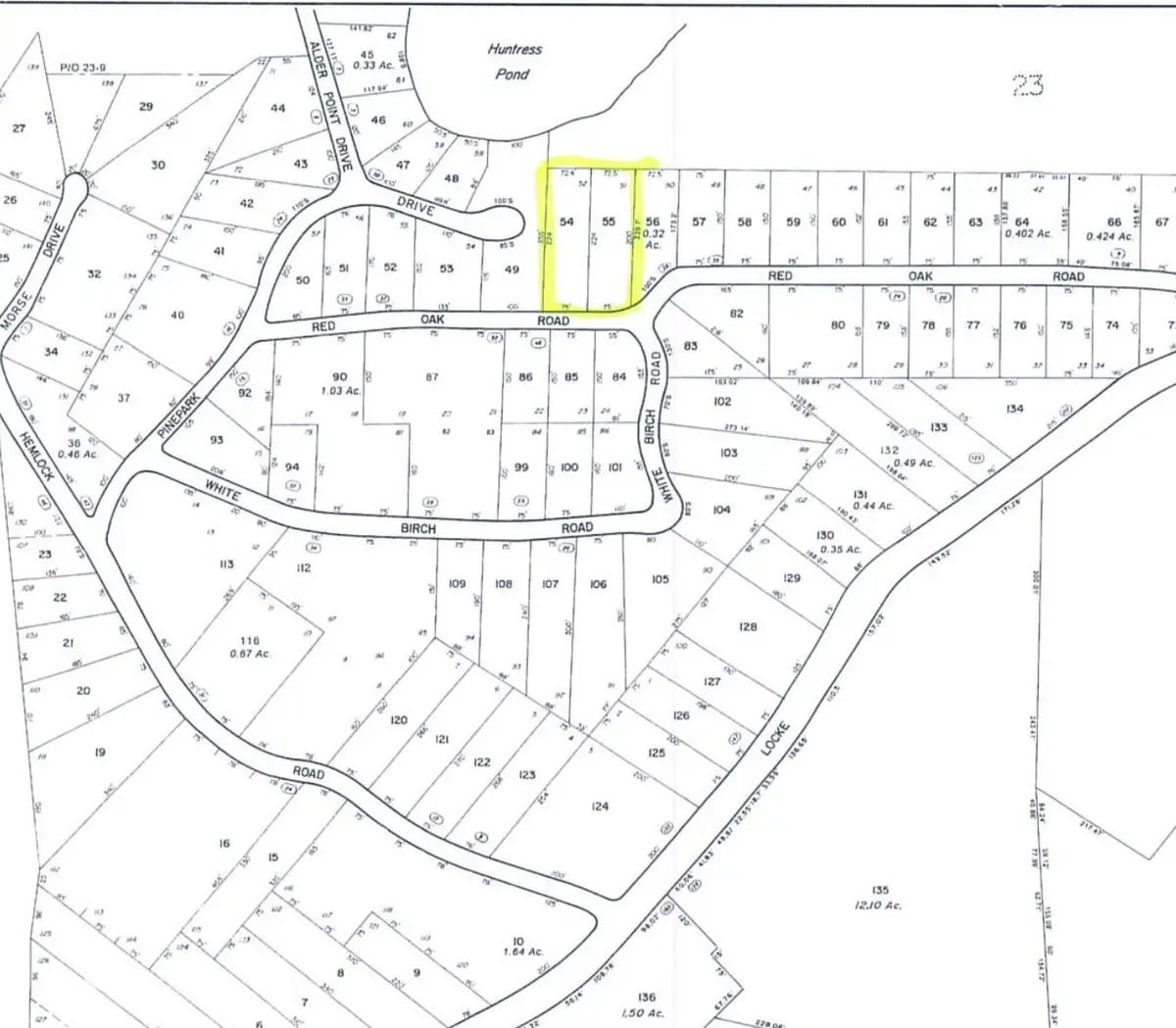
22-54 Red Oak Road,Barnstead, NH 03218
$59,999
- 0.72 Acres
- Lots / Land
- Active
Listed by: jake froehlich, terry small
Office: maxfield real estate/wolfeboro
MLS#:5069810
Source:PrimeMLS
Price summary
- Price:$59,999
About this home
Discover a ready-to-build 0.72-acre parcel in the Birchwood Hideaway Association, located on quiet Red Oak Road in Barnstead. This property was formerly two separate lots that have since been merged, creating one generously sized homesite with 150 feet of road frontage. The current owner has already completed the survey and cleared the land, saving you time and expense as you plan your build. Residents of Birchwood Hideaway enjoy deeded access to Huntress Pond, a private and beautifully kept body of water known for its peaceful setting. The association features a sandy beach, boat launch, and picnic/play areas just a short walk away. Whether your vision is a seasonal retreat or a year-round home, this lot offers a great blend of convenience and recreation. Located close to Route 28, the property provides easy access to commuting routes, shopping, dining, and the wider Lakes Region. A great opportunity to bring your plans and make the most of a well-prepared lot in a desirable community.
Contact an agent
Home facts
- Listing ID #:5069810
- Added:1 day(s) ago
- Updated:November 17, 2025 at 05:45 PM
Structure and exterior
- Lot area:0.72 Acres
Schools
- Elementary school:Barnstead Elementary School
Utilities
- Sewer:On Site Septic Needed
Finances and disclosures
- Price:$59,999
- Tax amount:$484 (2025)
New listings near 22-54 Red Oak Road
- New
$284,900Active2 beds 1 baths966 sq. ft.11 Gray Road, Barnstead, NH 03225
MLS# 5069079Listed by: BHHS VERANI BEDFORD - New
$389,900Active3 beds 2 baths1,232 sq. ft.7 Brenton Lane, Barnstead, NH 03225
MLS# 5068921Listed by: NOBO REAL ESTATE - Open Sat, 1 to 3pm
$525,000Active3 beds 2 baths1,344 sq. ft.96 Dam Site Road, Barnstead, NH 03225
MLS# 5068477Listed by: BHHS VERANI CONCORD
$669,000Active2 beds 2 baths1,275 sq. ft.16 Ridge Road, Barnstead, NH 03218
MLS# 5068035Listed by: MAXFIELD REAL ESTATE/ ALTON
$674,000Active4 beds 2 baths1,830 sq. ft.93 E Huntress Pond Road, Barnstead, NH 03225
MLS# 5067978Listed by: EXP REALTY
$408,500Active3 beds 2 baths1,596 sq. ft.21 Shelburne Lane, Barnstead, NH 03225
MLS# 5067636Listed by: BHHS VERANI WOLFEBORO
$249,999Active5 beds 2 baths2,952 sq. ft.4 Parade Circle, Barnstead, NH 03218
MLS# 5067366Listed by: KW COASTAL AND LAKES & MOUNTAINS REALTY/WOLFEBORO
$249,999Active5 beds 2 baths2,952 sq. ft.4 Parade Circle, Barnstead, NH 03218
MLS# 5067364Listed by: KW COASTAL AND LAKES & MOUNTAINS REALTY/WOLFEBORO
$315,000Active3 beds 1 baths1,174 sq. ft.8 Brookwood Drive, Barnstead, NH 03225
MLS# 5067305Listed by: RE/MAX INNOVATIVE BAYSIDE